선박 용어는 일본식 줄임말과 영어식 표기가 혼재되어 있고, 과거 범선 시대부터 전해져 오는 어휘들도 많고, 과학의 발달로 현재에는 사장된 장비나 절차에서 유래되어 계속 사용되어지는 용어들도 많기 때문에 선박의 경험이 없는 일반인이 쉽게 이해하기에 어려운 부분이 있다.
최근엔 중대재해 처벌법으로 인해 인명사고 발생 시 변호사의 자문을 구해야 하는 경우가 많은데, 지식인이며 전문가라고 하는 변호사조차 선박에서 작성된 보고서 한 페이지를 읽는데 선박 용어를 몰라서 1시간이 넘게 용어의 뜻을 찾아 헤매는 경우도 종종 발생하고 있다.
그래서 선상생활의 경험을 바탕으로, 선박 용어들을 초등학생도 쉽게 이해할 수 있을 만큼 일상생활과 비교하여 풀어써 보기로 하였다. 계속 업데이트될 예정이며, 승선 예정인 실습생 또는 초임 사관은 미리 용어를 공부하고 가면 좋겠다. 양이 방대할 수 있으니, 컨트롤키를 누른 후 F를 눌러서 검색 바랍니다. 특별히 알고 싶은 용어는 댓글로 남겨주시면 업데이트하도록 하겠습니다^^
<목차>
1. 선박의 갑판부(DECK PART) 직위(RANK) 관련 용어
2. 선박의 기관부(ENGINE PART) 직위(RANK) 관련 용어
3. 선박의 장소(PLACE) 관련 용어
4. 선박의 종류(TYPE)
5. 선박의 구조물(STRUCTURE & OUTFITTING) 관련 용어
6. 선박의 안전장비(LIFE SAVING APPLIANCE) 관련 용어
7. 선박의 소화장비(FIRE FIGHTING APPLIANCE) 관련 용어
8. 선박의 항해&통신(NAVIGATION & GMDSS) 관련 용어
9. 선박의 조타(STEERING) 관련 용어
10. 선박의 엔진사용(ENGINE TELEGRAPH) 관련 용어
11. 선박의 입출항(ARR, BERTHING / DEP, UNBERTHING) 관련 용어
12. 선박의 평형수(BALLAST) 관련 용어
13. 선박의 보안(SECURITY) 관련 용어
14. 선박의 투묘(ANCHORING) 관련 용어
15. 선박의 단위(UNIT) 관련 용어
16. 선박의 운동(MOVEMENT) 관련 용어
17. 선박의 정비(MAINTENANCE) 관련 용어
18. 컨테이너선박의 화물고박장치(CARGO GEAR)관련 용어
19. 터그보트 (TUG BOAT) 운용 관련 용어
<추후 업데이트예정, 양이 방대하니 키워드 검색을 활용하세요!>

1. 선박의 갑판부(DECK PART) 직위(RANK) 관련 용어
인력으로 이루어지던 많은 업무들이 기술의 발전으로 기기나 장비로 대체되어 통신장 같은 직급은 사라졌고, 그 업무를 누군가 추가로 담당하게 되어 선박의 구성원은 안전 운항을 위한 최소한의 인원으로 축소되었다. 물론 인건비 절감 또한 큰 영향을 주었을 것이다. 그래서 현재 선박에는 어떤 직위/직책/직급의 사람들이 주로 어떤 업무에 종사하고 있는지 살펴봅시다.
선장(CAPT)
캡틴(Captain), 마스터(MSTR, Master)라 불리며, 안전운항/화물의 안전한 운송/선원의 인사관리 업무를 보며, 선박의 총 책임자이자 결정권자 이다. 평상시에는 항해사가 항해당직을 잘 수행하는지 감시하는 역할과, 항해사와 부원들이 각자 맡은 업무를 잘 수행하고 있는지 관리하고 관찰한다.
많은 업무들을 적절하게 배분하고 위임하며, 보고서를 통해 결과를 확인 받는다. 기상도를 분석하여 황천을 만나거나 태풍과 가까워질 것을 사전에 판단하여 피항 조치를 하고 회사에 보고 한다. 그리고 입출항 시 도선사와 커뮤니케이션을 통해 선박을 안전하게 접안/이안 시킨다.
입항 시 C.I.Q(Customs, Immigration, Quarantine) 수속 업무를 보고, 화물의 안전한 선적과 양하를 위해 감항성이 확보되었는지 판단하고, 화물의 선적량과 위치, 평형수를 적절히 조절하고, 선원들에게 법적으로 정해진 교육을 수행 한다.
일항사(C/O)
CHIEF OFFICER, 일본의 영향으로 어르신들은 초사라고도 부르며, 항해사이므로 기본적으로 04시~08시, 16시~20시 8시간의 항해 당직 업무를 수행하고, 선장으로부터 선박의 화물 선적과 양하 및 평형수 관리를 위임 받은 책임 사관이다.
선장에게 위임 받은 선박의 대부분의 서류 업무를 처리하는 실무자이며, 주니어 사관들의 업무도 관리/감독 하고, 갑판의 모든 정비를 담당하고, 갑판 부원에게 정비/수리 업무를 지시한다. 그리고 선장에게 선원들의 동향과 불만 사항들을 보고하고, 선내 질서를 유지하는 보안관의 역할도 한다.
이항사(2/O)
SECOND OFFICER, 이등항해사로 00시~04시, 12시~16시 8시간의 항해 당직 업무를 수행하고, 항해에 필요한 도구(항해 및 통신 장비, 해도, 도서)를 관리하며, 추가로 소화 장비, 안전 비품을 관리한다.
선박에 보유 중인 모든 종이 해도와 도서를 매주 소개정하는 업무로 시간을 많이 빼앗겼는데, 최근에는 종이 해도가 엑디스로 대체되어 자동 업데이트 되는 추세로 이항사의 업무가 다소 경감되고 있다.
삼항사(3/O)
THIRD OFFICER, 삼등항해사로 08~12, 20~24시 8시간의 항해 당직 업무를 수행하고, 선장으로 부터 위임 받은 입항 수속 서류 준비와 차항지에 보내는 RPM 이메일을 준비하는 업무를 한다.
그 외에 삼항사는 중요도는 낮으나 없으면 불편한 정도의 많은 서류 업무 및 잡무(문화오락용품 관리, 티비.드라마 청구/관리, 개인 침실 명패 개정, 선내 침실 전화번호부 개정, 선원명부 개정, 작업휴식일지 관리, 일반 비품 관리, 접대품 관리, 개인품 관리, 부식청구, 이메일 수발신 리스트 작성, 선장, 일항사, 이항사가 시키는 잡무 등등)를 위임 받아 관리한다.
실항사(A/O)
APPRENTICE OFFICER, 실습항해사이며, 3항사 면허를 위해 1년간의 승선 실습이 필요하다. 보통 3항사 당직에 배치되어 업무를 배우고, 짧은 기간 동안 1항사, 2항사, 갑판부 데이워크, 기관 당직에도 배치되어 선박의 업무를 두루 경험하게 된다. 업무에 대한 책임이 없기 때문에 보통 열정 페이로 20~30만원(30년간 동일) 수준의 형식적인 용돈을 받는다.
갑판장(BSN)
BOSUN, BOATSWAIN, 보순, 갑판장이라 불리며, 평일 08~17시 8시간의 갑판 정비 업무를 하며, 작업 반장이라 할 수 있겠다. 일명 깡깡이 라고 하는 선박의 녹제거 작업과 페인트칠을 주로 하며, 선박의 자체 크레인을 운전하고, 갑판수와 갑판원에게 업무를 분담하여 일항사로 부터 하달 받은 갑판 정비/소제 작업을 수행한다.
갑판장이 되기 위해서 갑판원->갑판수의 과정을 겪어야 하는데, 이 직급의 급여가 육상직에 비해 크게 메리트가 없어서 한국인 갑판장의 대가 거의 끊겼다고 볼 수 있다. 그래서 갑판장의 국적은 대부분 미얀마,필리핀 이라서 그 나라의 문화를 이해하면서 업무에 배치해야 업무 마찰을 줄일 수 있다.
갑판수(Q/M)
갑판수, 조타수, Q/M(쿼터마스터), AB(Able seaman) 이라 불리며, 항해 시에는 선교에서 4시간씩 3교대로 핸들을 잡거나 갑판 정비 작업에 투입되고, 부두에 입항해서는 화물의 선적/양하 작업을 감독한다.
예전에는 갑판수와 조타수가 따로 있었지만, 기술의 발전으로 자동 조타 기능이 탑재되어 조타수와 갑판수가 통합되었다. 그리고 과거 레이다 장비가 없던 시절에는 선수와 선박의 양쪽에 견시원(망보는 사람)을 두고 항해를 하였으나, 항해장비가 고도화되어 추가적으로 사람의 육안으로 망을 봐야 할 필요가 없어졌기에 갑판수가 조타 업무도 하면서 견시(망보는 업무)도 병행하고 있다.
갑판원(O/S)
O/S(오에스, Ordinary seaman), D/B(데크보이, Deck boy, 수습갑판원)라 불리며, 갑판장의 지시에 따라 갑판 정비 업무(데이워크)에 배치되고, 부두에 입항해서는 화물의 선적/양하 작업이나 갱웨이에서 외부인의 출입을 감시한다.
예전에는 각각 별개의 직급이었지만, 현재는 인건비 절감 차원에서 필요 인원 한 두 명으로 운용 중이며, 갑판 수리 업무는 2.5년마다 DRY DOCK에 들어가서 외부 업체에 맡기고 있는 실정이다. 선박의 선원 1명이 줄어들면 그만큼 선원들이 해야 할 일이 늘어나서 선원들에게는 좋지 못한 상황이다.
조리장(C/S)
C/S(칩쿡, Chief cook)이라 불리며, 선원들의 식사와 부식 관리를 담당한다. 그런데 조리장은 대체 인력이 없으므로 휴가를 받을 때 까지 선원들의 3시 3끼 식사를 챙겨야 하므로 쉴 수 없는 고된 직책이다.
조리장이 되려면 조리원을 거쳐야 하는데, 급여가 육상에 비해 크게 메리트가 없기에 한국인 조리장의 대가 끊기고 있어, 미얀마나 필리핀 조리장과 승선하여 입에 맞지 않는 음식을 먹고 지내야 하는 경우가 많다.
조리원(MSM)
MSM(메쓰맨. Mess man), SB(SALON BOY, 쌀롱)이라 불리며, 조리장의 아래 직위로 재료손질, 서빙, 설거지 등을 담당한다. 예전에는 사주부(조리 파트)에도 인원이 많았지만, 현재는 인건비 절약을 위해 인원이 줄어 조리장 1인만 승선하는 선박도 많고, 조리원인 MSM을 한 명 더 추가로 두는 선박도 있다.
쌀롱사관
SALON OFFICER, SENIOR OFFICER, 선임사관, 시니어사관 이라 하며, 선장, 일등항해사, 기관장, 일등기관사를 말한다. 예로 부터 상선이나 해군에서 쌀롱(SALON)은 장교 및 사관들의 모임, 음주와 식사의 장소였기에, 그곳에 모이는 사람들을 쌀롱 사관이라 부른 것에서 유래되었고, 지금까지도 어르신들은 시니어 사관을 쌀롱 사관이라 부른다.
파일럿(PILOT)
도선사이며, 6천 톤 이상의 선박에서 3년 간의 승선 경력을 가진 선장이 도선사 시험에 합격하면 도선사 자격을 취득할 수 있다. 쉽게 말하면 선박의 베테랑 대리 운전 기사 또는 기차,트레일러,레미콘 등 특수한 동력장치를 발렛파킹 해주는 사람이며, 항해사 중의 최고봉이라 할 수 있다.
선박 조종 경험이 많은 선장이라 하더라도 모든 항만의 특수성과 변동 사항을 정확히 알 수 없기 때문에, 해당 항만의 전문가가 승선하여 선박을 조선 하도록 강제화 되어 있는데, 그 역할을 하는 사람이 도선사이다. 항해사의 꽃이라 할 수 있을 정도로 업무 강도는 높지만, 금전적 보상이 모든 것을 커버한다.
2. 선박의 기관부(ENG. PART) 직위(RANK) 관련 용어
기관장(C/E)
CHIEF ENGINEER, 기관장은 기관부의 총 책임자이며, 선박의 모든 정비 업무를 총괄하는 관리자라고 할 수 있겠다. 부하 직원인 일기사, 이기사, 삼기사에게 기관 정비 및 관리 업무를 적절히 배분하여 위임 및 지시하고, 그 결과를 보고 받는다.
그리고 선박의 연료를 수급 받는 총 책임자이며, 오염 사고가 발생하지 않도록 교육하고 관리하며, 오염 사고 발생 시 방제 작업을 지휘한다. 그래서 기름 유출 사고 시, 과실이 있다면 형사적인 처벌 또한 져야 하는 막중한 책임과 의무를 진 직위이다.
그런데 선박이라는 고립된 환경의 특성 때문에 선박의 서열 2위라고 할 수 있으며, 나이가 아무리 많거나, 기수가 높더라도 한참 어린 선장의 결정을 따라야 한다. 그래서 선장과 의견이 맞지 않을 때, 나이나 기수를 내세우면서 선장과 대립하는 경우도 종종 발생된다.
일기사(1/E)
FIRST ENGINEER, 일등기관사, 1기사, 1등기관사는 F/E 라고도 하며, 기관부의 선임 사관으로 UMA 시스템 선박에서는 정비 업무(데이워크:08시~17시, 8시간 근무)를 주관한다. 주로 메인 엔진의 유지/보수를 담당하며, 주니어 기관사(이기사, 삼기사)의 담당 기기나 업무 까지도 확인해야 하는, 육상 직급으로는 차장 정도로 생각된다.
그런데 UMA 시스템 선박이 아닌 선박에서는 일항사와 마찬가지로 04시~08시, 16시~20시, 8시간의 기관 당직 업무와 데이워크 업무를 주관하며, 기관 부원(조기장, 조기수, 조기원)에게 업무를 지시하고 작업을 감독하는 역할을 한다.
선박은 24시간 운항하기에 기기 또한 쉬지 않고 돌아가는데, 밤이고 새벽이고 휴일이고 가리지 않고 결함이 발생되면 알람을 울리는데, 확인하고 수리 작업을 계획해야 하는 고된 오버 타임 업무를 하게 된다. 이 때문에 워라벨을 중시하는 대다수의 MZ세대의 일기사들이 기관장 까지 승선을 하지 않고, 육상직으로 이직을 하게 된다.
이기사(2/E)
SECOND ENGINEER, 이등기관사, 2기사, 2등기관사이며, 담당 기기(주로 발전기, 청정기 등)를 유지, 관리 한다. 기관장으로부터 위임 받은 업무들을 수행하고, UMA(Unattended Machinery Area, 무인화당직) 시스템 하에서는, 삼기사와 격일로 야간 순찰 및 당직에 배치되고, 주간에는 데이워크에 참여한다.
그런데 일부 노후선 또는 UMA 시스템이 설비되지 않은 선박에서는 이항사와 마찬가지로 00시~04시, 12시~16시, 8시간의 기관 당직 업무에 배치된다. 이렇게 당직 업무에 배치되어 근무를 마치고 쉬는 시간에 만약 담당 기기가 고장을 일으킨다면, 오버 타임을 할 수 밖에 없는 현실이다.
삼기사(3/E)
THIRD ENGINEER, 삼등기관사, 3기사, 3등기관사이며, 담당 기기(주로 보일러, 전기/조명)를 관리한다. 그리고 기관장으로부터 위임 받은 업무들을 수행하고 주간/월간 보고를 하게 된다. UMA 시스템 선박에서는 데이워크에 투입되어 08시~17시 8시간의 근무를 하고, 야간에는 이기사와 격일로 UMA 순찰, 당직 업무를 본다.
UMA 시스템이 설비되지 않은 선박에서는 삼항사와 마찬가지로 08시~12시, 20시~24시, 8시간의 기관 당직 업무에 배치된다. 선박의 종류에 따라 삼기사의 역할의 비중이 달라지기도 하며, 대형 컨테이너 선박의 경우, 냉장/냉동 컨테이너를 몇 백 개를 선적 하는데, 운항중 고장 발생시 수리를 도맡아 하는 냉컨 삼기사를 추가로 승선 시키기도 한다.
실기사(A/E)
APPRENTICE ENGINEER, 실습기관사이며, 삼기사 면허 발급을 위해 6개월간의 승선 실습이 필요하다. 학교나 기관의 실습선에서 실습을 해도 되지만, 연계 취업을 위해 고되지만 선사에 개인 실습을 의뢰하는 경우가 많다.
실기사는 면허 발급 후 삼기사 업무를 봐야 하므로, 대부분 삼기사를 졸졸 따라다니며 일거수 일투족을 보고 배운다. 어떤 삼기사를 만나는지에 따라서 실습 기간 동안 배우게 되는 업무의 양과 질이 달라진다. 특히나 주니어 사관이 외국인(미얀마, 인도네시아 또는 필리핀)인 경우에는 거의 제대로 된 교육을 받기가 어렵다.
게다가 실습생에게 수고비? 격으로 매월 30~40만원 정도를 주는데, 본인이 실습 하는 선박에서 하고 있는 실제 업무에 비해 턱없이 적다고 느낄 수도 있고, 아닐 수도 있다. 이것은 30~40년 넘게 유지되고 있는 관례라고 할 수 있겠다
3. 선박의 장소(PLACE) 관련 용어
승선 생활을 경험하지 않은 일반인 또는 실습생에게는 선박의 장소/위치에 관한 용어들이 생소하게 느껴질 것이다. 선박의 종류마다 장소를 지칭하는 용어에 약간의 차이는 있을 수 있지만, 대부분의 화물선은 아래와 같이 장소를 정의하고 있으니 참고하시기 바랍니다.
폭슬(FORECASTLE)
FORECASTLE, 폭슬, 폭슬스테이션이라고도 하며, 선박의 앞쪽을 말한다. 선박의 입출항시 앞쪽 라인을 핸들링하는 작업 공간을 통칭한다.
푸푸(POOP)
POOP, 푸푸, 푸푸스테이션이라고도 하며, 선박의 끝쪽을 말한다. 선박의 입출항시 뒤쪽 라인을 핸들링하는 작업 공간을 통칭한다.
거주구역(ACCOMMODATION)
ACCOMMODATION, HOUSE MARINE, 어코모데이션,하우스마린, 거주 구역은 선원들의 침실, 휴게실, 화장실, 각종 창고들이 있는 공간을 통칭한다. 일반적으로 화물선을 보면 창문이 수십 개 있고, 제일 높은 층까지 이어지는 구조물을 말한다.
화물창 : CARGO HOLD
CARGO HOLD, 카고홀드라고 하며, 화물을 선적하는 공간이다. 선박의 종류에 따라 화물창이 홀드일 수도 있고, 자동차 운반선(카케리)에서는 데크일 수도 있고, 화학제품 운반선에서는 탱크일 수도 있겠다.
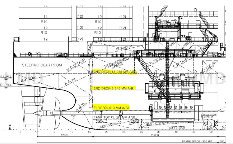
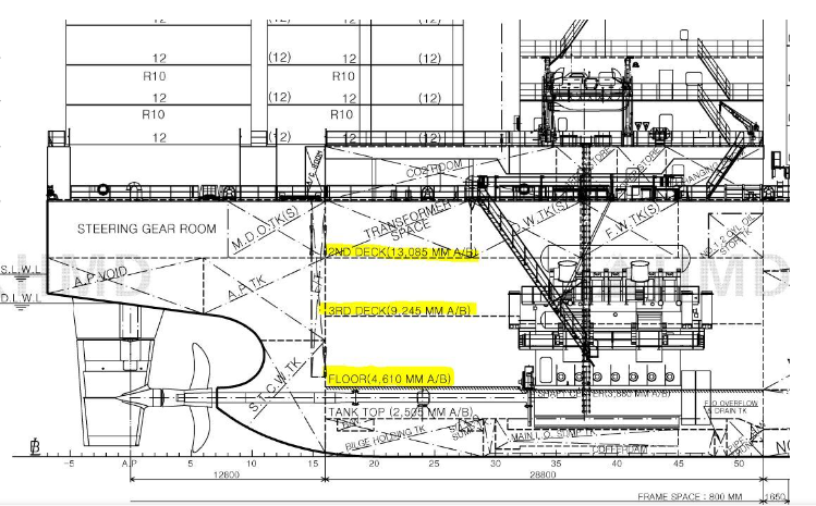
선박의 층수
상갑판인 UPPER DECK 위로는 A-DECK, B-DECK, C-DECK, D-DECK, E-DECK, F-DECK, G-DECK, ,,, NAV-DECK, CAPTAIN DECK, COMPASS DECK, 등으로 표현된다. 일반 아파트나 건물처럼 1층 2층 으로 표시하지 않는 이유는, 어디부터 1층으로 시작할지 개념이 다르기 때문이다.
선박의 제일 아래인 기관실 플로어 데크를 1층이라 표현한다면, 선원들이나 외부인들이 계단을 통해 찾아가는데 어려움과 애로사항이 발생된다. 그리고 선박의 종류마다 구조와 층수가 다르기 때문에, 일반적으로 기관구역은 세컨데크, 써드데크, 플로어데크 이런 식으로 표시하고, 어퍼데크 상부는 알파벳 순으로 층 번호를 부여한다.

어퍼데크(UPPER DECK)
UPPER DECK, MAIN DECK는 상갑판, 메인데크라 하며, 외부와 뚫려있고, 사람이 걸어 다닐 수 있는 노출된 구역중 제일 아래층을 말한다. 보통 외부에서 현문사다리(어코모데이션라다, 갱웨이)를 통해 선박으로 올라서서 밟는 첫번째 층을 말한다. 그리고 선박의 외판상부(TOP SIDE HULL) 정중앙에 데크라인(DECK LINE)이 양각으로 마킹되어 있다.
세컨데크(SECOND DECK)
SECOND DECK, 세컨데크는 기관구역의 위에서 첫 번째 층이며, 통상적으로 E.C.R과 워크숍이 있는 층을 말한다.
써드데크(THIRD DECK)
THIRD DECK, 써드데크는 기관구역의 제일 아래 보다 한층 위의 층으로 청정기실이나 메인 엔진을 살펴볼 수 있는 공간이 있는 층을 말한다. 선박의 사이즈에 따라 기관구역이 2개의 층으로 나뉠 수도 있는데, 그 때는 써드데크가 플로어 데크가 된다.
플로어데크(FLOOR DECK)
ENGINE ROOM FLOOR, 플로어데크는 기관구역의 제일 아래층을 말하며, 프로펠러의 축과 각종 펌프들과 파이프라인의 밸브들을 조작할 수 있는 층이다. FLOOR DECK에는 ESCAPE TRUNK(비상탈출구)를 통해 화재 발생 시 기관실을 탈출하여 상부로 나갈 수 있는 문이 있다.
정횡(ABEAM)
ABEAM, BEAM, 어빔, 정횡은 선박에서 양현(왼쪽, 오른쪽)과 직각을 이루는 방향을 말한다. 특정 섬이나 등대를 지날때 또는 부두에서 현재 위치를 보고할때 "선장님, 우현 접안선 선수 어빔썰" 이런식으로 말한다.
그리고 통상 추월의 기준을 정횡후 22.5도라고 표현하는데, 브릿지(선교)에서 선수를 보면서 양팔을 벌렸을때, 양손이 가리키는 방향을 정횡 방향이라 말한다. 그 연장선 기준으로 앞쪽이면 정횡전방, 뒤쪽이면 정횡 후방이라고 한다.
그리고 추월선이 본선을 추월하기 위해 접근할 때, 정횡후 22.5도 밖에서 안으로 들어왔을때를 추월의 시점으로 본다. 왜냐하면 추월선의 경우 현등(오른쪽에 달린 녹색등, 왼쪽에 달린 홍색등)은 상대선박의 정횡후 22.5도 안으로 들어와야만 볼 수 있도록 설계되었기 때문이다.
정횡후 22.5도 보다 뒤에서는 상대선박의 녹색,빨간색인 현등을 볼 수 없고, 선미등만 볼 수 있으므로, 앞서가는 선박의 현등이 보이지 않다가 일정 시간 후 현등이 보이게 되면 본선이 추월하고 있음을 알아 차릴 수 있다.
선교(BRIDGE)
브릿지, 휠하우스, BRIDGE, WHEEL HOUSE, W/H, 선교, NAVIGATION DECK 등으로 불리며 선박의 조종실이며, 항해사들의 항해 당직 업무를 보는 곳이고 주로 거주 구역의 최상부 층에 위치한다. 항해 장비와 통신 장비가 갖추어져 있고, 갑판수(조타수)와 항해사가 2인 당직 체계로 항해 당직 업무를 본다.
윙 브릿지(WING BRIDGE)는 선교의 양 끝을 말한다. 탑 브릿지(TOP BRIDGE)는 콤파스데크(COMPASS DECK)라고도 하며 선교 바로 위의 층을 말하며, 항해 장비와 통신 장비의 안테나와 마그네틱 컴퍼스(MAGNETIC COMPASS)가 설치되어 있다.
캐빈(CABIN)
CABIN이라 하며, 선원의 개인 침실을 뜻한다. 기관사들의 침실에는 UMA(Unattended Machinery Area) 당직 중 발생하는 기기들의 알람을 확인할 수 있는 디스플레이 장치가 설치되어 있고, 항해사의 침실에는 선교 항해당직자의 비정상적인 행동 시 알람을 울릴 수 있는 브릿지 항해당직 알람시스템(BNWAS, BRIDGE NAVIGATIONAL WATCH ALARM SYSTEM)이 설치되어 있다.
그리고 시니어 사관인 선장, 일항사, 기관장, 일기사의 침실은 DAY ROOM(사무실)과 BED ROOM(침실)로 투룸 구조로 되어있고, 나머지 선원들의 침실은 화장실이 딸린 원룸 구조이다. 간혹 부원들의 침실은 화장실을 공용으로 사용하는 경우도 있다.
파일럿룸(PILOT ROOM)
PILOT ROOM은 SHANGHAI항 처럼 장시간 승선하고, 기상 악화에 따라 비상 투묘 후 선박 내에서 대기해야 하는 파일럿(도선사)의 편의를 위한 방이며, 주로 선교와 가장 가까운 층에 위치한다.
오너룸(OWNER ROOM)
OWNER ROOM은 선주가 선박에 승선하여 운항하는 경우를 위한 방이지만, 승선하는 선주가 없기 때문에 그냥 비워 두거나, 일부 상급 선원이 사용하는 경우가 많다. 오너룸 답게 선장 침실 만큼 넓고 설비가 잘 되어있다.
라디오룸(RADIO ROOM)
RADIO ROOM은 예전 국장, 통신장(RADIO OFFICER)이 승선하였을 시절에 통신장을 위한 방이며, 현재 통신 업무는 항해사가 보유한 무선 통신 자격증(GMDSS)으로 대체되어 라디오룸은 쓸모가 없게 되었고, 20년 이상 된 노후선에만 존재한다. 통상 선교의 한 모퉁이에 라디오 스페이스라 해서 통신 장비가 설치되어있다.
메쓰룸(MESS ROOM)
MESS ROOM은 선원들의 식당이다. 현재는 선박의 메쓰룸의 크기에 따라 사관과 부원이 구분되어 사용하기도 하고, 사관과 부원이 함께 사용하기도 한다. OFFICER'S MESS ROOM은 사관식당, CREW'S MESS ROOM은 부원 식당이라고 한다.
갤리(GALLEY)
GALLEY는 선원의 음식을 만드는 장소이다. 쉽게 말해 20여명의 선원을 위한 주방이며, 조리장과 조리원의 업무 공간이다. 갤리에는 주방 화재시 신속히 불을 끌 수 있는 CO2 장비가 설비되어 있다.
레크레이션룸 : RECREATION ROOM
RECREATION ROOM은 과거 선박에 선원이 30~40여 명이 승선하였을 시절에 그들의 휴식과 놀이를 위한 공간이었으나, 현재는 필수 인원만 승선하여 여럿이 함께 모일 수 있는 시간이 거의 없기에 그 의미가 많이 퇴색 되었다.
레크레이션룸에는 주로 노래방 기계, DVD, 플레이스테이션 등의 오락 비품이 비치 되어 있다. OFFICER'S RECREATION ROOM은 사관 휴게실, CREW'S RECREATION ROOM은 부원 휴게실 이며, 선박에서 사관 휴게실은 거의 사용하지 않고 있다.
병원(HOSPITAL)
HOSPITAL은 선박의 병원이며, 승선중 발생되는 질병이나 외상을 처치할 수 있는 표준 의약품들과 의료기, 침대, 화장실, 욕조가 설비 되어 있는 방이다. 선박에 따라 거주 구역 내에 있기도 하고, 거주 구역 외부에 있기도 하다.
케이블 덕트(CABLE DUCT)
CABLE DUCT는 전선이나 배관이 거주 구역을 수직으로 뚫고 각 층을 올라갈 수 있도록 만들어진 구획이며, 케이블 덕트에는 전선과 더불어 환풍구, 청수, 온수 파이프 등이 지나며, 프로비젼 크레인(PROVISION CRANE), 라이프보트 데비트 모터(LIFE BOAT DAVIT MOTOR), 라이트(LIGHT) 등의 배전반이 설치되어 있기도 하다.
비씨알(B.C.R)
BALLAST CONTROL ROOM이며, 통상 B.C.R(비씨알)로 부르며, 선박의 평형수(BALLAST WATER)를 관리/조작하는 곳이고, 통상 부두에 입항시 항해 사관들이 상주하며 화물 당직 업무를 보는 곳이다. 비씨알에는 발라스트 탱크, 연료유 탱크, 청수 탱크의 잔량과 흘수(DRAFT)를 확인할 수 있는 시스템이 탑재되어 있다.
데크오피스(DECK OFFICE)
DECK OFFICE는 갑판 사무실이며, 입항 시 C.I.Q 수속 업무를 진행하고, 대내외 심사를 수검 받는 장소이며, 항해사들이 항해 업무 종료 후 컴퓨터로 서류 업무를 보는 곳이다. 주로 발라스트 컨트롤룸(B.C.R)과 인접해 있거나 통합되어 사용되기도 한다.
프로비젼스토어(PROVISION STORE)
PROVISION STORE는 식자재와 부식 및 주방 용품을 보관하는 장소이다. 프로비젼스토어에 식자재와 주방 용품을 선적하기 용이하고 출입이 편하도록 프로비젼크레인 및 갤리와 인접해 있다.
야채고(VEGETABLE ROOM)
VEGETABLE ROOM은 프로비젼스토어 내의 야채 전용 냉장실이다. 야채고의 크기는 선박의 사이즈와 목표로 하는 항해 일수에 따라 다르다. 냉장실이지만 안에 갇혔을 경우를 대비한 알람 버튼이 설치되어 있다.
육고(MEAT ROOM)
MEAT ROOM, 미트룸, 육고는 프로비젼 스토어 내의 고기 전용 냉동실이다. 선박의 사이즈에 따라 그 크기는 달라진다. 냉동실인 만큼 안에서 문이 잠겼을 경우 선내에 알람을 울리는 장치가 설치되어 있다.
어고(FISH ROOM)
FISH ROOM, 피쉬룸, 어고는 프로비젼 스토어 내의 생선 전용 냉동실이다. 선박의 사이즈에 따라 그 크기는 달라지며, 소형 선박은 육고와 어고가 통합되어진 경우도 있다. 냉동실인 만큼 안에서 문이 잠겼을 경우 선내에 알람을 울리는 장치가 설치되어 있다.
가비지룸(GARBAGE ROOM)
GARBAGE ROOM, 가비지룸은 선박에서 나온 각종 쓰레기 중 국제 협약에 따라 선상에서 해결하지 못하고 육지에 하륙해서 처리해야 하는 폐기물의 보관 창고이다. 매월 또는 특정 기간 마다 입항 시 육상으로 하륙하여 처리하고, 일항사는 폐기물 하륙 서트를 발급 받아 폐기물 기록부에 기록을 유지하여 심사에 대비한다.
선박에 따라 가비지룸 이라는 공간이 없을 수도 있는데, 그런 선박은 폐기물 관리 계획서 상에 쓰레기통이 비치된 특정 구역을 지정해 둘 수도 있다.
엔진룸(E/R)
ENGINE ROOM, ENGINE CASING이라 불리며, 기관 구역/ 기관실을 통칭한다.
이씨알(E.C.R)
ENGINE CONTROL ROOM, 이씨알은 엔진과 보조엔진 발전기 등의 상태를 각종 인디케이터와 프로그램을 통해 모니터링 하는 메인 엔진 조종실이며, 기관사들의 사무실이라 할 수 있다.
유인 당직 시스템의 선박에서는 당직 기관사와 기관 부원이 4시간 교대로 이씨알에서 당직을 서고, 선박의 입항/출항 작업시에는 모든 기관사들이 담당 기기들의 상태를 모니터링 하는 곳이다.
청정기실(PURIFIRE ROOM)
PURIFIRE ROOM, 퓨리파이어룸은 청정기실이며, 엔진에 주입할 기름을 깨끗하게 정제하는 곳이며, 상대적으로 화재에 취약할 수 있어 방화문으로 격리되어 있고, 독립된 소화 장치가 설비 되어 있다.
청정기실은 선박의 소화/퇴선 훈련시 주요 아이템으로 꼽힐 정도로 화재 발생 가능성이 높은 곳이며, 더운 지방을 지날 때는 온도가 70도가 넘을 정도로 뜨거운 곳이라 청정기 관련 작업을 하게 되면 작업복이 흠뻑 젖곤 한다.
타기실(S/G ROOM)
STEERING GEAR ROOM, 스티어링기어룸, 타기실은 조타 장치인 러더(RUDDER)를 움직이는 STEERING GEAR가 설치된 장소이며, 선박의 제일 뒤에 기관실과 인접하여 있다. 상대적으로 넓은 공간이며, 타기실 주변에 각종 선용품과 자재를 보관하기도 한다.
일부 선박은 넓은 공간을 농구장이나 골프 연습장 등으로 활용하기도 한다. 그리고 해적 피습에 대비하여 피난처인 씨타델(CITADEL)로 활용하는 경우도 많다.
탈리룸(TALLY ROOM)
TALLY ROOM, 탈리룸은 선박이 항만에 입항하면 하역 작업의 진행 상황을 수시로 체크하고, 검수(상태를 확인)하는 부두의 작업자들인 TALLY가 승선하는데, 그들의 작업 공간이자 휴식 공간이다. 항해 중에는 갑판 작업을 하는 선원들의 미팅과 휴식 공간으로 사용된다.
보순스토어(BOSUN STORE)
BOSUN STORE, 보순스토어는 갑판 작업을 위한 장비들과 각종 선용품들을 보관하는 곳이다. 통상적으로 컨테이너 선의 경우 라싱 장비 스페어들을 보관하고, 해치커버 수리 자재, 각종 HAWSER ROPE, LASHING WIRE, TURNBUCKLE, LASHING BAND, HANDRAIL, ANCHOR CHAIN 연결 보수 자재, JOINT SHACKLE, ANCHOR SHACKLE, KENTER SHACKLE, EMBARKATION LADDER, IMMERSION SUIT, LIFE JACKET, 각종 PORTABLE LIGHT 등 무수히 많은 설비들을 보관하는 장소이다.
데크스토어(DECK STORE)
DECK STORE, 데크스토어, 갑판 창고는 그야말로 갑판 작업에 필요한 기기들을 보관하는 창고이다. 핸드 툴(망치, 펜치, 렌치, 스패너, 칼, 톱, 테이프, 볼트, 너트, 못, 피스, 드라이버, 그라인더, 치핑해머, 전기톱, 전동드릴, 기타 등등) 뿐만 아니라 여러가지 장비들을 보관하는 곳이며, 데크스토어가 비좁을 경우 보순스토어에 이동시켜 보관하기도 한다.
체인로커(CHAIN LOCKER)
CHAIN LOCKER, 체인로커는 선박의 사이즈에 따라 앵카 체인이 통상 좌우현 각각 10~14절 비치되어 있는데, 그 체인들이 뱀이 똬리를 틀듯 보관되어 있는 장소이며, 보순스토어 내에서 맨홀로 연결되어 있다.
2.5년 또는 5년마다 드라이 도크(DRY DOCK)에 가게 되면 모든 앵카 체인을 도크 바닥에 나열한 후, 체인로커 바닥에 쌓인 머드를 퍼내고, 새롭게 정비를 하게 된다. 간혹 체인로커와 인접한 보이드 스페이스나 발라스트 탱크에서 앵카체인의 충격으로 파공이 발생되기도 한다.
페인트스토어(PAINT STORE)
PAINT STORE는 갑판/기관 정비 작업을 위한 페인트를 한데 모아놓은 곳이며, 화재를 대비하여 외부에서 스프링클러 시스템을 작동할 수 있게 되어있고, 가연성 액체이므로 페인트의 성분이 기록된 MSDS를 함께 비치하여야 한다.
씨오투룸(CO2 ROOM)
CO2 ROOM, 씨오투룸은 선박의 기관실과 화물창의 대형 화재 시 선원의 인력으로 소화를 하기 어렵기 때문에, 화물창과 기관구역은 고정식 CO2 소화 장치가 설비 되어 있는데, 그 소화 장치를 컨트롤하는 곳이 CO2 ROOM이다.
통상 제일 큰 구역(기관구역)을 한 번에 질식 시킬 수 있는 양의 CO2 BOTTLE이 씨오투룸 내에 설비 되어 있고, 정비 업체에 의해 매 2년마다 BLOWING TEST를 하고, 매 10년마다 총량의 10%를 HYDRO TEST 실시하여야 하는 규정도 있다.
선원들은 화재 발생시 누구라도 고정식 CO2 소화 시스템을 작동 시킬 수 있어야 하므로, 매월 선장으로부터 비상기기 작동 방법에 대한 교육을 받게 된다.
비상발전기실(EMERGENCY GENERATOR ROOM)
EMERGENCY GENERATOR ROOM, 이머전시 제너레이터룸, 비상발전기실은 선박의 발전기가 멈춰서 블랙아웃(정전) 되었을 때, 비상발전기가 작동하여 필수 요소(항통장비, 전등)에 비상 전원을 공급해주는데, 이 비상발전기가 위치한 곳이 비상발전기실이다.
통상적으로 블랙아웃이 되면 특정 시간내에 비상발전기가 작동되게 되는데, 부득이하게 작동하지 않을 경우 비상발전기실에 가서 수동으로 작동을 시켜야 한다. 비상발전기실에는 본선 발전기의 전원을 끊고 육상의 전원(육전)을 연결할 수 있는 장치가 설치되어 있어 도크에 들어가게 되면 육전 연결 작업을 하게 된다.
체인징룸(CHANGING ROOM)
CHANGING ROOM, 체인징룸은 환복을 위한 장소로, 거주구역에서 기관구역에 진입 시 평상복에서 작업복으로 환복하고 안전장비를 갖출 수 있도록 하는 개념이라 보면 되겠다. 통상 거주구역과 기관실 사이 공간에 위치해 있다.
바우쓰러스터룸(BOW THRUSTER ROOM)
BOW THRUSTER ROOM, 바우쓰러스터룸은 선수에 있는 쓰러스트 모터가 설치된 구역이며, 수동으로 작동할 수 있는 스위치와 윤활유탱크 등이 있다. 그리고 선박 선수 제일 아래에 위치하므로 침수에 대비한 빌지 배출을 위한 EDUCTOR와 LOCAL BILGE WELL 조작 VALVE가 설치되어 있다. 또한 BILGE ALARM SENSOR도 설비되어 있고, 선박에 따라 비상소화펌프(EM'CY FIRE PUMP)도 같이 설치되어 있기도 하다.
배터리룸(BATTERY ROOM)
BATTERY ROOM, 배터리룸, 빳데리룸은 항통 장비 또는 비상 전등과 연결된 배터리를 보관하고 있는 장소이며, 통상 선교 근처나 아래층의 공간에 위치한다. 자동차 배터리팩 같은 배터리가 20여 개 정도 비치되어, 항해 중 블랙아웃(정전) 시에도 항해/통신 장비가 작동될 수 있도록 하는 장치라고 보면 되겠다.
산소아세틸렌룸 : OXY&ACE ROOM
OXY&ACE ROOM, 옥시전아세틸렌룸, 산소아세틸렌룸은 갑판/기관 정비 작업 시 절단 작업을 위한 산소와 아세틸렌을 보관하는 장소이며, 통상 외부로 내리고, 작업 위치로 이동에 용이한 UPPER DECK에 위치해 있다.
덕트킬(DUCT KEEL)
DUCT KEEL, 덕트킬은 용골 또는 파이프 덕트 라고도 하며, 선박의 제일 아래 가운데에 일정한 공간을 만들어서 기관실에서 발라스트 탱크로 가는 메인 파이프와, 빌지웰로 가는 메인 빌지 파이프, 그리고 연료유 탱크로 연결되는 파이프라인이 지나는 공간이다.
그런데 선박에 따라 덕트킬을 만든 곳이 있고, 따로 만들지 않아서 연료유 파이프와 빌지 파이프가 발라스트 탱크들을 관통 시켜서 만들어진 선박도 있다. 덕트킬이 있는 선박의 일항사는 주기적으로 누수/누유가 없는지 점검해야 한다.
덕트킬에는 빌지 알람 센서도 설치되어, 파공으로 해수의 유입이나, 파이프에서 누수, 누유로 인해 침수되고 있음을 사전에 알려주므로, 일항사는 주기적으로 빌지 알람 센서가 정상 작동을 하는지 테스트를 해야 한다.
워크숍 : WORK SHOP
WORK SHOP, 워크숍은 기관실의 용접/선반/기공 등을 하는 공작실이다. 통상적으로 기관구역 세컨데크에 위치하여 기관사나 기관 부원의 출입이 용이하다.
온데크(ON DECK)
ON DECK, 온데크는 선박의 갑판 상부이며, 카고홀드(화물창)의 상부를 말한다. 컨테이너 선박에서는 특수한 화물을 선적시에, 그 특성에 따라 온데크 또는 언더데크 선적 요청을 받곤 한다.
언더데크(UNDER DECK)
UNDER DECK, 언더데크는 갑판 하부를 말하며, 보통 제너럴카고쉽이나 컨테이너선에서 화물창을 의미한다. 규격화된 컨테이너 박스를 초과하는 특수화물은 좌우상방이 오픈된 특수 FLAT RACK 컨테이너에 싣고 와이어나 밴드로 고정을 하게 되고, 선적시 대기, 해수, 태양과의 접촉을 피하기 위해 화주 요청에 의해 UNDER DECK에 선적 요청하는 경우가 많다.
4. 선박(VESSEL)의 류(TYPE) 관련 용어
선박은 화물의 종류와 목적에 맞게 다양한 종류로 건조 되어 운항중인데, 선박의 종류에 대해서 알아 보자. 자동차로 예를 들면, CC에 따라서 경차, 준중형차, 중형차, 대형차로 나뉘고, 목적에 따라서 승용차, 승합차, RV, SUV, 택시, 버스, 트레일러, 레미콘, 덤프트럭, 유조차, 탱크로리 등으로 나뉘는 것과 같다.
벌크선(BULK SHIP)
BULK SHIP, 벌크쉽, 벌크선은 화물(곡물, 모래, 석탄, 철광석, 등등)을 개별 포장 상태가 아닌 벌크(산적) 상태로 선적할 수 있는 선박을 말한다. 선박의 사이즈와 화물의 종류에 따라 화물창이 1개에서 9개까지 다양하며, 주로 10K(1만톤), 50K(5만톤), 이런 식으로 이야기를 한다.
화물 작업용 자체 크레인이 설치된 중소형 선박도 있지만, 대부분의 대형 벌크선은 자체 크레인이 없는 단일 화물(석탄, 철광석, 코일, 등등)을 10년 이상의 장기 계약으로 정기적으로 실어 나르는 선박이다.
제너럴카고쉽(GENERAL CARGO SHIP)
GENERAL CARGO SHIP은 여러 개의 화물창에 포장된 화물과 그렇지 않은 화물을 모두 선적할 수 있는 선박을 말한다. 제너럴카고쉽은 화물선 초기의 모델이라 할 수 있으며, 화물창에 선적된 각각의 화물이 이동하지 않도록 고박하는 수작업을 해야 한다.
컨테이너쉽(CONTAINER SHIP)
CONTAINER SHIP, 컨테이너쉽은 포장된 화물을 규격화된 컨테이너 용기에 넣어서 운반하는 선박이다. 선박의 사이즈는 20피트 컨테이너를 몇개 선적할 수 있는지 쉽게 알 수 있도록 1000TEU, 2800TEU, 5400TEU, 8000TEU 등으로 이야기를 한다. 최근에는 컨테이너 2만개를 실을 수 있는 초대형 컨테이너선(20000TEU, 약400미터)이 건조되어 운항중이다.
카캐리어(PCC)
PURE CAR CARRIER, CAR CARRIER, 피씨씨, 카캐리어는 자동차 전용 운반선이며, 화물창이 여러개의 CAR DECK로 되어있고, 개별적으로 고박을 해야 한다. 자동차를 최대한 많이 실어야 하므로, 육상의 선적 담당 작업자들은 숙련된 최고의 드라이버 들이다.
자동차 운반선에 경우에 따라서는 탱크나 포크레인 같은 특수 장비를 선적하여 운항하기도 하고, 현재 최대 6000대의 자동차를 선적 가능한 선박이 운항중이다.
케미칼탱커(CHEMICAL TANKER)
CHEMICAL TANKER, 케미칼탱커는 화학제품 운반선으로, 암모니아, 석유, 등유, 팜유 등의 액체를 선적하며, 다품종 소량 운송에 따라 화물의 종류가 바뀔 때마다 탱크를 세척해야 하므로 업무가 상대적으로 고되고 위험하다.
케미칼탱커는 화물의 특성상 대형선이 많지 않아, 상대적으로 다른 선박들 보다 항로도 짧고, 크기도 작아서 여러모로 선원들이 기피하는 선박이 많다. 그래서 선원의 고령화 지수가 높은 편이고, 한국 선원의 비중도 적다.
엘피지탱커(LPG TANKER)
LPG TANKER, 엘피지탱커는 액화가스 운반선으로, 위험하기는 하지만 단일 화물로 케미컬탱커에 비해 업무 강도가 상대적으로 낮은 편이나 잦은 입출항이 단점이다.
엘엔지탱커(LNG TANKER)
LNG TANKER, 엘엔지탱커는 LNG운반선으로 상대적으로 사이즈가 대형이며, 위험물이기에 하역장소가 육지와 멀어 승선중에 외출이 거의 불가능하기에 월급이 제일 많다. LNG탱커는 화물의 특성 답게 LNG 선적 위치가 정해져 있어 항로가 복잡하지 않고, 일정한 편이다.
브이엘씨씨(VLCC)
VLCC, 브이엘씨씨는 VERY LARGE CRUDE OIL CARRIER로 원유전용선이라 한다. 산유국에서 한 번에 대량의 원유를 싣고 특정 국가로 운항하며, 대형 벌크선 처럼 10년 이상의 정기선이 대부분이다. VLCC 선박 또한 LNG 선박 처럼 승선중에 외출은 거의 어렵지만, 급여는 상대적으로 높은 편이다.
여객선(PASSENGER SHIP / CRUISE)
패씬저쉽, 크루즈, 여객선은 사람을 실어 나르는 선박을 말한다. 그런데 선박의 운항 특성과 항로 및 선박의 설비요건에 따라서 PASSENGER SHIP이라 할 수도 있고, CRUISE라 부를 수도 있다. 간략히 구분하자면, 첫 출발지로 되돌아 와서 승객을 내려주면 크루즈선이라 하겠다.
로로선(RORO SHIP)
RORO SHIP, 로로쉽, 로로선은 ROLL ON AND ROLL OFF라는 뜻으로 이동수단에 의해 선적되고 양하되는 선박을 말한다. 현재는 주로 화객선을 의미하며, 아래층엔 트레일러나, 자동차 등의 화물을 선적하고, 위층엔 여객을 승선시키는 선박이다. 세월호를 떠올리면 이해가 빠를것이며, 여객이 없거나 관련 규정을 충족하지 못하면 화물만 선적하여 운항 하기도 한다.
중량물운반선(HEAVY TRANSPORT VESSEL)
HEAVY TRANSPORT VESSEL, 중량물운반선은 거대한 중량과 부피의 구조물을 이동 시킬 때 사용하는 선박으로, 선박을 수면 아래로 가라앉혀 부두와 높이를 맞춘 후 거대한 크레인과 이동 장치를 활용하여 선적 후, 다시 수면 위로 띄워 운항을 하는 선박이다.
통상 소형 선박을 옮기기도 하고, 선박 블록을 옮기기도 하고, 풍력 발전기용 거대한 날개를 옮기기도 하고, 부두의 갠트리 크레인 여러 대를 싣고 이동하는 모습을 종종 볼 수 있다. 중량물을 선적하는 만큼 타 선박에 비해 속도가 느린 편이다.
예인선(TUG BOAT)
TUG BOAT, 예인선은 항만터그와 일반 터그보트로 나뉘는데, 항만 터그는 항만에 대기하면서 선박의 안전한 입/출항을 위해 밀거나 끌어서 도와주는 역할을 하고, 그 외의 예인선은 뒤에 부선(바지)을 달고 목적지까지 운송하는 일을 한다.
위그선(WIG)
WIG선, WIG는 WING IN GROUND의 약어로 수면을 비행하는 선박을 말한다. 고속으로 수면에 떠서 이동하는 선박을 말하며, 일본, 울릉도 정도의 단거리를 빠르게 이동하는 여객선(쾌속선)이다.
디피선박(DP)
DP선박은 DYNAMIC POSITIONING CARRIER로 OFF SHORE에서 원유 시추작업이나 해저 파이프 라인 작업을 할 때, 한 장소에 고정시켜 주는 작업을 하는 선박을 말한다. 통상 사이즈가 큰 예인선에 쓰러스터가 여러 대 설치되어 있어 해류, 파고, 바람의 영향에도 불구하고 한자리에 고정적으로 위치할 수 있도록 설계된 선박이다.
5. 선박의 구조물(STRUCTURE or OUTFITTING) 관련 용어
선박은 단순하게 선체(HULL PART)와 구조물(아웃피팅, OUTFITTING)으로 나눌 수 있다. 그런데 선박의 구조물 관련 용어를 설명 하자니 너무 방대하여 초임 사관 또는 외부인이 선박에 올라가면 만나게 되는 구조물에 대해서 먼저 설명하고자 한다. 혹시 추가적으로 궁금한 용어는 댓글로 남겨주시면 업데이트 하도록 하겠습니다.
갱웨이(GANGWAY)
GANGWAY, 어코모데이션라다 ACCOMMODATION LADDER, 현문, 현문사다리라고 부르며, 외부에서 선박으로 올라가는 계단을 말한다. 그런데 선박의 방향타인 러더(RUDDER)를 라다로 부르는 경우도 있으니, 확실히 해 둘 필요가 있겠다.
페쎄지(PASSAGE)
PASSAGE는 구조물 사이에 사람이 지나다닐 수 있는 통로를 말하며 통상적으로 양현 선외측 난간 옆으로 PASSAGE WAY가 설정되어 있다.
거주구역(ACCOMMODATION)
ACCOMMODATION은 선원들이 생활하는 구역을 말하며, 상대적으로 밝은색 계열의 페인트가 칠해진 곳이다. 선박에서 제일 높은 곳까지 이어진 구조물이 거주구역이다.
스태어웨이(STAIR WAY)
STAIR WAY, 스태어웨이는 계단을 말하며 거주구역 내부와 외부의 계단으로 구분된다.
워터타이트도어(WATERTIGHT DOOR)
WATERTIGHT DOOR, 워터타이트도어는 수밀문을 말하며, 선박이 침수 되더라도 외부의 물이 들어오지 못하도록 설계된 출입문을 말한다. 워터타이트도어의 힌지나 고무패킹 상태를 주기적으로 점검 하여야 하며, GAS를 이용한 수밀 테스트도 필요하다.
웨더타이트도어(WEATHERTIGHT DOOR)
WEATHERTIGHT DOOR, 웨더타이트도어는 워터타이트도어처럼 완벽한 수밀 까지는 되지 않더라도, 빗물이나 파도 등이 들어오지 않도록 고무 패킹이 처리된 문을 말한다.
해치(HATCH)
HATCH, 해치는 선박에서 해수나 빗물이 들어가지 않도록 잠글 수 있는 문을 통칭한다. 우주선의 문들을 떠올리면 이해가 쉽겠다.
스몰 해치(SMALL HATCH)
SMALL HATCH, 스몰 해치는 말 그대로 작은 문을 말한다. 주로 우주선이나 잠수함 처럼 위로 들어 올려서 열 수 있고 사람만 겨우 통과 가능한 작은 문을 말한다. SMALL ACCESS HATCH 라고 사용 하기도 한다.
해치코밍(HATCH COAMING)
HATCH COAMING, 해치코밍은 화물창의 해치커버를 지지하는 끝단의 구조물을 말한다. 갑판의 해수나 빗물이 화물창으로 들어가지 않고, 작업자가 화물창 안으로 쉽게 빠지지 않을 정도인 1.5미터 내외의 높이로 설계된다.
해치코밍탑(HATCH COAMING TOP)
HATCH COAMING TOP, 해치코밍탑은 해치커버와 해치코밍이 닿는 부분을 말하며, 해치코밍의 최상부이다.

해치커버(HATCH COVER)
HATCH COVER, 해치커버는 화물창의 화물을 보호하기 위한 덮개이며, 수밀이 되어야 하므로, 해치코밍과 닿는 부분은 단단한 고무 패킹이 삽입되어 있다. 제너럴카고쉽, 벌크선, 컨테이너선에 주로 설치되어 있다.
베어링패드(BEARING PAD)
BEARING PAD는 해치커버가 해치코밍과 직접 맞닿는 것을 방지하기 위한 완충제이며, SIM PLATE를 추가하여 간격을 조절할 수 있다. 주로 PONTOON TYPE의 해치커버가 설치된 벌크선이나 컨테이너선에서 볼 수 있다.
레스트패드(REST PAD)
REST PAD는 BEARING PAD와 같은 역할을 하는데, 해치코밍탑에 용접되어진 완충형 STEEL PLATE이다.
크로스데크(CROSS DECK)
CROSS DECK는 화물창과 화물창 사이의 사람이 지나다닐 수 있는 통로를 말한다. 컨테이너선의 경우 데크 상단으로 화물을 최대한 많이 적재하기 위해 그 폭이 매우 좁다. 반면에 벌크선의 경우에는 화물창의 해치가 상대적으로 작아서 크로스데크가 넓게 설계되어있다.
크로스데크터널(CROSS DECK TUNNEL)
CROSS DECK TUNNEL은 화물창과 화물창 사이의 통로인 CROSS DECK아래의 터널로, 주로 컨테이너선의 경우 크로스데크 하부 터널에 설치된 발라스트탱크 사운딩 파이프, 발라스트탱크 에어벤트 파이프, 카고홀드 빌지 사운딩파이프, 리퍼컨테이너 리셉터클 등을 화물고박장치나 파도로 부터 보호하는 역할을 한다.
리셉터클(RECEPTACLE)
RECEPTACLE, 리셉터클은 쉽게 말해서 전기 콘센트이며, 컨테이너선의 경우 전원이 들어가는 냉동컨테이너를 선적하고, 일정 온도 유지를 위해 전기를 공급해 줘야하는데, 주로 440V 냉동컨테이너의 전원 공급 콘센트를 말한다.

라이프보트데빗(LIFEBOAT DAVIT)
LIFEBOAT DAVIT, 라이프보트데빗은 동력장치와 와이어를 연결하여 구명정을 고정하거나, 내리고 올릴 수 있도록 하는 장치이다. 매월 주기적으로 작동 테스트와 교육을 하고, 3개월마다 수면까지 내리는 훈련도 해야 한다.
사운딩(SOUNDING)
SOUNDING, 사운딩, 측심은 특정 탱크에 있는 액체류의 깊이를 체크하는 것을 말한다. 사운딩 테이프(SOUNDING TAPE, 약 20~30미터의 얇고 강한 스틸 밴드 형태, 한쪽면에는 눈금과 길이표가 인쇄되어있다)라는 특수 재질의 자를 사운딩 파이프를 통해 삽입하여 바닥까지 닿게 한 후 천천히 감아서 올리면, 액체류가 묻어 나오는 시점의 깊이를 알 수 있고, SOUNDING TABLE표를 통해 그 LEVEL이 의미하는 양이 어느 정도인지 계산할 수 있다.
사운딩파이프(SDP)
SOUNDING PIPE, 사운딩파이프, SDP, 에스디피는, 탱크의 유량을 체크할 수 있도록 이어진 측심용 자(사운딩테이프)가 들어갈 수 있는 굵기의 파이프이며, 선박마다 다르겠지만 직경 40A정도의 파이프를 사용한다.
사운딩캡(SOUNDING CAP)
SOUNDING CAP, 사운딩캡은 사운딩 파이프로 이물질이 들어가거나 탱크의 물이나 기름이 역류하여 넘치는 것을 막는 마개이며, 보통 스크루 타입으로 돌려서 잠그고 열리도록 되어 있다. 사운딩캡의 재질이 신주(구리)로 돈이 꽤나 나가는 고철이므로, 후진국에 입하시 도난에 대비하여야 한다.
에어벤트(AIR VENT)
AIR VENT, 에어벤트는 탱크가 과도한 압력으로 팽창하여 손상되지 않도록 뚫어 놓은 구멍이다. 탱크가 가득차면 에어벤트파이프를 통해 밖으로 배출되는데, 이를 오버플로우라 한다.
에어벤트헤드(AIR VENT HEAD)
AIR VENT HEAD, 에어벤트헤드는 에어가 빠져나갈 수 있도록 하면서 물은 탱크로 들어가지 않도록 만들어진 설비이다. 탱크가 가득 차면 에어벤트 헤드를 통해서 액체류가 쏟아져 나온다. 그런데 선박이 가라앉고 있을 때 해수가 탱크로 역류하여 들어가면 더 빨리 가라앉을 수 있기 때문에, 에어벤트 헤드의 플로팅 볼이 떠올라 에어벤트 파이프의 입구를 막아 해수의 유입을 방지한다.
그래서 에어벤트헤드 플로팅 볼의 정상 작동 유무가 매우 중요하여 PSC나 각종 심사 시 점검 대상 1호가 된다. 에어벤트 헤드의 플로팅 볼이 정상 작동 하지 않으면, 선박의 감항성을 인정받기 어렵다.
빌지(BILGE)
BILGE, 빌지는 원하지 않는 곳에서 발견되는 불필요한 액체류를 뜻한다. 예를 들면 화물창에서 발생되는 빗물, 습기, 땀, 화물에서 흘러나온 액체류, 에어벤트 파이프나 각종 파이프의 파공으로 흘러나온 해수를 말한다.
빌지웰(BILGE WELL)
BILGE WELL, 빌지웰은 빌지를 위한 공간이다. 예를 들면 화물창 바닥의 한 모퉁이에 만들어진 웅덩이로 빌지를 한 곳에 모여들게 만들고, 빌지웰에는 SUCTION PIPE가 설치되어 있어 빌지를 선박 밖으로 뽑아낼 수 있다.
로즈박스(ROSE BOX)
ROSE BOX, 로즈박스는 빌지웰에 있는 빌지배출용 SUCTION PIPE에 이물질이 함께 빨려 들어가서 막히는 것을 방지하는 보호망/ 거름망을 뜻한다. 벗겨진 페인트 조각이나 작업 인부들이 버리고 간 쓰레기 등이 로즈박스를 막아 빌지가 제대로 배출되지 않을 수 있으므로, 주기적으로 점검과 소제 작업을 해야 한다.
에어퍼지파이프(AIR PURGE PIPE)
AIR PURGE PIPE, 에어퍼지파이프는 탱크의 유량을 에어의 압력으로 체크 가능한 시스템이 설치된 선박에서, 각 탱크로 에어를 공급해 주는 파이프를 말한다. 이 에어퍼지파이프가 막히거나 중간에 파공이 발생된다면, 제대로 된 측심이 불가능하여 수리를 해야 한다.
발라스트탱크(BALLAST TANK)
BALLAST TANK, 발라스트 탱크는 평형수를 보관하는 탱크이며, 화물의 선적량에 따라 평형수를 넣거나 빼서 선박의 컨디션을 조절할 때 사용한다. 쉽게 말해서 짐이 적게 실렸을 때는 물을 많이 실어서 배를 가라앉히고, 반대로 짐이 너무 많이 실렸을 때는 물을 빼서 배를 최대한 가볍게 만들어서 배가 가라앉지 않도록 조절하고, 무거운 화물이 한쪽으로 쏠려서 실렸을 때, 반대쪽 발라스트 탱크에 물을 채워서 균형을 맞추는 역할을 한다.
힐링탱크(HEELING TANK)
HEELING TANK, 힐링탱크는 발라스트 탱크 중에 좌우 균형을 맞추는데 최적화되어있는 탱크를 말하며, 화물로써 선박의 좌우 균형을 맞추기 어려운 선박에서는 힐링탱크를 활용하여 균형을 맞춘다. 선박의 좌우 균형을 맞추는 이유는 화물을 싣고 내릴 때 선박과 화물의 손상을 방지하고, 항해 시에 효과적인 조종을 하기 위함이다.

볼라드(BOLLARD)
BOLLARD, 볼라드는 다른 선박이 본선과 연결되어 고정을 하기 위한 줄을 잡을 때 쓰이는 구조물이다. 벙커링(기름 받는일)을 하거나, 청수를 공급받거나, 슬러지를 하륙하거나, 항만에서 예인선을 잡을 때 주로 쓰인다.
비트(BITT)
BITT, 비트는 줄을 감거나 8자 매듭으로 고정 시킬 수 있는 기둥 형태의 구조물이며, 통상 단일 보다는 두개의 기둥으로 이루어져 있다. 그래서 출항시 터그라인을 다시 돌려 줄 때, 비트에 꼬이게 하여 내려가는 속도를 제어할 수 있다.
초크(CHOCK)
CHOCK, 초크는 원형으로 된 구멍이며, 외부에서 선박으로 줄을 연결하는 통로라 할 수 있겠다. 단순한 구조이므로 페어리더 보다 상대적으로 SWL이 강하여, 줄 만으로 선박을 이동 시킬때 사용한다. 파나마초크 라고도 하며, 파나마운하를 통과할 때, 외부의 줄로 선박을 끌어 당겨서 운하를 지나게 된다.
벙커링(BUNKERING)
BUNKERING, 벙커링은 선박의 주유 행위를 말하며, 통상적으로 연료유 공급선이 선박에 줄을 연결하여 붙어서 작업을 진행한다. 이때 계획과 다르게 초과 수급하여 기름이 넘쳐 해양오염사고를 일으키지 않도록 기관부 선원들은 벙커링이 끝날 때 까지 신경이 곤두서 있다.
윈치(WINCH)
WINCH, 윈치는 전기, 유압, 에어의 동력으로 모터를 작동시켜 힘을 발휘하는 장치를 말한다.
무어링윈치(MOORING WINCH)
MOORING WINCH, 무어링윈치는 입항 또는 출항 시 선박에서 육상의 볼라드에 호사로프(HAWSER ROPE)를 연결하고, 당기거나 풀어주는 역할을 하는 보조 기기를 말한다. 무어링 윈치가 고장 나면 선박을 부두에 단단히 걸어둘 수 없어 선박이 입항할 수 없다.

윈드라스(WINDLASS)
WINDLASS, 윈드라스는 앵카체인을 감아 올리거나 내리는 장치이다. 콤비네이션인 경우 윈드라스에 무어링 샤프트가 연결되어, 기어를 변환하여 줄 작업에 사용할 수도 있다.
앵카(ANCHOR)
ANCHOR, 앵카, 앵커는 닻이라고 하며, 선박을 특정 장소에 머무르게 고정하거나, 긴급상황에서 선박의 추진력을 감소시키기 위해서 사용한다. 현재 대부분의 선박은 격납이 용이한 스톡리스 앵카를 사용한다.
통상 선박에는 좌측 우측 양쪽에 하나씩 2개의 앵카를 보유하고 있으며, 앵카 하나를 분실하게 되면 선급의 승인 또는 보증 없이는 운항이 불가능 하거나, 특정 항만의 입항이 어려울 수 있다. 그래서 긴급히 수리조선소(도크)에 가서 앵카를 새로 연결하게 된다.
앵카체인(ANCHOR CHAIN)
ANCHOR CHAIN, 앵카체인, 앵커체인은 앵카를 연결하는 체인이며, 백여개의 코몬링크 또는 스터드링크로 연결되어 있다. 앵카체인 한절의 길이는 27.5미터이며, 이것을 원 샤클이라고 정의한다.
선박에는 선박의 크기와 앵카체인의 두께에 따라 다르겠지만 보통 좌우 각각 10샤클~15샤클의 앵카체인을 보유하고 있다. 이는 파주력 계산법에 따라 그 무게를 지탱할 수 있도록 선급의 승인을 받아 설치되었다.
앵카체인스토퍼(ANCHOR CHAIN STOPPER)
ANCHOR CHAIN STOPPER, 앵카체인스토퍼는 앵카를 끝까지 감아 들인 후, 앵카가 혹시라도 유실되지 않도록 하기 위해 1차적으로 브레이크를 잠그고, 2차적인 잠금장치로 사용된다.
앵카체인이 스토퍼에 맞물리면 브레이크와 더불어 강력한 잠금장치가 되기 때문이다. 그리고 기상이 나쁠 때는 앵카체인에 라싱 와이어까지 연결하여 앵카가 떨어져 나가지 않도록 보강을 해둔다.
체인드레서(CHAIN DRESSOR)
CHAIN DRESSOR, 체인드레서는 앵카체인이 체인 로커로 제대로 들어갈 수 있도록 가이드 해주는 구조물이다. 이것이 없다면 앵카체인을 감아 들이다가 체인로커로 제대로 들어가지 않고 입구에서 똥처럼 쌓여서 윈드라스나 윈드라스 드럼에 큰 손상을 줄 수도 있기 때문에 체인드레서가 제대로 설치되어 있지 않다면 설치해야 한다.
앵카벨마우스(ANCHOR BELL MOUTH)
ANCHOR BELL MOUTH, 앵카벨마우스는 앵카를 감아들이고 선박에 격납할 때 선수부의 선체와 앵카가 맞닿는 곳의 종모양으로 튀어나와 있어서 벨마우스라고 불린다. 그런데 최근에는 벨마우스 없이 앵카가 선박 안으로 완전히 격납되는 구조로 설계되는 추세이다.
앵카가 선박 안으로 완전히 격납되는 구조는 기상악화시 파도와의 충격으로 앵카가 손상을 입는 것을 방지하고, 바람의 저항을 최소화 하기 위함이다. 자동차로 예를 들면 SUV 자동차중 스페어 타이어를 뒷문에 붙이고 다니는 오프로드용 자동차도 있고, 트렁크 아래에 보관하는 자동차도 있는 것과 같다.
페어리드(FAIRLEAD)
FAIRLEAD, 페어리더, FAIRLEADER는 부두나 육상측으로 내보낸 호사로프가 장력을 받아 자연스럽게 당겨지거나 느슨해 질 수 있도록 좌우 상하로 움질일수 있게 만든 구조물이다.
만약 페어리드가 없다면, 선박의 호사로프가 선박의 각진 모서리부분과 마찰로 쉽게 끊어져 큰 사고로 이어질 수 있을 것이다. 이 페어리드가 적은 힘으로도 쉽게 잘 돌아가도록 평소에 철저히 관리를 해야 하겠다.
일반적인 FAIR LEAD는 좌우로 굴러가는 원형의 구조이나, 유니버셜 페어리드(UNIVERSAL FAIRLEAD)는 위아래에도 롤러를 부착하여 상하좌우로 움직이도록 설계되어 조수간만의 차에 의해 선박이 부두 높이보다 가라앉거나 위로 올라갈 때 마찰을 줄여준다.
에어캡스턴(AIR CAPSTAN)
AIR CAPSTAN, 캡스턴, 에어캡스턴은 수직축으로 된 회전기계로 통상 선박의 선수에 설치되어 있고, 인력으로 불가능한 두껍고(직경 100mm 이상) 무거운 터그 보트의 터그 라인을 감아 올릴 때 주로 사용된다.
에어캡스턴이 없거나 고장난 선박은 터그 보트 라인을 끌어올리는데 많은 인력이 필요할 것이다. 그리고 캡스턴은 어선, 요트 등 소형 선박에서 그물이나 줄을 감아 올릴 때 주로 사용한다.
스툴박스(STOOL BOX)
STOOL BOX, 스툴박스는 선박의 페세지와 해치코밍 사이 또는 선외측 가까이에 설치된 라싱 장비들을 보관하는 박스 형태의 구조물을 말한다.
내추럴벤트(NATURAL VENT)
NATURAL VENT, 내추럴벤트는 팬모터와 같이 동력 없이 공기의 순환을 할 수 있게 만든 자연 환기 문이며, 빗물이 쉽게 들어가지 못하도록 빗살형태의 라멜라가 설치되어 되어 있다.
메카니컬벤트(MECHANICAL VENT)
MECHANICAL VENT, 메카니컬벤트는 팬모터와 같이 동력을 사용하여 공기를 공급(SUPPLY) 또는 배출(EXHAUST) 할 수 있는 기계적 장치가 적용된 환기구이다.
머쉬룸벤트(MUSHROOM VENT)
MUSHROOM VENT, 머쉬룸벤트, 머시룸벤트는 버섯 모양의 환기구로 핸들을 좌우로 돌려 잠그거나 열 수 있다. 이 환기구를 닫은 상태로 팬을 작동시키면 모터에 무리가가서 고장을 일으킬 수 있으니 반드시 열린 상태인지 확인해야 한다.
라멜라(LAMELLA)
LAMELLA, 라멜라는 NATURAL VENT에 외부 빗물이 내부로 쉽게 들어가지 않도록 만들어진 빗살로 된 얇은 철판을 뜻하며, 방충망의 효과로 보면 될 것 같다. 라멜라는 상대적으로 습기와 빗물, 파도의 노출이 많아 부식이 빠른 편이므로, 주기적으로 정비 또는 교환해 주는 것이 좋다.
에어벤트매쉬(AIRVENT MASH)
AIRVENT MASH, 에어벤트매쉬는 공기 중의 이물질이나 해충 또는 작은 쓰레기 등이 들어가지 않도록 막아주는 철망을 말한다. 매쉬는 연료유 탱크의 에어벤트나 청수 탱크의 에어벤트에 주로 부착되어 있고, 부식이 빠르므로 주기적으로 교환해 주어야 한다.
스카이라이트(SKYLIGHT)
SKYLIGHT, 스카이라이트는 갑판에서 기관구역으로 여러가지 통로를 거치지 않고, 한 번에 커다란 수리 자재(메인엔진 실린더 등)를 프로비전크레인으로 이동시킬 수 있도록 만들어진 문이다. 스카이라이트 주변에는 추락을 방지하는 안전 로프가 설치되어야 한다.
연돌(FUNNEL)
FUNNEL, 펀넬은 엔진이나 발전기 및 보일러가 작동하며 발생된 배기 가스가 나가는 굴뚝이다. 보통 선박의 거주구역 뒤편에 제일 높이 올라가 있는 곳을 말하며, FUNNEL CASING이라고도 한다.
최근 대형 컨테이너 선박의 경우 거주구역과 엔진구역이 분리되도록 설계되어 거주구역은 앞쪽, 기관구역은 뒤쪽이며, 기관구역에 높게 솟은 곳이 FUNNEL이다. 연돌의 최상단에는 메인엔진, 보일러, 발전기 등등 기기에 연결된 배기 파이프들이 튀어나와 있다.
스크러버(SCRUBBER)
SCRUBBER, 스크러버는 탈황 장치로 대기 환경 보호를 위해 만들어진 국제 법규에 따라 황 함유량이 0.5% 이상인 고유황유를 사용할 경우 무조건 스크러버를 설치하고 사용해야 하며, 이것은 배기 가스에서 황성분을 추출해 내는 장치라고 보면 되겠다.
결국 공기 중으로 내보낼 유해한 배기가스를 물에 녹여 바다로 내보내고 있는 조삼모사의 형식이 아닌가 생각된다. 연돌 주변이나 거주구역 뒤에 흉측하게 생긴 커다란 구조물이 스크러버 장치이다.
프로비전크레인(PROVISION CRANE)
PROVISION CRANE, 프로비전크레인은 선박의 선용품, 기부속, 부식 등을 싣거나 내릴 때 사용하는 크레인이다. 크레인의 SWL은 선박마다 다르지만 4톤 정도를 들 수 있다.

파일럿라다(PILOT LADDER)
PILOT LADDER, 파일럿라다는 도선사(PILOT)의 승하선을 위한 사다리이며, 파일럿 보트를 타고 이동하는 도선사를 위해 수면상 1~2미터로 높이로 설치하여 안전하게 승선할 수 있도록 한다.
선박의 건현(FREEBOARD, 프리보드)이 9미터 이상이 되면 도선사가 올라오는데 힘도 들고 위험하며, 선박에서 파일럿라다를 보관하는 것도 쉽지 않으므로, 파일럿 라다와 갱웨이를 결합한 콤비네이션 라다를 설치하도록 하는 강제화된 규정이 있다.
라싱브릿지(LASHING BRIDGE)
LASHING BRIDGE, 라싱브릿지는 컨테이너 선박에서 갑판 상부에 높이 쌓아둔 컨테이너 박스가 움직이지 못하도록 잡아주는 역할을 하는 구조물이자, 라싱 작업자의 작업 편의를 위한 발판이다.
대형 컨테이너 선박의 경우 갑판 상부에 10단까지 컨테이너 박스를 쌓아 올리는데, 라싱브릿지가 없다면 갑판 상부에서 10단 높이로 쌓여있는 컨테이너의 라싱작업이 불가능하다.(3단 까지는 가능함)
그래서 라싱(고정작업)을 편하게 할 수 있는 라싱브릿지를 화물창과 화물창 사이의 공간에 3단 이상으로 설치하여, 작업자가 그 위로 올라가서 라싱장비를 이용하여 컨테이너박스와 라싱브릿지를 연결한다.
6. 선박의 안전장비(LIFE SAVING APPLIANCE) 관련 용어
선박은 고립된 섬과 같으며, 사고 발생시 외부의 도움을 지원받는데 많은 제약이 따른다. 그래서 기본적으로 안전장비들이 국제협약과 해사안전법에 맞게 설치되어 있는데, 선박의 안전장비(LIFE SAVING APPLIANCE)에는 어떤 것들이 있는지 살펴보자.
라이프보트(LIFE BOAT)
LIFE BOAT, 라이프보트는 구명정이며, 퇴선을 위한 수단 중 하나이며, 밀폐형의 보트이다. 화물선의 라이프보트는 한 번에 모든 선원이 탈 수 있도록 보통 25인승 이내로 건조되며, 만일의 사고에 대비해 포트, 스타보드 양현에 하나씩 설치되어 있다.
그리고 일정 기간 동안 버틸 수 있는 구난 식량이나 식수, 배터리 등이 탑재되어 있으며, 구명정 의장품은 유효기간이 있으므로, 주기적으로 새것으로 교체해 주어야 한다.

레스큐보트(RESCUE BOAT)
RESCUE BOAT, 레스큐보트는 구조정이며, 선박에 따라 특수한 구조정을 구비한 곳도 있으나, 대게 라이프보트 둘 중 하나를 구조정이라 지정하고, 레스큐 보트가 설치된 곳의 윈치 모터는 상대적으로 용량이 커서 일반 구명정 보다 빠르게 내리거나 감아 올릴 수 있는 설비를 갖추었다.
라이프래프트(LIFE RAFT)
LIFE RAFT, 라이프래프트는 구명 뗏목이며, 무동력이다. 선박이 4미터 아래 수심으로 내려가면 자동으로 팽창줄을 끊어 수면위로 떠오르게 하는 장치(HRU)가 설비되어 있고, 퇴선 시 수동으로도 진수가 가능하다.
구명정이나 구명뗏목은 일정 기한 버틸 수 있는 구난식량과 물 및 생존용품이 탑재되어 있고, 구명뗏목은 매년 육상으로 하륙하여 점검을 받도록 되어 있다.
임바케이션라다(EMBARKATION LADDER)
EMBARKATION LADDER, 줄사다리, 승정용사다리는 구명정을 수면에 진수시키고 위급한 경우에는 선원이 바다로 뛰어내린 후 승선해야 하지만, 겨울철이나 다소 퇴선하는데 시간적 여유가 있는 경우에는 보트 데크에서 사다리를 수면까지 길게 늘어뜨리고 사다리를 이용해 내려가서 구명정에 승선하게 되는 시스템이다.
그런데 기상이 나쁜 상황에서 선박이 심한 롤링을 하고 있는 경우에는, 줄사다리를 타고 내려가는 것이 더 위험할 수도 있다. 재난을 만나지 않는다면 사용할 일이 없지만, 만일의 사태를 대비하여 주기적으로 점검을 해야 한다.
에이치알유(HRU)
HYDRO RELEASE UNIT, 에이치알유, 하이드로릴리즈유닛은 구명뗏목, EPIRB 등에 설치되어 있으며, 선박이 침수되어 수면 아래 4미터 이상 잠겼을 때, HRU가 연결줄을 자동으로 잘라내어 구명뗏목, EPIRB 등이 수면 위로 부상할 수 있도록 만들어진 장치이며, 유효기간(2년~3년)마다 새것으로 교체해 주어야 한다.
라이프보트대빗(LIFE BOAT DAVIT)
LIFE BOAT DAVIT, 라이프보트대빗은 동력과 와이어를 이용하여 구명정을 수면에 진수시키거나, 원위치 할 수 있도록 만든 장치이다. 선박 밖으로 대빗암을 내려서 구명정을 수직으로 내리거나 올릴 수 있다. 보통 내릴 때는 중력으로 내리고, 올릴 때는 윈치모터를 사용한다.
리프팅후크(LIFTING HOOK)
LIFTING HOOK, 리프팅후크는 라이프보트 앞뒤에 있는 갈고리 형태의 후크로 플로팅블록에서 이탈시켜 퇴선을 할 수도 있고, 반대로 플로팅블록에 걸어서 구명정을 회수할 때 쓰이는 중요한 설비이다.
이탈장치(RELEASE GEAR)를 이용하는데, 수면에 닿은 후 무부하상태에서 이탈 시키는 것을 OFF-LOAD RELEASE라 하고, 수면에 닿기 전 부하가 있는 상태에서 강제로 이탈 시키는 것을 ON-LOAD RELEASE라 한다.
보트스케이트(BOAT SKATE)
BOAT SKATE는 구명정이 대빗에 의해 회수되거나 선박에 고정되어 있을 때, 충돌하여 에프알피(FRP) 재질의 외관이 손상을 입지 않도록 만들어진 완충제 역할을 하는 부분이다.
리미트스위치(LIMIT SWITCH)
LIMIT SWITCH, 리미트스위치, 리밋스위치는 수면이나 데크 레벨까지 내린 구명정이나 구조정을 라이프보트 대빗 윈치를 이용해 원위치 시킬 때, 대빗의 암이 일정 각도 이상으로 올라와 닿으면 윈치의 동력이 끊기도록 만든 안전장치이다.
리미트스위치가 없거나, 고장이 난다면 구명정 회수 시 윈치를 끝까지 감아올려도 윈치가 멈추지 않아, 조작자의 실수로 와이어폴이 과도한 장력으로 끊어져 구명정이 추락하거나 사람이 끊어진 와이어에 맞는 대형 사고로 이어질 수도 있다.
리모트컨트롤와이어(REMOTE CONTROL WIRE)
REMOTE CONTROL WIRE, 리모트컨트롤와이어는 라이프보트 대빗 윈치의 브레이크 레버를 구명정 안에서도 잡아당겨 중력으로 구명정을 수면에 진수 시키도록 만들어진 설비이다.
긴급한 상황에서 1인 퇴선 시에 구명정에 탑승하여 리모트와이어를 당기면 윈치의 브레이크 레버가 들어 올려져 와이어폴이 풀리게 되고 중력으로 해상으로 하강하게 된다. 그러므로 주기적으로 작동 상태를 점검해야 하겠다.
크래들스토퍼(CRADLE STOPPER)
CRADLE STOPPER, 크래들스토퍼는 라이프보트대빗의 윈치 브레이크가 고장나거나, 황천시 선박의 심한 동요로 라싱와이어가 풀려 중력에 의해 와이어폴이 풀리게 되고 구명정이 수면으로 하강하게 되는데, 이를 방지하기 위한 안전장치이다.
크래들스토퍼는 암스토퍼라고도 하며 라이프보트 대빗의 앞뒤로 하나씩 있으며, 수동으로 벗겨내야만 데비트가 정상적으로 움직일 수 있게 된다. 퇴선 시 제일 먼저 해야 할 부분이 크래들스토퍼를 벗겨내는 것이다.
리커버리스트롭(RECOVERY STROP)
RECOVERY STROP, 리커버리스트롭은 구조정 회수 시 리프팅후크에 플로팅블록을 좀 더 빠르고 쉽게 연결하기 위해 만들어진 유연한 재질의 연결줄이다. 양 끝단은 리프팅후크에 연결되도록 아이(EYE)가 연결되어 있고, 반대쪽은 플로팅블록의 아이(EYE)에 연결되도록 샤클로 되어있고, 중앙부분은 가벼우면서도 유연한 로프로 된 경우가 많다.
리커버리스트롭을 연결한 채로 구조정을 회수하여 정상 격납은 불가능하므로, 일정 높이까지 감아올린 다음 행잉오프펜던트에 구조정을 고정시키고, 리커버리스트롭을 빼내야 한다.
행잉오프펜던트(HANGING OFF PENDENT)
HANGING OFF PENDENT, 행잉오프펜던트는 구명정 회수시 리커버리 스트롭을 제거하기 위해 임시로 라이프보트 대빗에 라이프보트를 고정해 둘 수 있는 와이어이다. 행잉오프펜던트는 라이프보트대빗에 라이프보트를 와이어로 연결하여 LIFTING BLOCK이나 HOOK 또는 WIRE를 교체하거나 수리할 때 사용할 수 있다.
페인터(PAINTER)
PAINTER, 페인터는 라이프보트를 내리거나 진수시켰을 때, 움직임을 고정하거나 선박에서 멀어지지 않도록 잡아주는 역할을 하는 로프이다. 퇴선 시에는 이 페인터의 연결고리를 분리하여야 한다.
역반사테이프(REFLECTIVE TAPE)
REFLECTIVE TAPE, 리플렉티브테입, 역반사테이프는 불빛을 반사하는 테이프로, 라이프보트의 앞뒤 좌우 위에 붙여져 있다. 조난되어 구조를 요청하였을 시, 외부에서 불빛으로 쉽게 식별할 수 있도록 하기 위해 붙인다.
캐노피라이트(CANOPY LIGHT)
CANOPY LIGHT, 캐노피라이트는 구명정 외부의 제일 꼭대기에 설치된 등이다. 조난시 야간에 주변 선박이나 항공기에서 구명정을 발견 할 수 있도록 하는 설비이다.
라이프링(LIFE RING)
LIFE RING, 라이프링, 구명부환은 물에 뜨는 플라스틱 재질의 링이다. 선박의 길이에 따라서 비치해야 하는 구명부환의 수량이 협약으로 정해져 있으며, 특정 위치에는 로프와 연결된 라이프링, 라이트와 연결된 라이프링, 신호홍염과 연결된 라이프링이 비치되어 있다.

이머젼슈트(IMMERSION SUIT)
IMMERSION SUIT, 이머젼슈트는 방온복이며, 조난시 물에 젖거나 물에 빠졌을 때 저체온증을 예방하는 장비이다. 예전에는 부력이 없어서 불편하게 이머젼슈트 위에 라이프자켓을 이중으로 입었으나, 최근에는 라이프자켓을 입지 않아도 되는 이머젼슈트가 보급되고 있다.
그리고 협약에 따라 2~3년 마다 외부 전문 업체에서 수거해가서 성능을 점검 받는다. 선박에서는 주기적으로 지퍼의 상태를 점검하고 윤활제를 발라 주어야 한다.
라이프자켓(LIFE JACKET)
LIFE JACKET, 라이프자켓은 구명조끼이며, 퇴선을 위해 물에 빠졌을 때 물에 뜰 수 있도록 해준다. 라이프자켓에는 신호를 보낼 수 있도록 호각(호루라기)과 방수가 되는 랜턴이 함께 비치 되어 있다.
로켓파라수트(ROCKET PARACHUTE)
ROCKET PARACHUTE, 로켓파라수트는 낙하산 신호이며, 구조 신호를 보내기 위해 하늘로 로켓을 발사하면, 300미터 상공에서 낙하산이 펴지며 붉은 불꽃을 내며 천천히 낙하한다.
그만큼 위력이 강하여 반동이 심할 수 있으므로, 발사 전 주변을 잘 살피고, 수직으로 발사될 수 있도록 중심을 잘 잡아야 한다. 일부 항해사가 호기심에 이리저리 만지다가 오발사되어 안면부 부상을 입는 사례가 종종 있는 만큼 조심해야 한다.

신호홍염(SIGNAL FLARE)
신호홍염은 주간에도 식별할 수 있는 붉은색 연기를 피우는 장비이며, HAND FLARE는 조난을 당하였을 때 근처의 선박이나 항공기가 접근 시에 주간이나 야간에도 먼 거리 식별 할 수 있도록 강한 붉은 빛을 발하는 도구이다.
레이다리플렉터(RADAR REFLECTOR)
RADAR REFLECTOR, 레이다리플렉터는 구명정의 의장품 중 하나로, 주변 선박이나 항공기에서 발신하는 RADAR의 전파를 반사시켜 조난 위치를 알리는 장비이다. 항해사는 항해중 주변 조난 구명정에서 보내는 신호를 제대로 탐지 할 수 있어야 한다.
이퍼브(EPIRB)
이퍼브, 이피아이알비, EPIRB는 EMERGENCY POSITION INDICATING RADIO BEACON의 약자로 비상위치표시전파발신기이며, 조난 시 EPIRB의 전원을 넣으면 일정 시간 간격으로 조난 위치를 위성을 통해 구조조정본부(RCC)로 전송하게 된다.
그런데 이피아이알비 배터리의 사용 시간이 48시간 밖에 되지 않으므로, 조난시 장시간 전원을 켜두는 것이 아니라 잘 조절하면서 작동시켜야 하겠다.
싸트(SART)
SART는 SEARCH AND RESCUE TRANSPONDER의 약어로 상대 선박이나 항공기의 X-BAND RADAR상에 조난 위치를 표시할 수 있는 도구이다. 배터리의 사용시간과 X-BAND RADAR의 탐지 거리가 짧으므로, 주변에 선박이나 항공기의 움직임이 있을 때만 전원을 켜서 사용하여야 한다.
구명줄발사기(LINE THROWING GUN)
라인쓰로잉건, LINE THROWING GUN, LINE THROWING APPLIANCE, 구명줄 발사기는 선원이 물에 빠진 경우, 인력으로 멀리 까지 줄을 던질 수 없으므로, 화약으로 발사되는 장비이다. 200~300미터까지 구명줄을 보낼 수 있을 만큼 위력이 크므로, 반동에 주의하여야 한다.
써치라이트(SEARCH LIGHT)
SEARCH LIGHT, 써치라이트는 일반 불빛보다 강하여 멀리까지 비출 수 있는 탐색등, 탐조등 이다. 멀리 있는 선박에 경고 신호를 보내거나, 바다에 빠진 선원을 찾거나, 조난 시 본인의 위치를 타 선박에 알리는 용도로 사용한다.
안전벨트(SAFETY BELT)
SAFETY BELT, 안전벨트는 추락의 위험이 있는 곳에서 작업을 할 경우, 사용하는 안전장치로 벨트와 연결된 1미터 이상의 로프와 후크로 연결되어 있다. 최근에는 안전벨트보다 조끼 형태의 하네스를 주로 착용한다.
이이비디(EEBD)
EEBD는 EMERGENCY ESCAPE BREATHING DEVICE의 약어로, 비상탈출용 호흡구이다. 선박의 화재 발생 시 탈출을 위한 호흡 장비이며, 소형의 휴대식으로 약 10여 분간 사용 가능하다. 기관 구역에 주로 비치 되어 있고, 거주 구역에는 갤리 화재에 대비하여 식당에 주로 비치 되어 있다.
7. 선박의 소화장비(FIRE FIGHTING APPLIANCE) 관련 용어
선박은 고립된 섬과 같으며, 화재 발생시 외부의 도움과 지원을 받는 것이 매우 어렵다. 그래서 선박 건조시 처음부터 국제협약과 해사안전법 등을 통하여 철저한 기준으로 설계되었다. 선박의 소화 장비(FFA, FIRE FIGHTING APPLIANCE)에는 어떤 것들이 있는지 살펴보자.

소화호스(FIRE HOSE)
FIRE HOSE, 파이어호스는 선박마다 상이하지만, 직경 50~65mm의 약 20여 미터의 호스를 말한다. 기관실 화재 시에는 시그널 라인 대신 소화호스 2개를 연결하여 진입하기도 한다. 주기적으로 호스에 구멍이 나지는 않았는지 점검하고 새것으로 교환 하여야 한다.
소화노즐(FIRE NOZZLE)
FIRE NOZZLE, 파이어노즐은 소화호스 끝에 연결하여 직수나 분무(스프레이) 형태로 조절할 수 있는 노즐이다. 화재의 형태에 따라 상황에 따라 분무 형태로 분사할 수도 있고, 직수 형태로 멀리 보낼 수도 있다. 주기적으로 윤활제를 발라서 노즐이 쉽게 돌아가도록 관리해야 한다.
소화전(FIRE HYDRANT)
FIRE HYDRANT, 파이어 하이드런트는 소화호스를 연결하고 밸브를 열어서 해수를 내보내는 커다란 수도꼭지라 할 수 있겠다.
소화박스(FIRE BOX)
FIRE BOX, 파이어박스는 소화호스와 노즐이 보관되어 있는 상자를 뜻하며, SOLAS 국제협약에 따라 일정 간격마다 비치되어 있다.
비상소화펌프(EMERGENCY FIRE PUMP)
EMERGENCY FIRE PUPM, 이머전시 파이어펌프는 비상소화펌프이며, 일반적으로 갑판이나 기관의 해수 공급 시 지에스펌프(G/S PUMP, GENERAL SERVICE PUMP)를 이용하는데, 기관실 화재 또는 블랙아웃(정전)시 에는 작동이 불가능하다.
그래서 비상상황에서 선수나 선미에 비상발전기나 별도의 연료로 작동할 수 있는 펌프가 설치되어 있는데, 이것을 비상소화펌프라고 말한다.
아이솔레이션밸브(ISOLATION VALVE)
ISOLATION VALVE는 차단밸브를 뜻하며, 기관실, 갑판 상부, 거주구역에 화재 발생 시에 선박에 거미줄처럼 펼쳐져 있는 해수 라인의 길목을 차단하여, 기관실이면 기관실만, 갑판상부면 갑판상부만, 거주구역이면 거주구역만 해수가 공급되도록 하는 차단밸브이다.
만약 아이솔레이션 밸브가 없거나 정상 작동하지 않는다면, 기관실에 화재가 발생하였는데, 갑판상에 조금씩 열린 소화 밸브로 해수가 방출되어 원하는 곳에 제대로 해수가 공급되지 않아 화재를 진압할 수 없을 수도 있을 만큼 중요한 밸브이므로 주기적으로 작동 점검과 프리업(FREE UP)을 해주어야 한다.
휴대식소화기(PORTABLE EXTINGUISHER)
PORTABLE EXTINGUISHER, 들고 다닐 수 있는 형태의 소화기이며, 선박에는 환경에 따라 보통 3종류의 휴대식 소화기가 비치 되어 있다.
고정식소화장치(FIXED EXTINGUISHER)
FIXED EXTINGUISHER, 고정식소화장치는 휴대식 소화기와 다르게 고정된 소화설비 및 시스템이다. CO2를 분사시키는 소화장치와 미스트를 분사시키는 소화장치가 있다.
씨오투소화기(CO2 EXTINGUISHER)
CO2 EXTINGUISHER는 CO2(이산화탄소)를 방출하여 냉각 및 질식 효과로 불을 끄는 소화기이다. 보통 물이 닿으면 불을 끄더라도 심한 피해가 예상되는 전기 화재나 기관실 화재, 화물창 화재에 주로 사용된다.
폼소화기(FOAM EXTINGUISHER)
FOAM EXTINGUISHER, 폼소화기는 화학적으로 반응하는 FOAM을 방출하여 탈 물질을 덮어 산소와의 접촉을 차단시켜 질식 효과로 불을 끄는 소화기이다. 폼은 액체류이므로 유류화재에 주로 쓰인다.
드라이파우더소화기(DP EXTINGUISHER)
DRYPOWDER EXTINGUISHER, DP 소화기, 디피소화기는 미세한 분말 형태의 가루를 분사하여 탈 물질을 덮고 산소와의 접촉을 차단 시켜 질식 효과로 불을 끄는 소화기이다. 분말은 유류 화재보다 고체 화재에서 효과적이다.
픽스드씨오투(FIXED CO2)
FIXED CO2, 고정식 CO2 소화장치는 기관실과 청정기실 그리고 화물창의 대형 화재 시, 선원의 힘으로 진압이 불가능할 경우를 대비하여, 다량의 CO2를 방출하여 질식과 냉각 효과로 화재를 진압할 수 있도록 만든 설비이다.
고정식 CO2는 FIRE CONTROL STATION에서 리모트로 작동 가능하고, CO2 ROOM에서 리모트 또는 수동으로 CO2 방출이 가능하다. 화물창 화재가 발생하면 CO2 ROOM으로 가서 해당 화물창 사이즈에 맞는 양의 CO2를 수동으로 열어주어야 한다.
수성막포소화약제소화기(AFFF)
AFFF 소화기는 AQUEOUS FILM FORMING FOAM EXTINGUISHER의 약어로 수성막포소화약제소화기를 말한다. 물보다 가벼운 인화성 액체 위에서 물이 떠있도록 하는 획기적인 약제를 사용한다. 그래서 인화성 액체를 덮고 수막과 거품을 형성하여 질식 작용을 동시에 하는 소화기이며, 유류 화재에 효과적이다.
폼어플리케이터(FOAM APPLICATOR)
FOAM APPLICATOR, 폼어플리케이터는 휴대식 소화기로 진압이 불가능한 중대형의 유류화재 발생시에, 소화전에 소화호스를 연결하고 소화 노즐 사이에 폼어플리케이터를 추가로 연결하여 소화 호스로 해수가 강한 압력으로 분사될 때 연결된 작은 호스로 약제가 섞여 방출되어 거품을 형성하여 화재를 진압하는 장비이다.
물로만 화재를 진압할 때보다 소화 약제를 같이 방출시켜 거품을 팽창시키기 때문에 질식 및 소화 효과가 몇십 배는 뛰어나다. 소화약제는 일정 주기(3년)마다 새것으로 교체해 주어야 하며, 유류화재에 효과가 뛰어나 기관실에 주로 비치되어 있다.
소방원장구(F.M.O)
FIREMAN'S OUTFIT, 파이어맨즈아웃핏은 소방원 장구를 총칭하며, 소방관이 화재 진압 시 착용하는 모든 장비와 도구를 뜻한다. 방화복, 자장식 호흡구, 손도끼, 랜턴, 무전기, 시그널 라인, 등이다.

자장식호흡구(SCBA)
SCBA는 SELF CONTAINED BREATHING APPARATUS의 약어로 자장식 호흡구이다. 산소통과 마스크 세트를 말하며, 밀폐된 장소에서 숨을 쉴 수 있는 장비이다. 통상 용량은 8L~12L 정도이며, 압력에 따라 다르지만 30여 분간 사용 가능하다.
퀵클로징밸브(QUICK CLOSING VALVE)
QUICK CLOSING VALVE는 화재 발생 시, 일일이 돌아다니면서 공기가 순환하지 않도록 환기구를 닫고, 연료유가 추가로 들어가지 않도록 밸브를 차단하고, 특정 장비의 작동을 멈출 수 있는 시간적인 여유가 없다.
그래서 FIRE CONTROL STATION에서 한 번에 멈추거나 닫도록 할 수 있는 장치를 설치하였고, 퀵 클로징 밸브를 작동시키면, 추가적인 화재의 확산을 방지할 수 있도록 연료유의 공급을 차단하거나, 환기구를 닫고, 팬을 멈춰서 탈 물질과 산소의 공급을 차단하게 된다.
파이어디텍터(FIRE DETECTOR)
FIRE DETECTOR는 화재탐지 장치로 화재 발생 시 SMOKE, HEAT, THERMOMETER (연기, 불빛, 온도)를 탐지하는 센서에 의해 화재를 탐지하고 경보를 발생시킨다.
스모크디텍터(SMOKE DETECTOR)
SMOKE DETECTOR는 화재시 연기를 탐지하여 알람을 발생시키는 장치이다. 스모크 디텍터는 먼지나 수증기에 의해 오작동을 자주 일으키므로 FAULT ALARM인지 실제 화재 알람인지 현장 확인이 필수이다.
히트디텍터(HEAT DETECTOR)
HEAT DETECTOR는 화염과 불꽃을 탐지하여 알람을 발생시키는 장치이다.
써모디텍터(THERMO DETECTOR)
THERMO DETECTOR는 화재의 온도를 탐지하여 알람을 발생시키는 장치이다.
파이어알람시스템(FIRE ALARM SYSTEM)
FIRE ALARM SYSTEM, 화재경보시스템은 무수히 많은 FIRE DETECTOR에서 오는 신호를 수신하여 선교에 화재경보를 울리고, 당직사관이 현장 확인을 하고 소화 부서를 배치할 수 있도록 하는 화재탐지 및 경보 장치이다.
FIRE DETECTOR에서 화재가 탐지되어 ALARM이 선교에 울리면, 열린 FIRE DOOR가 자동으로 닫히게 된다. 그리고 딜레이 시간(1분 30초~2분) 내에 화재 구역을 격리(ISOLATION) 시키지 않으면 선박 전체에 화재 경보가 울리게 된다.
카고홀드스모크디텍팅시스템(C/H S.D.S)
CARGO HOLD SMOKE DETECTING SYSTEM은 화물창의 연기 탐지 시스템이며, 모든 화물창과 연결된 석션 파이프 라인을 통해 팬모터를 작동시켜 각 화물창의 공기를 빨아들여 SMOKE DETECTOR를 통과시킨 후 SMOKE여부를 탐지하여 화재 경고를 해주는 시스템이다.
그런데 화물창 내에 습한 공기 또는 수증기 그리고 먼지로 인해 SMOKE DETECTOR가 오염되었거나, SMOKE DETECTOR가 고장이 났을 경우, FAULT ALARM이 발생하게 된다. 담당 항해사는 주기적으로 CO2 ROOM이나 선교에 설치된 CARGO HOLD SMOKE DETECTING SYSTEM의 DETECTOR가 정상 작동하는지 TEST 해주고 기록으로 남겨야 한다.
엠씨피(MCP)
MPC는 MANUAL CALL POINT의 약어로 매뉴얼콜포인트는 화재를 발견하고 파이어 알람시스템에 알리는 수단이며, 얇은 플라스틱을 눌러서 깨부수면 선교에 화재경보가 울리게 된다. 매월 소화설비 담당자(2 항사 또는 3 항사)에 의해 작동 테스트의 방법으로 관리된다.
에어블로잉테스트(AIR BLOWING TEST)
AIR BLOWING TEST는 고정식 CO2의 파이프 라인이 막히지 않고 제대로 작동하는지 TEST 하는 것을 말하며, CO2를 직접 방출하면 질식으로 사망의 위험이 있을 수 있기에, HOSE로 AIR를 연결하여 각 화물창이나 기관구역의 3 WAY VALVE를 열어서 에어를 공급해주고, 현장에서 에어가 잘 나오는지 확인하는 것을 말한다.
보통 2년 주기로 선급 연차 검사 전에 소화 안전장비 업체에서 테스트를 시행한다. 선박에서도 PMS를 통해 주기적으로 에어블로잉 테스트를 하고, FAULT ALARM이 자주 발생 될 때는 AIR BLOWING을 해주면 효과적이다.
쓰리웨이밸브(3-WAY VALVE)
3-WAY VALVE는 3가지 방향을 설정할 수 있는 밸브를 말하며, 고정식 CO2가 화물창으로 연결되는 라인의 경우에 3-WAY VALVE가 설치되어 있는데, 여러 개의 화물창 중 CO2가 하나의 화물창으로만 가도록 길을 열어주기에 용이한 밸브이다.
평상시엔 모든 홀드에서 팬모터를 통해 에어가 석션되어 스모크 디텍터를 통해 외부로 방출되도록 열려있고, 화물창 화재 발생 시 화재가 발생되지 않은 화물창으로 CO2가 들어가지 않도록 막아주는 역할을 하고, 화재가 발생한 특정 화물창만 열어서 CO2가 방출되도록 하는 3가지를 설정할 수 있는 밸브인 것이다.
8. 선박의 항해&통신(NAVIGATION & GMDSS) 관련 용어
실습생이나 선박의 항해 및 통신 관련 용어가 궁금한 분들을 위해 선박의 항해장비와 통신장비에 대한 간략한 개념과 용어의 뜻을 설명하고자 한다. 추가적으로 궁금한 용어는 댓글로 남겨주시면 업데이트 하도록 하겠습니다.
차트(CHART)
CHART, 차트는 해도이며 해상에서 보는 지도를 말한다. 해도에는 일반 지도와 다르게 육지와 바다가 다른 색으로 구분되어 있고, 수심(DEPTH) 정보가 상세히 표시되어 있다. 그래서 항해사가 수심과 암초 또는 장애물을 확인하며 차트(해도)위에 선을 그어 항로(ROUTE)를 계획한다.
그런데 기술의 발달로 종이 해도는 역사의 뒤안길로 사라지고 자동차 네비게이션과 같은 ECDIS(전자해도표시장치) 장비를 사용하는 추세이다. 이제 갓 항해사가 되는 사람은 종이 해도(PAPER CHART)가 무엇인지 모를 수도 있겠다.
레이다(RADAR)
RADAR는 RADIO DETECTION AND RANGING의 약어로, 전파탐지기로 특정 주파수대의 전파를 보내고 돌아오는 전파를 해독하여 특정 방위와 거리에 있는 물표를 화면에 디스플레이해주는 장치이다.
바다에는 도로처럼 가로등도 없고 신호등도 없기 때문에, 레이다가 없이 눈 만으로 항해를 하는 것은 거의 불가능하다. 비바람이 몰아치거나 안개가 자욱한 경우에는 레이다만 의존하여 선박을 운항할 수 밖에 없기 때문이다. 선박의 레이다는 최대 96마일 약 200KM 거리의 물표도 식별이 가능할 만큼 뛰어난 항해 장비이다.
알파(ARPA)
AUTOMATIC RADAR PLOTTING AID, 자동레이다플로팅장치로 레이다에서 물표를 타겟으로 잡으면, 그 물표의 정보(속도, 벡터, 방위, 위치, 최근접 거리, 최근접점까지 걸리는 시간, 선수 통과 여부, 등등)를 레이다 화면에 표시해 준다. 그 정보를 바탕으로 마주 오는 선박을 피할지, 현재의 코스를 유지할지 쉽게 판단할 수 있다.
씨피에이(CPA)
CLOSEST POINT OF APPROACH, 최근접점이라 하며, 상대 선박을 레이다나 엑디스로 타겟을 잡았을 경우, 현재의 속도와 방위로 계속 진행했을 때 상대 선박과 가장 가까워지는 순간의 거리를 말한다. 보통 선장은 초임 항해사에게 횡단하는 선박과는 CPA를 최소 1~2마일 이상, 일반적인 선박과는 1마일 이상으로 항해할 것을 지시한다.
티씨피에이(TCPA)
TIME TO CLOSEST POINT OF APPROACH, 타겟팅된 물표와 가장 가까운 위치가 되는 시간을 의미하며, 상대 선박을 타겟팅 하였을때, CPA가 0.5마일로 표시되고, TCPA가 10:10으로 표시된다면, 10분 10초 후에 상대 선박과의 거리가 0.5마일로 최소가 된다는 의미이다.
TCPA에 따라서 추월 당하는 선박을 몇 분 후에 추월할 수 있을지 쉽게 확인할 수 있고, 벡터의 길이를 조절하여 몇 분 후에 어느 위치에서 서로 만나게 될지 시물레이션 해볼 수 있다.
비씨알(BCR)
BOW CROSSING RANGE, 선수횡단 거리이며, 횡단하는 선박을 타겟팅 하였을때, 어느 정도 거리에서 선수를 횡단하게 되는지를 알려준다. 예를 들어 횡단하는 선박의 BCR이 1.2로 표시된다면, 상대선박이 1.2마일 앞에서 본선의 선수를 지나간다는 것을 의미한다. 만약 상대선박이 본선의 선수를 횡단하지 않으면, BCR이 마이너스로 표시된다.
비씨티(BCT)
BOW CROSSING TIME, 선수횡단 시간이며, 횡단하는 선박을 타겟팅 하였을때, 어느정도 시간 후에 선수를 횡단하게 되는지를 알려준다. 예를 들어 횡단하는 선박의 BCT가 15:10으로 표시된다면, 상대 선박이 15분 10초 후에 본선의 선수를 지나간다는 것을 의미한다. 만약 상대선박이 본선의 선수를 횡단하지 않으면 BCT가 표시되지 않는다.
에스오지(SOG)
SPEED OVER GROUND, 대지속력이며, 레이다나 각종 항해장비에 선박의 속도가 표시되는데, 이 속도의 기준이 지상임을 뜻한다. 선박은 물에 떠있기 때문에, 조류나 해류에 따라 실제 물속에서 달리는 속도와 육상 기준으로 보는 속도가 다르다. 그러므로 외력의 영향을 무시하고 지상의 기준으로 위성에서 GPS를 통해 시간에 따른 위치정보를 취합한 속도가 SOG이다.
씨오지(COG)
COURSE OVER GROUND, 대지방위, 실침로라고 표현하며, GPS를 통해 선박의 위치가 시간에 따라 측정되며 SOG가 계산됨과 동시에 COG도 계산된다. 그래서 COG는 외력에 의해 선박이 실제 이동하는 방위를 의미한다.
조류나 바람이 강한 상황에서 선박의 선수 방위와 COG에 오차가 발생된다. 그래서 외력의 영향을 계산하여 선박의 선수 방위를 조절하여 정확히 원하는 방위로 선박을 조종하여야 한다.
헤딩(HDG)
HEADING은 선수 방위이며, 선박의 정선수가 향하는 방위를 말한다. 선박은 유체 위에서 조류나 바람 등의 외력이 영향으로 실제 선수 방위가 000도를 가리키지만, 실제 SOG는 010도로 이동할 수도 있다.
그래서 헤딩보다 외력의 영향으로 우측으로 10도의 LEEWAY가 발생된다는 것이 관찰된다면, 헤딩을 000도에서 350도로 10도 왼쪽으로 돌려서 원하는 방위인 000도로 선박이 항진할 수 있도록 조절해야 한다.
코스(COURSE)
COURSE, 선박이 가고자 하는 진행 방향을 말한다. 헤딩은 선박의 방향이며, 코스는 항해계획시 예정된 방향이다.
코스라인(COURSE LINE)
COURSE LINE은 해도에 그어 놓은 계획된 선(방위)을 말한다. 항해사는 A지점에서 B지점까지의 계획된 코스라인에 선박이 위치하도록 선박을 조종한다. 자동차로 예를 들면 출발전 네비게이션으로 목적지를 선택하였을 때, 고속도로를 이용할지 일반도로를 이용할지에 따라 달라지는 이정표에 따라 운전을 하게 되는데, 그렇게 따라가는 길을 코스라고 한다.
알터코스(A/Co)
ALTER COURSE, 코스를 변경하는 것을 말한다. 변침점에서 다음 코스로 변경할때 시간과 각도를 알터코스라고 로그북에 기록한다.
이비엘(EBL)
ELECTRONIC BEARING LINE, 전자방위선이며, 레이다에서 조이스틱을 조절하여 본선에서 상대 물표, 상대 선박과의 방위를 확인할 수 있고, 특정 위치(물표, 등대, 방파제)로 이동시켜 그곳에서 본선까지의 방위를 확인할 수 있는 기능이다.
일반적으로 레이다로 항해를 할 때, 가까워지는 선박에 EBL을 설정해 두고, 그 선박이 설정해둔 EBL 안으로 들어오면 위험함을 느끼고 피항 동작을 취하고, EBL을 벗어나면 안전하다고 판단하여 코스를 유지하는 등의 판단 근거가 된다. 그리고 항만 관제실(VTS)에서 특정한 물표(등대)에서 방위 몇 도, 거리 몇 마일 위치에 앵카를 놓으라고 할 때 주로 이용한다.
브이알엠(VRM)
VARIABLE RANGE MARKER, 가변범위표지라하며, 레이다나 엑디스에서 조이스틱이나 마우스로 상대 선박이나 물표까지의 거리를 젤때 주로 사용하는 기능이다. 항해시 적절한 VRM을 설정해 두고, 설정된 VRM 안에 물표가 탐지된다면 위험성을 판단하고 항해에 좀더 집중하여 피항 조치를 하고, 물표가 탐지되지 않는다면 안전하다 판단하고 현재의 코스를 유지 하는 등의 판단 근거가 된다.
엑디스(ECDIS)
ECDIS는 ELECTRONIC CHART DISPLAY and INFORMATION SYSTEM의 약어로 전자해도 정보시스템이다. 종이로 된 지도(해도)를 VECTOR로 표현한 시스템이며, 종이 해도에서는 할 수 없는 축소 확대가 가능하다.
엑디스는 자동차 내비게이션처럼 지도가 화면에 표시되고 현재 위치, 속도, 방위, 등의 각종 정보가 통합되어 표시되는 장치이다. 항해사의 오른팔은 레이다이며, 왼팔은 엑디스일 정도로 선박을 조종하는데 필수적인 시스템이다.
웨이포인트(WPT)
WAY POINT, 변침점은 항해계획상 선박의 코스를 변경하는 지점의 위치를 말한다. 항해계획을 할 때 가장 이상적인 것은 변침점의 개수가 적으면서 항해거리가 짧은 것이다.
바다는 육지처럼 도로가 없기 때문에, 선장이 계획한 변침점까지는 특별한 장애물이 없는 한 계속 같은 코스를 유지한다. 태평양 횡단 시에는 5일간 단 한 번의 코스 변경 없이 항해하는 경우도 있다. 자동차로 치면 5일간 직진만 하는 것이다.
엠오비(MOB)
MAN OVERBOARD, 익수자 발생을 의미하며, 선외 측 작업 중 선원이 해상으로 추락하였을 시, 레이다나 엑디스상에 MOB 버튼을 눌러서 현재의 위치를 표시해 준다. 그래서 물에 빠진 선원을 구조하기 위해 MOB 이벤트 마크가 표시된 지점으로 배를 급히 돌려 선원을 찾아서 구조한다.
오토파일럿(AUTO PILOT)
AUTO PILOT은 자동 조타장치로 특정한 방위를 세팅해 놓으면, 타각을 계산하여 적절하게 조타 오더를 발생시켜 원하는 방위를 유지해 주는 장치이다. 이 오토파일럿 덕분에 조타수는 업무가 90프로 경감되었고, 갑판수가 조타수 업무를 병행할 수 있게 되었다.
또한 오토파일럿 덕분에 통항선이 별로 없는 먼바다에서는 1인 항해 당직도 가능하다. 자동차로 치면 1차원적인 자율주행 시스템과 비슷한 개념이다. 하지만 오작동을 일으키는 경우도 종종 발생하므로, 항해사는 수시로 현재의 타각과 헤딩을 확인하여야 한다.
자이로콤파스(GYRO COMPASS)
GYRO COMPASS를 말하며, 선박이 상하 좌우로 움직이더라도 선수의 정확한 방위를 알 수 있도록 해준다. 자이로콤파스가 정상 작동 되어야 오토파일럿 또한 정상작동 가능하다.
그래서 보통 선박에 자이로 콤파스가 2대 설치되어 있다. 만약 자이로 콤파스가 고장이 난다면, 약 10도 정도로 VARIATION이 큰 마그네틱 콤파스를 보며 어려운 항해를 해야 할 것이다.
지피에스(GPS)
GLOBAL POSITIONING SYSTEM, 위성항법시스템으로 선박의 위치를 경위도와 시간을 표시해 주는 장비이다. GPS가 고장난다면 선박의 위치를 육지의 물표나, 섬, 등대, 또는 천측을 하여 별자리로 확인할 수밖에 없다. 그래서 항해에 필수적인 장비는 만일의 사고를 대비하여 2대를 비치하고 있다.
에이아이에스(AIS)
AUTOMATIC IDENTIFICATION SYSTEM, 선박자동식별장치라하며, 상대 선박의 정보를 알려주는 장치이다. 목적지, 도착시간, 헤딩, COG, CPA, LOA, BEAM, DRAFT 등의 모든 정보를 한눈에 쉽게 알 수 있다.
선박의 통항량이 많은 싱가폴 스트레이트에서 TSS를 횡단해야 하는 경우, AIS에서 횡단하는 선박의 목적지 정보를 미리 확인하여, 스피드를 낮추어 싱가폴항에 입항하는 선박인지, 스피드를 유지하며 지나갈 선박인지 구분하여 안전하게 항해하는데 많은 도움이 된다.
지금은 어선조차도 AIS를 설치할 정도로 AIS가 설치되지 않은 선박이 없다. 이 AIS정보가 전 세계에 공유되어, 일반인들도 FINDSHIP 등의 사이트를 통해 선박의 현재 위치와 목적지, 도착시간 등의 정보를 쉽게 알 수 있다.
에이아이에스 플러그(AIS PLUG)
AIS RECEPTACLE은 도선사가 승선하면 선박의 AIS장비에 무선 송신기를 연결하여 핸드폰이나 PDF로 AIS 정보를 수신받기 위해 사용하는 플러그 또는 연결잭이다.
보통 AIS가 브릿지 콘솔에 내장된 선박의 경우에는 선교의 앞쪽 정중앙 부근에 파일럿을 위한 AIS 연결잭이 매립되어 있다. AIS가 돌출되어 설치된 선박의 경우에는 AIS 뒷면에 무선 송수신 장치를 연결할 수 있는 연결잭이 있다.
이티에이(ETA)
ESTIMATED TIME OF ARRIVAL, 도착 예상시간이며, AIS에 목적지와 예상 도착시간을 입력하여 모든 선박과 정보를 공유한다. ETA는 LOCAL TIME으로 입력하는 선박도 있고, 대부분의 선박은 UTC(COORDINATED UNIVERSAL TIME, 세계협정시)로 입력한다.
스피드로그(SPEED LOG)
SPEED LOG는 속도계이며, DOPPLER LOG라고도 한다. 속도의 개념이 SOG(대지속력)를 나타내는 것이 아니라, SOS(대수속력, 해상에서의 속력, 유체의 속력)을 나타낸다. 그래서 SOG가 20노트로 관측되는데, SPEED LOG에 18노트로 표시된다면, 바람이나 해류의 영향으로 속도가 2노트 증가한 것을 의미한다.
예를 들어 SOG가 10노트인데, SPEED LOG에 15노트가 표시된다면, 선박은 15노트의 유속을 헤치며 달리지만, 실제 이동거리에 따른 SOG는 10노트로, 5노트만큼 바람이나 해류의 방해를 받고 있음을 의미한다. 그래서 스피드 로그로 역조 상태인지 순조 상태인지 쉽게 확인 가능하다. 스피드 로그보다 빠르면 순조, 스피드 로그보다 SOG가 작으면 역조를 의미한다.
에코사운더 : ECHO SOUNDER
ECHO SOUNDER는 음파를 이용한 측심장치로, 선박의 제일 바닥에 위치한 에코사운더 센서에서 해저로 음파를 쏴서 돌아오는 음파의 시간으로 해저의 깊이를 표시해 주는 장치이다. 물론 해도에 이미 수심이 몇 미터인지 표시되어 있지만, 수심이 해류에 의한 퇴적물로 인해 변할 수 있기 때문에 바다의 깊이를 추가적으로 확인할 수 있는 수단이다.
보통 상하이 항구처럼 저수심 구역 (20미터 이내) 또는 화물을 과적하여 여유 수심이 적을 때(3미터 이내), 혹시라도 선박이 바닥에 닿지는 않는지 확인하기 위해 에코사운더에 표시되는 UKC(UNDER KEEL CLEARANCE) 정보 화면을 유심히 관찰하게 된다.
지엠디에스에스(GMDSS)
GLOBAL MARITIME DISTRESS AND SAFETY SYSTEM, 전세계적해상조난및안전시스템을 뜻하며, GMDSS 장비에는 VHF, MFHF, INMARSAT-C, NAVTEX, EPIRB, EGC. NBDP, SART. 등이 있다. 요약하자면, 선박이 조난을 당하였을 경우, 효과적으로 연락을 취할 수 있는 통신 장비, 시스템을 말한다.
위성 인터넷이 개발되기 전, 선박에서 육상으로의 통신은 GMDSS 장비만으로 해결해야 했으므로, 통신장이라는 전문 통신사가 필요하였다. 그러나 위성 인터넷이 보급되면서 GMDSS 장비의 활용도가 매우 낮아졌고, 통신장 이라는 직책도 사라졌다.
아마도 십수 년 안에 활용도가 낮은 GMDSS 장비가 모두 없어지고, 위성전화기와 VHF만 살아남을 것 같다. 게다가 STAR LINK라는 회사에서 아이폰에 위성신호를 기반으로 전 세계를 커버하겠다고 선포하였으니, 그날이 되면 스타링크 위성망의 핸드폰 하나와 VHF로 통합될 수도 있을 것이다.
브이에이치에프(VHF)
VERY HIGH FREQUENCY, 초단파(파장 1~10미터) 통신장비로, 근거리의 선박이나 관제소와의 교신을 할 때 주로 사용한다. 20마일 이상의 먼 거리의 선박과는 감도가 양호하지 않아 정상적인 통신이 어려운 단점이 있다.
항해 시 기본적으로 채널 16번을 유지하며, 필요에 따라 채널을 바꿔서 상대 선박 또는 관제소와 교신을 한다. 퇴선 시에도 휴대용 VHF를 챙겨가서 주변을 지나는 선박이나 항공기에 조난 통신을 할 수 있다.
엠에프에이치에프(MF/HF)
MEDIUM FREQUENCY(중파, 파장 ~1 헥토 미터) / HIGH FREQUENCY (고주파, 파장 ~10 데카 미터), 중파/고주파 통신장비이며, 파장이 커서 VHF보다 상대적으로 먼 거리까지 신호를 보낼 수 있는 장점이 있다.
주변에 통항선도 없고 육지와 멀리 떨어진 망망대해에서 조난 시, 조난신호를 보내는 통신 설비이다. 그런데 선박에 고정되어 있기 때문에 조난 시 사용할 수 없다. MF/HF의 신호로 NBDP(직접인쇄전신, 텔렉스)와 DSC MSG를 수발신 가능하다.
인마셋(INMSAT)
INMARSAT C는 INMARSAT사의 위성을 통해 전 세계의 해역을 커버하는 통신장비이다. 텔렉스와 이메일, SSAS MSG까지 전송할 수 있다.
엘알아이티(LRIT)
LONG RANGE IDENTIFICATION AND TRACKING, 장거리위치추적시스템으로 SOLAS 협약에 따라 INMARSAT-C를 통해 주기적으로 선박의 위치와 속도, 방위, 등의 정보를 정부로 자동 전송한다. 그래서 국가정보원이나 해양수산부 산하 기관에서 모든 한국적 선박의 움직임을 모니터링한다.
경험적으로 한국에서 러시아 블라디보스토크로 항해를 할 때, 북한의 바다를 지나가야 하는데, 국정원에서 위성 전화로 현재 위치보다 더 바깥쪽으로 나가서 항해를 지시하는 전화를 받은 적도 있다.
싸쓰(SSAS)
SHIP SECURITY ALERT SYSTEM, 선박보안경보시스템으로 선박이 보안상의 위협을 느끼거나 해적의 공격을 당했을 때, SSAS 버튼을 누르면 INMARSAT-C의 위성을 통해 해양수산부와 선사의 안전팀(CSO-회사 보안책임자)으로 직접 구조요청 메시지가 발송된다.
가끔 선박에서 SSAS 버튼이 정상 작동되는지 TEST를 하기 위해 실수로 SSAS 메시지를 오발송 하여 해양수산부로부터 벌금이나 불이익을 받기도 하는데, 선장 입회 하에 미리 해양수산부 담당자에게 테스트임을 알리고 SSAS 발신 테스트를 해야 한다.
비엔아스(BNWAS)
BRIDGE NAVIGATIONAL WATCH ALARM SYSTEM, 선교 항해 당직 알람 시스템은 브릿지의 항해 당직자가 지정된 특정 시간(3분~5분)동안 움직임이 없을 경우, 1차적으로 선교에 경보 알람이 울리고, 알람을 잡지 못하면 2차적으로 항해사의 침실에 알람이 울리고, 항해사가 브릿지로 뛰어가서 알람을 잡지 않으면, 선박의 공용구역(식당, 사무실, 휴게실 등) 전체에 알람이 울리도록 만들어진 시스템이다. 결국 항해당직자가 졸거나 장시간 선교를 이탈하는 것을 방지하기 위한 수단인 것이다.
나브텍스(NAV-TEX)
NAV-TEX는 해상안전정보를 수신하는 장치이며, 태풍, 기상악화, 조난, 구조요청, 유빙정보, 등의 기상, 안전 정보를 자동적으로 수신받는 장비이다. 예전에는 매우 유용한 장비였으나, 현재는 위성 인터넷의 발달로 더 빠른 정보 수신이 가능하므로 활용도가 현저히 낮아졌다.
코스레코더(COURSE RECORDER)
COURSE RECORDER는 선박의 선수방위(헤딩) 기록장치이다. 전원을 끄기 전까지, 인쇄지가 끊길때 까지 지속적으로 시간에 따라 인쇄된다. 장시간 선박이 멈춰 있는 접안시에는 전원을 꺼서 인쇄 용지를 아껴주고, 항해재개시에는 시간을 세팅하여 수기로 적어서 날짜와 시간을 알 수 있도록 해준다. 선박의 충돌사고 발생시 선박이 어떻게 이동하였는지 확인하는데 사용된다.
웨더팩스(WEATHER FAX)
WEATHER FAX는 기상도 수신기로, 기압골의 배치나 태풍의 예상 진로를 파악하여 피항을 준비하는데 효과적인 장비였으나, 위성 인터넷의 발달과 함께 그 활용도가 현저히 낮아졌다. 최근에는 선박에서 기상청 사이트에 수시로 접속하여 기상을 확인하고 있으므로, 없어도 될 장비가 되었다.
브이디알(VDR)
VOYAGE DATA RECORDER로 비행기나 자동차의 블랙박스와 같은 장비이다. VDR DATA는 12시간 단위로 덮어쓰는 기능이 있으므로, 사고 직전의 상황을 알 수 있는 중요한 자료가 된다. 톱 브릿지에 캡슐 형태로 추가적으로 저장되고 있으므로, 퇴선시에 VDR의 메모리 카드를 가지고 나와도 된다.
휘슬(WHISTLE)
WHISTLE은 선수와 톱 브릿지에 설치된 기적, 경적(자동차의 클랙슨)이다. 보통 선수에는 전기로 작동되는 기적이며, 톱 브리지에는 에어로 작동되는 기적이다. 접근하는 선박이나 어선에게 경고 신호를 주기 위해 적절하게 휘슬을 사용해야 한다.
씨브이에스(CVS)
CLEAR VIEW SCREEN은 선교의 유리창에 설치된 모터가 달린 회전 유리판이다. 선박이 항해 중 폭우나 스콜, 폭설을 만났을 때, 윈도우 와이퍼 만으로 시야 확보가 어려운데, CVS는 모터가 달린 회전 유리로 고속으로 회전하고 히팅 기능으로 수분을 증발시켜 선명한 시야를 확보해 주는 장치이다. 자주 사용하지 않는 장비이므로 10년 이상된 선박의 CVS는 갑자기 파손될 수 있으니 스페어를 미리 확보해 두는 것이 좋다.
윈도우와이퍼(WINDOW WIPER)
WINDOW WIPER, 윈도우와이퍼는 항해중 비가 내릴때 자동차 와이퍼처럼 시야를 확보해 주는 장치이다. 선박은 자동차와 다르게 창이 넓고 길어서, 여러개(5~10개)의 윈도우 와이퍼가 설치되어 있다. 강풍, 염분, 강한 자외선에 의해 윈도우와이퍼의 러버가 쉽게 손상을 입으므로 주기적으로 교환해 주어야 한다.
9. 선박의 조타(STEERING) 관련 용어
선박의 핸들(휠)은 자동차와 다르게 한바퀴를 돌릴 수 없다. 그리고 오른쪽 왼쪽이 아니라 선박 고유의 어휘를 사용하며, 타각으로 표시를 하게 되는데, 조타 관련 용어와 명령어에 대해서 살펴 보자.
포트(PORT)
좌현, 선박의 왼쪽편을 말한다. 좌현의 유래는 바이킹족의 역사로 올라가며, 그 시대의 키(방향타)가 선미의 오른쪽에 위치하도록 건조되었기에, 선박을 좌현으로 접안할 수 밖에 없었다. 그 당시 부두를 라보드(LARBOARD, 라레스, LARES는 해로의 수호신)라 불렀고, 우현인 스타보드와 혼동을 피하기 위해 라보드 대신 부두를 의미하는 포트를 써서 포트 사이드 (PORT SIDE)라고 부르게 되었다. 항공기 역시 동일하게 적용되며, 좌현에는 빨간색 등화를 표시한다.
스타보드(STBD)
STARBOARD는 우현, 오른쪽을 말한다. 우현의 유래는 바이킹족의 역사로 올라가며, 그 시대의 키(방향타)가 노(OAR)를 젓는 선원이 오른손잡이가 대다수였기에, 선미의 오른쪽에 위치하였고, 오른쪽인 STEERING BOARD가 줄여져서 스타보드라고 지금까지 전해져 내려왔다. 항공기 역시 동일하게 적용되며, 우현에는 녹색 등화를 표시한다.
밋쉽(MIDSHIP)
밋쉽, 밋찝, MIDSHIP은 중립, 센터, 중앙, 0도를 말한다.
하드포트(HARD PORT)
좌현 전타, HARD PORT는 좌현 끝까지 타를 돌리라는 의미이며, 통상 좌현 30~35도를 말한다. 전타는 장애물을 피해야 하는 급박한 경우 또는 선박의 스피드가 낮아서 조타 능력이 떨어졌을때 주로 사용된다.
하드스타보드(HARD STBD)
우현 전타, HARD STBD는 우현 끝까지 타를 돌리라는 의미이며, 통상 우현 30~35도를 말한다. 전타는 장애물을 피해야 하는 급박한 경우 또는 선박의 스피드가 낮아서 조타 능력이 떨어졌을때 주로 사용된다.
포트 텐(PORT TEN)
PORT TEN은 좌현 10도로 타를 돌리라는 의미이다.
포트 투엔티(PORT TWENTY)
PORT TWENTY는 좌현 20도로 타를 돌리라는 의미이다.
스타보드 텐(STBD TEN)
STBD TEN, 우현 10도로 타를 돌리라는 의미이다.
스타보드 투엔티(STBD TWENTY)
STBD TWENTY, 우현 20도로 타를 돌리라는 의미이다.
스테디(STEADY)
STEADY는 정침을 하라는 말로, 타를 써서 선박의 회두를 멈추게 하라는 의미이다. 보통 하드 스타보드 후 밋쉽을 오더 하고, 특정 방위에서 스테디를 지시하면, 조타수는 포트 쪽으로 타를 써서 스타보드로 회두하는 것을 억제한다.
스테디 제로나인제로(STEADY "ZERONINEZERO")
STEADY "ZERO NINE ZERO"는 타를 조절하여 090도에 헤딩을 맞추라는 의미이다.
이지투텐(EASE TO TEN)
EASE TO TEN, 조타수가 타를 20도~30도로 크게 쓰고 있을 때, 이지투텐이라고 지시하면, 조타수가 타를 10도로 낮춰서 선박이 천천히 회두하도록 한다. 현장에서는 거의 쓰지 않는 조타 명령이다.
낫씽투포트(NOTHING TO PORT)
NOTHING TO PORT, 현재의 헤딩에서 왼쪽으로 배가 가지 않도록 조타에 신경 쓰라는 의미이다. 보통 좌현에 저수심 지역이나 장애물이 있는 경우에 이런 조타 명령을 한다.
노몰스테디텔미
LET ME KNOW NO MORE STEADY, NO MORE STEADY TELL ME, 타를 써서 현재의 헤딩을 고정할 수 없을 때 보고하라는 의미이며, 부두에 입항 시 저속 운항을 해야할때 또는 엔진을 끄고 천천히 움직이면서 주로 쓰는 조타 명령이다.
스테디에즈쉬고즈
STEADY AS SHE GOES, 선박이 회두하고 있을 때, 이 조타 명령을 받은 순간의 헤딩으로 맞추라는 의미이다. 실제로 현장에서는 거의 쓰지 않는 조타 명령이다.
엔에프유(NFU)
NON FOLLOW UP은 선교의 핸들을 돌리면 타기실의 스티어링 기어가 FOLLOW UP 하여 지정된 값을 맞춰준다. 그런데 타기에 고장이 났을 경우, NFU 모드를 작동시켜 유압을 좌우로 조금씩 밀어서 원하는 각도로 러더를 돌려줘야 한다.
NON FOLLOW UP 모드에서는 러더를 좌현 10도로 세팅하기 위해, 왼쪽으로 조금씩 돌렸다가 멈추기를 반복한다. 만약 NFU 스위치를 가운데로 돌리지 않고 계속 왼쪽으로 향하게 두면 러더가 하드 포트까지 완전히 돌아가 버리기 때문이다.
NFU 모드 마저 작동이 불가능하다면, AUTO PILOT SYSTEM 고장으로 판단하고, 타기실에 가서 현장에서 러더를 직접 돌리는 비상조타를 해야 한다. 운항 중에 가능하면 사용할 일이 없는 것이 제일 좋지만, 만일의 사고에 대비하여 항해사나 조타수는 작동방법에 친숙화 되어 있어야 한다.

10. 선박의 엔진사용(ENGINE TELEGRAPH) 관련 용어
선박의 엔진은 자동차처럼 엑셀만 밟으면 스피드가 올라가고 브레이크를 밟으면 멈추지 않는다. 아래 사진처럼 회전수에 따라 4단계로 나뉘며, 선박의 종류와 특성에 따라 다양한 출력의 엔진을 사용한다. 그러므로 선박의 엔진 사용 관련 용어들은 어떤 것들이 있는지 살펴보자.
알피엠(RPM)
REVOLUTIONS PER MINUTE, 분당 회전수를 말하며, 엔진의 성능에 따라 1분당 프로펠러가 몇 바퀴를 회전하는지를 뜻한다. 그리고 선박의 엔진 출력과 프로펠러의 크기에 따라 1회전당 스피드가 다르다. 일반적인 중대형 선박의 경우 1 알피엠당 0.2~0.3노트의 속도로 계산할 수 있다.
프로펠러(PROPELLER)
PROPELLER는 선풍기의 회전 날개처럼 생겼으며, 선박을 앞뒤로 움질일 수 있도록 오른쪽 또는 왼쪽으로 돌아가는 것을 말한다. 프로펠러의 종류에 따라 다르지만, 날개(BLADE)가 5개~6개로 구성되며, 대형선의 경우 날개 하나의 길이가 4미터 이상인 경우도 많다.
프로펠러샤프트(PROPELLER SHAFT)
PROPELLER SHAFT는 프로펠러를 회전시키는 동력원(엔진)과 연결된 긴 축을 말한다. 선박에 따라 다르지만 30미터 이상인 경우도 많고, 기관실 바닥층에 가면 회전하는 커다랗고 긴 샤프트를 볼 수 있다.
스탠바이엔진(S.B.E)
STAND-BY ENGINE, SBE, 엔진을 자유자재로 사용할 수 있는 상태를 말하며, 기관사들이 엔진 사용에 만반의 대비를 하고 있음을 의미한다. 보통 입항 전 엔진 알피엠을 메뉴버링으로 낮춰야 하는 시점과 출항시 엔진을 사용할 준비가 완료된 시점을 말한다.
피니쉬엔진(F.W.E)
FINISH WITH ENGINE, 입항, 드리프팅, 또는 투묘가 완료되어 더 이상 엔진을 사용하지 않아도 되는 상황을 의미하며, 선장이 기관실에 엔진 피니쉬를 알려주면 기관장이 엔진을 F.W.E 모드로 변경한다. 이 상태에서는 아무리 엔진을 사용하고 싶어도 엔진을 쓸 수가 없다.
스톱엔진(STOP ENGINE)
STOP ENGINE, 엔진을 멈추라는 의미이며, RPM을 0으로 만들라는 엔진 명령이다.
엔진텔레그라프(ENGINE TELEGRAPH)
ENGINE TELEGRAPH는 엔진을 작동시키는 조작 버튼을 말한다. 자동차처럼 액셀을 밟으면 속도가 점점 더 올라가는 것이 아니라, 엔진 샤프트에 특정 RPM(분당 회전수)을 지정하여 4개의 단계로 분리시켜 놓았고 한 단계씩 올리고 내릴 수 있는 형태로 만들어졌다.
DEAD SLOW, SLOW, HALF, FULL(극미속, 미속, 반속, 전속)이며, RPM은 선박마다 상이하고, 엔진의 출력에 따라 스피드도 다르므로, 선박에 승선하면 엔진의 RPM별 속도를 기억해 두어야 한다.
데드슬로우어헤드(D/AH)
DEAD SLOW AHEAD, 극미속전진, 지정된 RPM 중 가장 낮은 1단계를 의미한다.(예>RPM 30~35)
슬로우어헤드(S/AH)
SLOW AHEAD, 미속전진, 지정된 RPM 중 2단계를 의미한다.(예>RPM 40~45)
하프어헤드(H/AH)
HALF AHEAD, 반속전진, 지정된 RPM 중 3단계를 의미한다.(예>PRM 55~60)
풀어헤드(F/AH)
FULL AHEAD, 전속전진, 지정된 RPM 중 최고 높은 단계를 의미한다.(예>PRM 65~72)
네비게이션풀어헤드(N/F)
NAVIGATION FULL AHEAD, 항해전속전진, 선박마다 다르지만, 최적으로 운항 할 수 있는 조건의 고정된 RPM(ECONOMIC RPM)으로 항해를 계속하는 것을 말한다.(예>RPM86~100)
데드슬로우어스턴(D/AS)
DEAD SLOW ASTERN , 극미속후진, 지정된 RPM중 1단계를 말한다.
슬로우어스턴(S/AS)
SLOW ASTERN, 미속후진, 지정된 RPM중 2단계를 말한다.
하프어스턴(H/AS)
HALF ASTERN, 반속후진, 지정된 RPM중 3단계를 말한다.
풀어스턴(F/AS)
FULL ASTERN, 전속후진, 지정된 RPM중 최고 단계이며, 일반적인 상황에서 거의 사용하지 않으며, 충돌이 임박했을 경우 사용한다.
슬로우다운(S/D)
SLOW DOWN, 엔진이 보통 컴퓨터로 프로그래밍 되어 있는데, 특정 조건을 만족하지 못하는 경우 엔진의 과열과 손상을 막기 위해 슬로우 다운을 발생시킨다. 이때 엔진 알피엠이 N/F에서 SLOW AHEAD까지 저하되거나, 상황에 따라 엔진을 멈추고 점검을 해야 하는 상황이 발생 할 수 있다.
이머전시스탑(EMERGENCY STOP)
EMERGENCY STOP, 긴급정지는 비상상황시 엔진을 멈추는 것을 말한다. 선박의 발전기가 블랙아웃되어 선박의 모든것이 멈출수도 있고, 선박이 전속전진을 하고 있는 경우, 엔진텔레그라프를 스톱에 위치시켜서 엔진을 긴급 정지 시킨다.
그러나 엔진을 정지하더라도 프로펠러가 멈출 때 까지 상당한 시간(10분이상, 정지거리 2마일가량)이 소요된다. 하지만, 긴급한 경우 피해를 최소화 하기 위해서 엔진을 스톱시켜야 한다. 그리고 엔진 알피엠이 일정범위 이하로 떨어져야만 엔진역전(어스턴)이 작동되기 때문이다.
크래쉬어스턴(CRASH ASTERN)
CRASH ASTERN, 크래쉬어스턴은 충돌을 피하거나 충돌의 피해를 최소화하기 위해 사용하는 엔진 명령이다. 선박은 자동차처럼 브레이크가 없기 때문에 빠르게 멈출 수 있는 방법은 엔진을 끄고, 후진 엔진을 사용하는 것뿐이다.
그런데 빠르게 전진하던 선박이 엔진을 멈추더라도 프로펠러가 멈출 때까지 일정 시간(선박에 따라 다르지만, 보통 10분이상, 이동거리 2마일 가량)을 기다려야 한다.
크래쉬어스턴의절차
네비게이션풀어헤드로 빠르게 항주 하던 선박에서 엔진 텔레그라프를 풀 어스턴으로 위치시키면, 크래쉬 어스턴이 작동되어 엔진이 꺼지고, 빠르게 돌아가던 프로펠러가 서서히 멈추게 된다.
RPM이 15~20 정도까지 내려갔을 때, 후진 엔진이 작동하여 프로펠러를 역회전 시키기 시작하고, 선박의 전진 속도가 빠르게 떨어져 결국 멈추게 된다. 대양에서 선박의 충돌이나 암초 또는 저수심에 들어가게 될 때 사용해야 하며, 협수로에서 조타기의 고장 시에도 선속을 줄이기 위해 사용한다.
렁업(R/UP)
RUNG UP, RUNG UP ENGINE, 렁업엔진, 렁업은 가변적인 알피엠 조정을 종료하고 이제부터 고속으로(정속)으로 주행을 하겠으니, 기관실 기관사들의 유인 당직 체계를 해제해도 된다는 것을 뜻하므로, 기관사들이 가장 좋아하는 엔진 명령이 아닐까 생각한다.
자동차에 비유하면 이제 고속도로에 들어섰으니, 크루즈모드로 전환하겠다는 의미라고 생각하면 되겠다. 만약 선장이 렁업을 명령하지 않으면, 기관사들은 계속 기관실에 대기하며 언제 엔진 PRM을 낮출지 몰라서 긴장하며 메인 엔진과 보조기기의 상태를 모니터링 해야 하기 때문이다.
렁업은 안전하게 출항 작업을 마치고 대양에 나가서 더이상 RPM을 내리거나 조절할 필요가 없을때 선장은 기관실에 렁업을 명하고, 렁업 시간을 알려준다. 렁업이란 엔진명령이 끝났음을 의미하며, 렁업후에 다시 RPM을 슬로우나 하프 등의 매뉴버링 단계로 내려야 하는 경우, 엔진 스탠바이 (S.B.E)를 해야하고, 기관사들이 정상적으로 엔진을 사용할 수 있도록 준비하는데 통상 30여분의 여유 시간이 필요하다.
그러나 긴급상황에서는 엔진에 손상이 발생하더라도 바로 크래쉬어스턴까지 써야 한다. 이 렁업의 유래를 반추하자면, 타이타닉 처럼 증기선이나 오래된 선박 또는 해군 함정 관련 영화에서, 텔레그라프로 엔진 명령을 주면 기관실에 벨이 심하게 울리는 것을 기억할 수 있을 것이다.
그래서 아마도 렁업 명령을 하게 되면, 기관실에서 기관사나 부원들에게 이제 마지막 엔진 오더를 알리는 종을 여러번 크게 울린 것에서 전해져 내려온 것이 아닌가 생각해본다. 과거 선교의 오래된 엔진 텔레그라프에는 기관실에 종을 울릴 수 있는 시스템이 탑재되어 있었고, 렁업 상황에서 선교에서 기관실로 여러 번의 종을 울려서 렁업임을 알렸다고도 한다. 자세히 아시는 분은 댓글 부탁 드립니다^^
엔진로그프린터(ENGINE LOG PRINTER)
ENGINE LOG PRINTER, 엔진의 알피엠 변화 시 시간과 RPM을 자동으로 기록하고 인쇄하는 장치이며, 사고 발생 시 엔진의 사용을 확인할 수 있는 자료이다. 엔진로그프린터가 설치된 선박에서는 벨북의 엔진사용 시간 기록을 누락했을 때, 찾아볼 수 있는 2차 기록 장치라고 할 수 있겠다.
바우쓰러스터(B.TH)
BOW THRUSTER는 선박의 선수에 설치되어 , 회전 날개의 각도를 바꾸어 선박의 선수가 좌우로 이동 할 수 있도록 해주는 장치이다. 바우 쓰러스터가 있는 선박은 입항/출항 시에 선수에 터그 보트를 잡지 않고도 접안, 이안 작업이 가능하다.
바우쓰러스터 명령어
BOW THRUSTER ORDER는 슬로우투포트, 하프투포트, 풀투포트, 스톱바우, 슬로우투스타보드, 하프투스타보드, 풀투스타보드로 명령하는데, 조타(휠) 명령과 혼선이 생길 수 있어서 주의하여 들어야 한다.
그래서 일부 선박에서는 각도로 오더를 하기도 하고, 50% 투 스타보드, 100% 투 스타보드 이런 식으로 출력의 퍼센트로 오더를 하기도 하고, 명령하지 않고 선장이나 도선사가 직접 조정하는 경우도 많다.
11. 선박의 입출항(ARR, BERTHING / DEP, UNBERTHING) 관련 용어
선박의 입항과 출항에 관련된 약어나 용어들은 선박 생활을 경험하지 않은 사람들에게는 매우 낯설기에 자주 사용하는 용어들에 대해서 먼저 살펴보자.
어라이벌(ARR)
ARRIVAL, BERTHING, 어라이벌, 벌씽, 접안이라고 말하며, ARRIVAL은 도착의 의미를 통칭하고, BERTHING은 부두에 선박을 고정시키는 행위를 의미한다.
어롱사이드(ALONGSIDE)
ALONGSIDE는 선박의 입항하는 현측을 말하며, 좌현접안은 PORT SIDE ALONGSIDE, 우현접안은 STBD SIDE ALONGSIDE라고 표현한다. 통상 입항하는 항만의 대리점 측에서 선박으로 스케줄을 통보해 줄 때, 좌현 접안인지, 우현 접안인지 통보해 준다. 그에 따라 선수 요원 및 선미 요원은 미리 계류색(MOORING ROPE)와 TUG LINE을 잡을 준비를 한다.
이티에이(ETA)
ESTIMATED TIME OF ARRIVAL, 파일럿 스테이션(도선점)에 도착 예정 시간을 말한다.
이티비(ETB)
ESTIMATED TIME OF BERTH, 부두에 접안 예정 시간을 말한다. ETB가 중요한 이유는 부두가 혼잡하여 도착일(ETA)보다 며칠 늦게 부두에 접안하는 경우도 더러 있기 때문이다.
이티씨(ETC)
ESTIMATED TIME OF COMMENCE, 부두의 하역작업시작시간을 말한다. ETC를 알려주는 이유는 부두에 접안 하더라도 야간이나 휴일의 경우 바로 하역 작업을 시작하지 않을 수도 있기 때문이다. 터미널의 스케줄표를 보면, ETB(접안시간)가 00시라도 06시부터 스케줄표에 표시하는데, 터미널에서는 작업시작 시간을 더 중요하게 여기기 때문이다.
또 다른 의미로는 ESTIMATED TIME OF COMPLETE, 부두의 하역작업종료 예정시간을 의미한다. ETB, ETC, ETD가 순서대로 나열된 스케줄 표에서는 예상 작업시작 시간으로 보는 것이 타당하며, ETD와 인접한 시점일 경우에는 하역작업종료 예정시간으로 보는 것이 맞겠다.
이티디(ETD)
ESTIMATED TIME OF DEPARTURE, 출항 예정 시간을 말한다. 작업 종료와 법무부/세관 등에 출항 신고를 하고 출항 도선사 수배를 요청하는데 필요하다. 그리고 부두에서 선박 수리를 하거나 소모품/기부속을 공급해야 하는 경우 출항 예정 시간전에 완료하도록 신경 써야 한다.
디파쳐(DEP)
DEPARTURE, UNBERTHING, 언벌씽, 이안이라고 말하며, DEPARTURE은 출항의 의미를 통칭하고, UNBERTHING은 부두에 묶여 있는 로프를 감아들이고, 부두를 벗어나는 행위를 의미한다.
로그북(LOG BOOK)
LOG BOOK, DECK LOG BOOK은 선박에서 발생되는 모든 이벤트를 기록하는 기록서이며, 시간 순서대로 발생된 모든 이벤트를 수기로 작성하고 당직사관과 선장의 확인과 날인을 한다. 그래서 사고 발생 시 법적 증거자료로 사용되는 매우 중요한 요소이며, 퇴선 시에도 소지하여야 한다.
사고 발생 시 로그북으로 알 수 있는 정보는, 그 당시 기상(파고, 풍향, 풍속, 온도, 기압)의 변화, 선속의 변화, 이동거리, 코스, 변침시간, 콤파스의 자차 편차, 순찰기록, 빌지 및 탱크 사운딩 여부, 각종 교육 및 훈련의 기록, 신규승선자의 승선 및 교육 기록, 주간 및 월간 점검의 기록, 입항 및 출항 전 항통장비 점검 기록 등이다.
만약 실제로 점검을 시행하지 않았더라도, 로그북에 했다고 거짓으로 기록을 했다면, 유사 사고 발생시 면책의 증거로 사용할 수 있을 정도로 중요하므로, 실제 행한 업무의 기록을 누락하지 않도록 신경 써야 한다.
벨북(BELL BOOK)
갑판부의 BELL BOOK은 입항, 출항 시에 엔진의 사용과 발생되는 모든 이벤트의 시간을 기록하는 노트이며, 로그북에 옮겨 적기 전 초안을 작성하는 임시 기록지라고 할 수 있다. 기관부의 벨북은 그야말로 입출항시 엔진의 사용 시간을 기록하는 노트이다.
과거 엔진 텔레그라프 사용 시 벨이 크게 울렸다고 해서, 그 벨이 울린 시간의 기록지로 유래되었다고 볼 수 있다. 현재는 엔진 텔레그라프의 알피엠 변화 시 프린트로 자동 인쇄되고 있어서 따로 기록하지 않아도 되는데도 불구하고, 인쇄 장치의 혹시 모를 고장에 대비하여 엔진 사용 시간을 벨북에 계속 기록하고 있다.
컨디션레포트(CONDITION REPORT)
CONDITION REPORT는 선박이 입항과 출항 시 발생된 이벤트(SBE, ETA, POB, TOOK TUG, 1ST LINE, LAST LINE, ANCHOR DROP, AWEIGH의 시간, CARGO량, DRAFT, BUNKER ROB 시간 등의 정보를 기입하여 대리점에 제출하는 1장 짜리의 서류이다.
이 컨디션레포트의 정보는 대리점에서 부두 사용료나 터그보트, 도선료, 도선선료, 묘박지 사용료 등의 비용을 산정하는데 거증 자료로 사용되기 때문에 오타가 없도록 신경 써서 작성해야 한다.
그리고 BUNKER ROB(잔량)을 적는데, 입항 시점보다 출항 시점에 ROB가 증가했다면 공급(SUPPLY)량도 적어줘야 하는데, 벙커링도 없었는데 벙커 잔량이 눈의 띄게 증가하거나, 눈에 띄게 줄어 있다면, 문제가 될 수 있으므로 신경 써야 하는 부분이다.
파일럿스테이션(P/S)
PILOT STATION, PS, P/STN, 도선점은 도선사가 승선하는 지정된 위치를 말한다. 보통 해도에 표시되어 있고, 기상이 나쁠 때는 도선사가 도선점보다 더 안쪽에서 승선하기도 한다.
피오비(POB)
PILOT ONBOARD, 파일럿이 승선했다는 것을 말하며, 벨북, 로그북, 컨디션레포트에 도선사 승선 시간을 기록한다.
파일럿레프트헐(PLH)
PILOT LEFT HER의 약어로, 도선사가 하선 했다는 것을 의미하며, PLH (PILOT AWAY) 시간을 기록한다.
터그보트(TUG BOAT)
터그보트는 예인선을 말하며, 항만 터그의 경우 선박이 부두에 접안할 때, 부두와 평행하게 균형을 맞추거나 일정한 힘을 줘서 부두와 가까워 지거나, 멀어지도록 배를 밀고 당기는 역할을 하는 보조 선박으로, 도선사나 선장의 명령에 따라 작업을 수행한다.
오션 터그는 멀리 먼바다에서 선박의 엔진 고장 등으로 항해가 불가능한 경우 선박을 부두나 앵카리지 또는 조선소로 끌고 오는 예인선을 말하며, 항만 터그에 비해 엔진 출력이 매우 높다.
툭터그(TOOK TUG)
TOOK TUG, 터그를 잡았다는 의미이며, 3 항사는 BELL BOOK, LOG BOOK, CONDITION REPORT에 예인선을 잡은 시간을 기록해야 한다.
비트/볼라드(BITT, BOLLARD)
BITT, BOLLARD는 다른 선박이나 터그 보트의 연결줄을 선박에 고정시키는 구조물이다. 2개의 비트로 된 것도 있고, 1개의 볼라드로 이루어 진 것도 있다. 그리고 비트와 볼라드에는 SWL(SAFETY WORKING LOAD)라고 안전작업하중이 일반적으로 40톤~80톤 사이로 마킹되어 있다.
터그보트를 잡을때 도선사가 본선 비트/볼라드의 SWL이 얼마냐고 물어보면, 마킹된 값을 알려주면, 터그라인의 당기는 힘을 조절할 수 있다. 만약 본선 비트/볼라드의 SWL이 낮은데 불구하고, 터그보트에서 더 강한 힘으로 당기면, 비트/볼라드가 손상을 입거나 터그라인이 선박을 제대로 고정하지 못하여 입/출항시 사고로 이어질 수도 있다.
펄스트라인(FIRST LINE)
펄스트라인, FIRST LINE, 1ST LINE TO PIER, 첫 줄은 선박에서 부두로 첫 줄을 내어주고 잡은 시간을 의미하며, 첫줄은 그야말로 정식 입항을 뜻한다. 그래서 몇시에 입항했냐고 물어보면, 첫줄을 잡은 시각을 대답한다.
그리고 AB-LOG나 모든 서류에서 FIRST LINE 시간의 의미는 매우 중요한데, 입항 시 입항 스탠바이(SBE)를 누른 후부터 항해 거리나, 연료 소모량이 카운팅 되는데, 스탠바이 시간을 종료하는 것이 FIRST LINE 시간인 것이다.
라스트라인(LAST LINE)
LAST LINE, CAST OFF LAST LINE, 마지막 줄이라는 뜻이며, 출항 시 선박에서 내어준 로프를 감아들이는데, 마지막 호사 로프가 부두에서 벗겨진 시점을 말하며, 출항 스탠바이 시간을 카운팅 하는 시발점이 된다. 라스트라인 시점부터 렁업 시점까지의 거리나 연료 소모량은 출항 스탠바이로 구분 지어 기록하게 된다.
피니쉬엔진(F.W.E)
FINISH WITH ENGINE, 접안 작업 완료 후 엔진 사용 종료 시점을 의미한다.
히빙(HEAVING)
HEAVING, 호사 로프를 감아 들이라는 의미이다.
슬랙(SLACK)
SLACK, 호사로프를 천천히 풀어주라는 의미이다.
로프드럼(ROPE DRUM)
ROPE DRUM, STORAGE DRUM, 호사 로프가 감겨있는 무어링윈치의 드럼중, 호사로프가 많이 감겨 있고 장력이 걸리지 않은 부분을 말한다.
텐션드럼(TENSION DRUM)
TENSION DRUM, 호사 로프가 감겨있는 무어링 윈치의 드럼 중, 장력이 심하게 걸려있는 부분을 말하며, 텐션 드럼으로 호사로프의 마지막을 넘기지 않고, 로프드럼(스토리지드럼)에 장력이 걸리면, 스토리지 드럼에 힘없이 감겨있는 호사로프의 틈 사이 사이로 로프가 끼이게 되고, JAM이 되어 SLACK 하여도 반대방향으로 감기는 현상이 발생하여 긴급히 호사 로프를 절단해야 하는 상황을 초래할 수 있다.
텐션드럼의 목적은 호사로프의 끼임현상 방지이다. 그런데 호사로프를 감아들이는 중 텐션드럼으로 호사로프를 넘겨줘야 하는 시점에서, 로프를 사리는 작업자와 무어링 윈치를 컨트롤하는 작업자 간의 의사소통 실패로 작업자의 팔이 텐션 드럼에 같이 빨려 들어가서 큰 부상을 입는 사고가 빈번하게 발생하므로, 작업 전 툴박스 미팅과 위험예지훈련을 꾸준히 시행하여야 한다.
랫가드(RAT GUARD)
RAT GUARD는 부두와 연결된 호사 로프를 타고 쥐가 올라오는 것을 방지하는 도구이다. RAT GUARD를 설치하지 않아서 검역관이나 PSCO로 부터 지적 받을 수 있으니, 접안 작업 종료 후 필히 설치하도록 한다.
호사로프(HAWSER ROPE)
HAWSER ROPE는 선박을 부두나 안벽에 고정시킬 때 사용하는 두꺼운 로프를 말하며, 선박의 사이즈에 따라 로프의 굵기가 달라진다. 통상 50mm~70mm의 호사 로프를 사용하고 있다.
너무 두꺼운 로프는 선원이 컨트롤 하기 매우 어렵기 때문에 이 정도 굵기의 호사로프를 사용한다. 그리고 대형 탱커선이나 대형 벌크선은 접안 시 호사 로프보다 SWL(SAFETY WORKING LOAD)가 강한 와이어로프를 사용하기도 한다.
라인맨(LINE MAN)
LINE MAN은 선박으로부터 줄을 잡아당겨 부두의 비트나 볼라드에 거는 역할을 하는 사람을 말한다. 부두에 따라 많은 인력이 배치되기도 하고, 트럭이나 지게차를 이용하여 인력을 최소화 하기도 한다.
메신저로프(MESSENGER ROPE)
MESSENGER ROPE는 라인맨들이 50mm 이상의 굵은 호사 로프를 해상에서 부두 위로 쉽게 잡아당기기 위한 10mm 내외의 얇은 로프로 2~3미터 정도 길이로 준비한다.
히빙라인(HEAVING LINE)
HEAVING LINE은 선박에서 부두로 50mm 이상의 굵은 호사 로프를 직접 보내줄 수 없기 때문에, 얇은 로프(5~10mm)에 추를 달아 원심력을 이용하여 육지로 던지는데 사용되며, 그 끝은 선박의 메신저 로프에 연결한다.
육상에서 히빙라인을 잡아당겨 메신저로프를 잡고 인력이나 장비를 활용하여 두꺼운 호사로프를 끌어올려 부두의 볼라드에 걸어 선박을 부두에 고정시키는 시스템이다.
히빙라인헤드(HEAVING LINE HEAD)
HEAVING LINE HEAD는 히빙라인을 부두나 다른 선박으로 멀리 던질 수 있는 원심력을 얻도록 만들어진 무게추라고 생각하면 되겠다. 그런데 이 무게추인 히빙라인헤드가 쇳덩어리이라면 자칫 사람이 맞거나 해서 치명상을 입을 수도 있다.
그래서 적당한 무게와 러버로 감싸진 형태의 히빙라인헤드가 보급되고 있다. 하지만 히빙라인을 던질 때, 부두 근처에 라인맨이 몰려 있거나, 호사로프를 끌어올리는 트럭이 대기하고 있다면, 최대한 방향조절을 잘 해서 던지도록 교육시켜야 한다. 간혹 라인맨의 트럭에 정확히 적중시켜서, 트럭 전면 유리를 완전히 박살내는 일도 종종 발생한다.
헤드라인(HEAD LINE)
HEAD LINE은 선박의 선수에서 앞쪽으로 내보낸 호사 로프이며, 선박이 뒤로 이동하는 것을 방지한다.
선수스프링라인(SPRING LINE)
SPRING LINE은 선박의 선수에서 선미 방향으로 내보낸 호사 로프이며, 선박이 앞으로 이동하는 것을 방지한다. 선수 스피링 라인을 내어줄 때 바우쓰러스터에 감기는 사고가 발생하지 않도록 신경 써야 한다.
브레스트라인(BREAST LINE)
BREAST LINE은 선박에서 부두측 직각 방향으로 내보낸 호사 로프이며, 선박이 부두 반대쪽으로 이동하는 것을 방지한다.
스턴라인(STERN LINE)
STERN LINE은 선박의 선미에서 뒤쪽으로 내보낸 호사 로프이며, 선박이 앞쪽으로 이동하는 것을 방지한다. 스턴라인은 엔진 사용 시 프로펠러에 감겨 사고의 우려가 있으므로, 입/출항시 선교와 커뮤니케이션이 매우 중요하다.
씨아이큐(CIQ)
CUSTOMS, IMMIGRATION, QUARANTINE, 세관, 출입국 법무부, 검역 3가지를 통틀어 C.I.Q라고 하며, 선박이 항만에 입항하게 되면, 세관 수속에 필요한 서류와, 출입국에 제출할 서류와, 검역에 필요한 서류들을 준비하여 대리점을 통하거나, 승선 입항 수속 절차를 밟게 된다.
커스텀(CUSTOMS)
CUSTOMS, 세관을 말하며, 입항 시 모든 선박에 승선하여 세관업무를 보지는 않는다. 만약 세관에서 승선 검사를 하게 되면, 마약탐지견과 대동하여 밀수품, 무기 소지 여부와 마약을 찾는 행위를 하게 된다. 세관에 지적받지 않도록 선원들의 면세품(술, 담배)에 대해서 입항 전 BOND STORE에 SEAL 하여 관리를 하면 되겠다.
쿼런틴(Q'TINE)
QUARANTINE, 검역을 말하며, 선내 위생과 선원들의 건강상태를 점검하는 것을 말한다. 쿼런틴의 유래는 과거 황열이 매우 심각한 전염병 이었을 시절, 외국에서 들어오는 선박을 40일간 대기하도록 하였고, 그 당시 선박에 황열 환자가 있음을 YELLOW FLAG를 게양함으로써 표시하였는데서 유래되었다.
보통 무선 검역으로 대체하는 항만이 많지만, 중국처럼 승선 검역을 까다롭게 하는 나라도 더러 있다. 보통 선박의 식당이나 주방, 냉장고에 바퀴벌레나 쥐가 없는지 위생상태를 점검하고, 의약품의 재고나 유효기간을 확인하며, 선원들을 일일이 대면하여 체온과 건강 상태를 점검하게 된다.
후진국의 경우 황열이나 콜레라 등의 예방접종 이력까지 확인하며, 접종을 명령하기도 한다. 검역이 끝날 때까지 지정된 Q 플래그(Q FLAG)를 게양하거나, 야간에는 검역등(국가에 따라 다르지만, 홍등1개 또는 홍등3개)을 켜 두어야 한다.
인도네시아와 같은 후진국에서는 실수로 Q FLAG를 게양하지 않았다고, 과도한 담배를 요구하거나, 벌금/금품을 요구 받은 적도 있으니 주의해야 한다.
이미그레이션(IMM)
IMMIGRATION, 출입국, 법무부를 의미하며, 선박에 신고되지 않은 밀항자가 없는지 또는 입국한 선원의 여권이 진짜인지 인물 대조를 하기 위해 출입국관리소 직원들이 승선하여 검사를 진행한다. 자주 정기적으로 기항하는 선박에는 거의 방선하지 않지만, 처음 기항하는 선박에는 대부분 법무부 인물 심사가 이루어진다.
알피엠(RPM)
RADIO PRATIQUE MESSAGE, 무전검역메시지라하며, 과거 위성인터넷과 이메일이 보급되기 전, 선박에서는 입항검역신청서 제출을 통신장이 모스부호를 이용한 무전을 쳐서 할 수 밖에 없었고, 그 전통이 아직 까지 남아 있어 입항을 위해 입항지의 대리점에 RPM을 이메일로 송부하고 있다.
RPM의 양식은 나라마다 다양하며, 현지 대리점에서 샘플을 제공받아 빈칸을 채워서 보낸다. RPM의 주요 내용은 선박에 전염병 환자가 없음을 보고하는 것이며, 위생관리(면제)증서의 유효성 여부, 선박의 전 출항지와 출항 일자, 1개월간 입항했던 나라의 정보, 선원의 인원, 여객의 유무, 환자유무, 시신유무, 선장의 이름 등이다.
그리고 VOYAGE MEMO, IMO CREW LIST, SHIP'S PARTICULARS, BALLAST WATER REPORTING FORM, SHIP STORE LIST, QUARANTINE FORM, DG LIST, NIL LIST, CREW EFFECT, MDH(MARITIME DECLARATION FOR HEALTH) 의 양식들을 작성하여 현지 대리점에 보내주어야 한다.
이렇게 많은 서류를 예전에는 어떻게 모스 부호로 작성할 수 있었을까? 그래서 그 당시엔 통신장 또는 국장 이라는 사람이 매우 중요한 존재였을 것으로 추측된다.
12. 선박의 평형수(BALLAST) 관련 용어
선박은 복원성(STABILITY)을 유지하기 위해 평형수(BALLAST, 발라스트)를 싣는다. 그리고 평형수 관련 협약에 따라 평형수의 미생물을 전기분해 또는 약품처리하여 내보내게 되는데, 실무에서는 평형수 관련하여 어떤 용어들이 사용되는지 살펴 보자.
발라스트(BALLAST)
BALLAST, 평형수를 말하며, 쉽게 말하면 선박을 가볍게 하거나 무겁게 하고, 왼쪽, 오른쪽으로 기울게 만드는 물이다. 바다에서의 발라스트는 해수이고, 강에서의 발라스트는 청수이다.
청수(F/W)
FRESH WATER, 청수는 담수라고도 하며, 염분이 물을 말하며, 비중계로 1.0 이내인 물을 말한다.
해수(S/W)
SEA WATER, 해수는 바닷물이며, 염분을 가진 물을 말하며, 비중계로 통상 1.025 정도의 물이다.
발라스트탱크(BT)
발라스트탱크는 발라스트를 보관하는 밀폐된 구획이며, 이중저 탱크와 사이드 탱크로 구분된다.
더블유비티(WBT)
WATER BALLAST TANK, 워터 발라스트 탱크, 발라스트 탱크라고 하며, 발라스트(평형수)를 보관하는 밀폐된 공간을 말한다.
디비티(DBT)
DOUBLE BOTTOM TANK, 더블바탐탱크, 이중저 탱크, 더블바탐이라고 하며, 선박의 바닥에 구멍이 뚫려도 쉽게 가라앉지 않게 하기 위해 바닥이 이중인 구조로 설계되어 있는데, 선체의 바닥이 이중으로 된 밀폐된 빈 공간을 물을 보관하는 발라스트 탱크로 활용한다.
화물창의 바닥에서 각각의 디비티로 내려갈 수 있는 맨홀이 앞 뒤로 2개씩 설치되어 있다. 디비티는 오뚝이의 제일 아래에 무게추로, 모래, 물 등을 넣어서 쓰러지지 않게 하는 역할을 하며, 화물을 많이 싣기 위해서는 디비티의 발라스트를 빼내야 한다.
그런데 디비티의 발라스트를 과도하게 배출하면, 오뚝이처럼 기울어졌다가 다시 되돌아오지 못하여 전복 또는 침몰할 수도 있으므로, 일항사와 선장은 STABILITY를 계산하여 적정한 GM을 유지하여 감항성을 확보하여야 한다.
윙탱크(WING TANK)
WING TANK, WING BALLAST TANK, SIDE WATER BALLAST TANK, TOP SIDE WATER BALLAST TANK, 윙발라스트탱크, 사이드워터발라스트탱크, 톱사이드탱크, 톱사이드워터발라스트탱크 라고 불리며, 선체의 좌 우측 끝에 위치한 평형수를 보관하기 위한 밀폐된 구획을 말한다.
윙탱크가 만들어진 이유는 디비티 만으로 선박의 중심을 잡기 어렵기 때문에 추가적인 발라스트탱크가 필요하였고, 최대한 화물을 많이 실을 수 있도록 하면서, 선박이 가라앉지 않고, 평형을 유지하여 안전하게 항해할 수 있도록 계산되어 설계되었다.
통상적으로 윙탱크, 사이드발라스트탱크는 선박의 무게를 증가시켜서 더 깊게 가라앉히거나, 선박의 좌우 균형을 맞추는데 주로 사용된다.
힐링탱크(HEELING TANK)
HEELING TANK, 힐링이란 선박의 좌우 균형을 말하며, 화물이 한쪽으로 치우치게 실려서 선박이 기울어져 있을 때, 바로잡기 위해 평형수를 이용한다. 이때 이중저 탱크에 발라스트를 넣어서 조절하는 것보다는 상대적으로 가장 상부의 바깥쪽에 위치한 발라스트탱크를 이용하는 것이 효율적이다.
그래서 윙탱크로 힐링을 조절하는데, 특정한 윙탱크를 힐링 조절용 탱크로 지정하여 사용한다. 그리고 힐링 탱크에는 독립적인 펌프가 설치되어 있는 곳도 있어서 자동으로 힐링을 잡아주는 시스템(AUTO HEELING SYSTEM, ANTI HEELING SYSTEM)이 탑재된 선박도 많다.
맨홀(MANHOLE)
MANHOLE은 하수도의 맨홀 뚜껑처럼 발라스트탱크 점검을 위한 출입문이다. 발라스트탱크의 맨홀이 100% 잠겨있지 않다면, 발라스트가 새어 나와 화물창을 침수 시키거나, 과도한 힐링으로 선박을 기울게 만들거나, 선체의 무게를 증가시켜서 상황에 따라 침몰할 수도 있다.
맨홀은 항상 닫혀있어야 하며, 발라스트 탱크 점검 후 맨홀을 닫을 때에는 러버 패킹(RUBBER PACKING) 또는 가스켓(GASKET)을 반드시 새것으로 교체해 주어야 한다.
바텀플러그(B/P)
BOTTOM PLUG는 욕조의 물빠짐 마개와 같다. 평상시에는 쓸 일이 거의 없다. 선박이 점검이나 수리를 위해 드라이도크나 플로팅 도크에 올라갔을 때, 선박의 모든 발라스트를 배출할 때, 스트리핑이나 디발라스팅으로도 배출할 수 없는 발라스트를 배출하는데 사용된다.
항해중에 바텀플러그가 제대로 닫히지 않아 물이 들어온다면, 해당 발라스트탱크는 항상 가득차 있을 수 밖에 없고, 그 양만큼 화물을 적게 실어야 하므로 엄청난 손실이 아닐 수 없다. 그러므로 드라이 도크에서 바텀플러그를 잠글때 철저히 감독해야 하며, AIR TEST를 실시하여 상태를 보증 받아야 한다.
벨마우스(BELL MOUTH)
BELL MOUTH는 발라스트 탱크에 물을 넣기도 하고 빼기도 하는 수도 꼭지의 끝부분 이라고 보면 되겠다. 발라스트 파이프에서 끝이 종모양으로 넓게 퍼져있어서 벨마우스라고 하며, 발라스트를 배출할 때 한번에 더 많은 양을 흡입하기 위해 끝이 넓게 설계되었다.
발라스트펌프(BALLAST PUMP)
BALLAST PUMP는 고성능 원심펌프를 말하며, 파이프라인 조작으로 발라스트를 넣거나 뺄수 있는 펌프이다. 선박의 사이즈에 따라 펌프의 용량도 달라진다. 보통 총톤수 3만톤 이내의 컨테이너 선박은 시간당 500톤 이상의 용량을 가진 발라스트 펌프를 2대 이상 탑재하고 있다.
발라스팅(BALLASTING)
BALLASTING은 발라스트 탱크에 해수나 청수를 주입하는 작업을 말한다.
디발라스팅(DEBALLASTING)
DEBALLASTING은 발라스트를 배출하는 작업을 말하며, 디스차징(DISCHARGING) 이라고도 한다.
스트리핑(STRIPPING)
STRIPPING은 디발라스팅으로 더 이상 배출하기 어려운 잔수를 G/S PUMP나 스트리핑 라인 또는 EDUCTOR를 이용하여 진공을 잡아 빌지를 배출하듯 끝까지 퍼내는 작업을 말한다. 통상적으로 벌크선은 발라스트를 뺀 만큼 화물을 더 실을 수 있기 때문에, 스트리핑 여부에 따라서 화물의 선적량이 결정된다.
발라스트메인파이프(BALLAST MAIN PIPE)
BALLAST MAIN PIPE는 발라스트를 주입하거나 배출하는 메인 파이프를 말하며, 선박의 구조에 따라 PIPE DUCT를 지날 수도 있고, 모든 발라스트 탱크를 관통 할 수도 있다.
만약 발라스트 메인파이프에 구멍이 발생하면, 에어가 먼저 빨려서 디발라스팅을 할 수 없고, 주입시 파이프덕트가 침수되거나, 특정 발라스트 탱크가 넘치게 될 수 있음을 일항사는 기억해 두어야 한다.
발라스트탱크밸브(BALLAST TANK VALVE)
BALLAST TANK VALVE는 각각의 발라스트탱크에 연결된 파이프에 설치된 밸브이며, 수도꼭지의 손잡이 부분이라 생각하면 되겠다. 주로 유압이나 에어 형태이며, 비씨알(B.C.R)에서 REMOTE SWITCH로 당직 항해사나 일항사에 의해 조작된다. 밸브가 정상 작동하지 않으면, 제대로 발라스트나 디발라스트를 할 수 없고, 현장에 가서 수동으로 조작해야 한다.
비씨알(BCR)
BALLAST CONTROL ROOM, 발라스트컨트롤룸, 비씨알은 발라스트를 주입하거나 배출하는 업무를 하는 사무실이며, 유압이나 에어로 된 로컬밸브를 리모트 스위치를 통해 열고 닫을 수 있는 시스템이 설치되어 있다. 그리고 각 발라스트 탱크별로 게이지가 표시되어 현재의 발라스트 양을 한눈에 알게 해준다.
발라스트탱크레벨게이지(BALLAST TANK LEVEL GAUGE)
BALLAST TANK LEVEL GAUGE는 각 발라스트탱크마다 설치되어 있으며, 에어퍼지 시스템이나 디지탈 압력 시스템을 통해 현재 탱크의 양을 알 수 있도록 해준다. 그런데 탱크레벨게이지가 100% 정확하지 않으므로 주기적으로 실측(사운딩, SOUNDING)을 해서 오차를 확인해야 한다. 그리고 레벨게이지가 고장난 곳도 있을 수 있으므로 탱크레벨게이지를 맹신해서는 안된다.
에어벤트(AIR VENT)
AIR VENT는 발라스트탱크가 완전히 막혀 있다면 엄청난 힘으로 물을 집어넣더라도, 압력이 강하여 더 이상 주입이 불가능하거나, 지속적으로 물을 넣으면 발라스트탱크가 팽창하거나 터질 수도 있다.
그래서 앞 뒤로 조그만 숨구멍을 두개 뚫어서 압력이 바깥으로 자연스럽게 배출되도록 설계되었다. 그리고 물이 넘치는 것을 시각적으로 알 수 있게 하여 발라스트 펌프를 멈출 수 있게 하였다.
에어벤트파이프(AVP)
AIR VENT PIPE는 탱크에서 뚫린 작은 숨구멍에서 갑판 상부의 에어벤트헤드까지 이어진 파이프를 말한다. 에어벤트파이프가 화물창을 관통할 수도 있고, VOID SPACE를 지날 수 도 있는데, 만약 에어벤트파이프에 구멍이 발생한 상태에서 발라스트를 넘치게 주입했을때, 화물창으로 물이 쏟아져 화물손상을 야기시킬 수도 있고, VOID SPACE를 침수 시킬 수도 있음을 일항사는 염두에 두어야 하며, 주기적으로 에어벤트파이프의 상태를 점검하여야 한다.
에어벤트헤드(AVH)
AIR VENT HEAD는 탱크의 공기 배출구이며, 공기만 순환시킬 수 있는 구조로 되어 있다. 왜냐하면 선박이 침수되는 상황에서 에어벤트로 물이 들어가면 선박의 무게가 증가하여 상황이 더욱 심각해 질 수 있기 때문에, 에어벤트헤드가 물에 잠기면, 에어벤트헤드 속의 플로팅볼이 떠올라 에어벤트파이프의 입구를 막아버리게 설계되어있다.
그만큼 중요하기 때문에 PSC나 각종 심사시 에어벤트헤드를 개방하여 플로팅볼이 정상적으로 떠오를수 있는지 손으로 점검하고 있다. 일항사는 내외부 심사가 예정되어 있다면, 필히 에어벤트헤드의 플로팅볼 상태를 점검해야 한다.
에어퍼지파이프(APP)
AIR PURGE PIPE는 일정 압력의 에어를 발라스트탱크에 공급하여 탱크의 레벨을 체크하는데 사용되는 에어 주입용 파이프이다. 에어퍼지파이프가 막히거나 파공이 발생되면, 제대로 된 측심이 불가능하다.
사운딩파이프(SDP)
SOUNDING PIPE, 사운딩파이프는 발라스트탱크의 수위(레벨)를 확인하기 위한 측심용줄자(사운딩테이프, SOUNDING TAPE)가 들어가도록 만들어진 파이프이다. 보통 직경 40미리 정도의 파이프이며, 어퍼데크나 크로스데크에 위치해 있고, 갑판 당직부원이 측심을 한다.
액체류가 들어있는 모든 탱크(연료유, 윤활유, 청수, 식수, 발라스트)에는 레벨을 확인하기 위한 사운딩파이프가 설치되어 있다.
발라스트로 할 수 있는 일
부두에 접안중 공선일 경우 선수를 들어올려 바우쓰러스터의 상태를 확인할 수 있고, 선미를 들어올려 프로펠러나 러더에 어망이 걸린 것을 확인 할 수 있다. 또한 폭우가 쏟아질 경우 선박을 바다쪽으로 기울여서 갑판(UPPER DECK)에 고여 있는 스커퍼(SCUPPER)를 통해 흘려보낼 수 있다.
중량물 운반선의 경우 선박을 부두 높이만큼 가라앉혀 크레인이나 선박 블록을 선적하고 다시 운항할 수 있는 상태로 띄울 수 있다. 벌크선의 경우 짐이 하나도 없는 공선상태에서 발라스트 탱크와 화물창 까지 해수를 채워서 선박을 가라앉혀 항해할 수 있고, 최대의 화물선적을 위해 발라스트를 모두 배출 할 수도 있다.
비떠블유티에스(BWTS)
BALLAST WATER TREATMENT SYSTEM은 발라스트(해수 또는 담수) 속의 유기물을 전기분해, 오존투과, 또는 화학적 방법으로 살균하는 시스템을 말한다.
BWTS가 생긴 이유는 예를 들어 선박이 아프리카의 특정 항만에서 발라스트를 싣고 출항하여, 한국에서 짐을 더 싣기 위해 발라스트를 배출 하였을때, 한국에는 없던 종류의 외래 해양 생물이 함께 배출되어 생태계를 교란 시킬 수 있는 환경 문제를 초래할 수 있기 때문이다.
비떠블유엠피(BWMP)
BALLAST WATER MANAGEMENT PLAN, 발라스트워터관리계획으로, 선박에 BWTS 시스템이 갖추어져 있으며, 상태가 양호함을 증명하는 서류이다.
비떠블유엠알(BWMR or BWRB)
BALLAST WATER MANAGEMENT RECORD, BALLAST WATER RECORD BOOK 발라스트워터레코드북, 발라스트워터관리기록서 라고 하며 선박의 일항사는 발라스트를 운용하고 BWMR 또는 BWRB에 기록하며, 선장의 서명을 득한다. PSC나 각종 내외부 심사 수검시 평형수가 제대로 관리되고 있는지 확인한다.
디원(D1)
발라스트워터관리기록서에 기입하는 평형수 처리방법중 하나이며, 육지로 부터 200마일 이상, 그리고 수심 200미터 이상의 대양에서 평형수를 교환했음을 의미한다.
디투(D2)
발라스트워터관리기록서에 기입하는 평형수 처리방법중 하나이며, BWTS(BALLAST WATER TREATMENT SYSTEM)를 통해 발라스트를 주입하거나 배출했음을 뜻한다.
티알오(TRO)
TOTAL RESIDUAL OXIDANTS, 총 잔류 산화물로, BWTS의 전기분해시 발생되는 살균력(산화력)을 가진 산화물이며, 자연유기물질과 반응하여 독성의 부산물을 만드는데, 티알오 값이 기준치 이상이 되어야만 BWTS가 정상 작동되고 BWTS를 통한 발라스트 배출이 가능하다.
특히 테크로스의 BWTS는 TRO값이 기준치를 상회하던가, 미만이어서 자동 TRIP되어 정상적인 작동을 하지 못하는 경우가 빈번했다.
13. 선박의 보안(SECURITY) 관련 용어
911테러 이후로 ISPS CODE가 발효되고 선박의 보안이 매우 중요해 졌다. 게다가 소말리아 해적에게 피랍되는 사건 등이 종종 이슈화 되어 선박에서는 테러나 해적에 대비한 절차를 철저히 이행중인데, 선박의 보안 관련 용어에는 어떤 것들이 있는지 살펴 보자.
아이에스피에스코드(ISPS CODE)
INTERNATIONAL SHIP AND PORT FACILITY SECURITY CODE, 국제선박 및 항만시설 보안규칙이며, 911테러 발생으로 생겨났다. 선박의 외부인 출입 감시와 보안 위협 상황을 예방하고 대처하기 위한 지침이다.
에스에스오(SSO)
SHIP SECURITY OFFICER, 선박보안책임자로 SSO 교육을 받은 선장 또는 일항사를 말한다. 보통 한국적 선박에서는 선사에서 선장에게 SSO 임명장을 발부한다.
씨에스오(CSO)
COMPANY SECURITY OFFICER, 회사보안책임자로 CSO 교육을 받은 회사내 중책을 맡은 사람을 말하며, 보통 선사의 안전팀장이 그 역할을 한다. 선박의 보안관련 업무를 육상과 긴밀히 연결하고 선주에게 보고하는 역할을 한다.
피에프에스오(PFSO)
PORT FACILITY SECURITY OFFICER, 항만시설보안책임자로 PFSO 교육을 받은 항만의 안전관련 부서의 장이다.
에스에스피(SSP)
SHIP SECURITY PLAN, 선박보안계획서이며, 선박에서 보안관련 업무에 대한 절차서이다. 파트A와 B 두개로 나뉘어져 있으며, B는 기밀문서 이므로 SSO의 허가 없이 공개되어서는 안된다. 보안사고 발생시의 대처 방법이나 계획, 배치표 등의 보안 절차가 기술되어져 있다.
에스에스에이(SSA)
SHIP SECURITY ASSESSMENT, 선박보안평가서이며, SSO가 선박의 보안 관련 사항을 평가하고 부족한 부분을 개정/개선 할 때 사용하는 문서이다.
디오에스(DOS)
DECLARATION OF SECURITY, 보안합의서이며, 선박과 선박, 선박과 항만의 작업을 진행 할 때, 서로 보안등급이 맞지 않으면, 보안등급이 높은쪽으로 맞추자고 합의하는 문서이다.
통상적으로 국제 행사를 진행하는 국가에서 선박보안등급을 상향시키는 경우가 많으며, 해당 행사기간내 입항할 시, 상향된 보안등급에 따라 보안당직을 유지해야 한다. 이때 PFSO에게 DOS를 작성하여 서명을 받게 된다. DOS는 통상 5년간 보관 해야 한다.
씨에스알(CSR)
CONTINUOUS SYNOPSIS RECORD, 선박이력기록부 라고 하며, 선박의 등기부등본 이라고 보면 되겠다. 건조된 시점부터 현재까지의 국적변경, 선명변경, 개조로 인한 톤수 변경, 관리회사 변경, 오너 변경, 등등 모든 변경사항들이 기록되어 있다. 그러므로 선박이 폐선할 때 까지 절대로 분실해서는 안되는 중요한 서류이다. 분실시 재발급은 가능하다.
보안등급(SECURITY LEVEL)
SECURITY LEVEL은 3등급으로 나뉘며, 1등급이 제일 낮고, 3등급이 제일 강화된 보안 등급이다. SSP에 명시된 보안 등급별 보안 당직 범위, 순찰 시간 등을 준수하여야 한다.
보안순찰(SECURITY PATROL)
SECURITY PATROL, 경비원처럼 보안등급에 따라 보안 당직사관과 당직 부원은 보안당직표에 따라 보안 등급별로 주기적으로 선박의 보안구역을 순찰하고 이상 없음을 기록으로 남겨야 한다.
싸스(SSAS)
SHIP SECURITY ALERT SYSTEM, 선박보안경보시스템으로 SSAS버튼을 누르면 해양수산부 산하 해사안전관리과와 CSO에게 인마셋C를 통해 선박보안사고 발생 메세지가 발송된다. 그 메세지에는 선박의 이름, IMO넘버, 위치, 등의 정보가 자동으로 발송되며, 구조 활동 절차가 진행된다.
싸스는 해적을 만났을 때 사용 하라고 만들어진 시스템이다. 매월 1회 SSAS BUTTON TEST를 시행하며, 매년 1회 선급 정기검사의 무선국검사에 SSAS ALERT TEST를 시행하고 그 거증자료로 확인 받는다.
열쇠통제대장(KEY CONTROL RECORD)
KEY CONTROL RECORD, 보안을 위해 선박의 모든 열쇠를 SSO의 위임하에 통상 일항사가 관리하며, 각 구역별 열쇠의 수량과 보유 여부를 기록한다.
열쇠관리대장(KEY MANAGEMENT RECORD)
KEY MANAGEMENT, 보안을 위해 일항사가 관리하는 마스터키 및 기관구역 열쇠 등의 반출 기록을 관리한다.
비지터로그(VISITOR LOG)
VISITOR LOG, 방문객일지이며, 외부인이 누구이고, 어떤 이유로 승선했는지, 그리고 가져온 가방의 수량이 몇 개이며 내려갈 때는 가지고 갔는지 여부 등의 기록을 유지하는 서류이다.
만약 출항직전 방문객일지상 누군가 하선 서명란에 공란으로 표시가 되어 있다면, 밀항자로 의심하고 수색을 실시해야 한다.
스티비도어로그(STEVEDORE LOG)
STEVEDORE LOG, 작업자방문일지이며, 하역작업을 하는 STEVEDORE의 승선/하선에 대한 기록 서류이다. 마찬가지로 출항 직전 하선 기록을 재확인 하여 잔류하고 있는 작업자가 없는지 살펴야 한다.
현문(GANGWAY)
GANGWAY, 갱웨이, 출입문 이라고 하며, 양현(포트,스타보드)에 있는 선박으로 출입할 수 있는 문이라는 뜻이다. 부두에 접안했을 때, 외부인의 출입을 감시하기 위해 갑판 부원이 현문에서 보안당직을 수행한다.
스토어웨이(STOWAWAY)
STOWAWAY, 밀항자를 말하며, 승선 신고 되지 않은 사람이 승선한 경우 출항전 수색하여 경찰에 인계해야하고, 만약 출항 후에 발견했다면, 차항지에 도착하여 경찰에게 인계할 때까지 감금은 하되 인권을 존중하는 선에서 관리해야 한다.
그런데 선박에 밀항자가 있다면, 입항하는 나라에서 외교적인 문제로 인해 선박의 입국을 불허하는 경우도 종종 있기 때문에 입국을 허가해 주는 나라를 찾느라 많은 시간과 비용이 소요되기도 하므로, 현문 당직을 철저히 서서 밀항자가 승선하지 않도록 해야 한다.
보안훈련(SECURITY DRILL)
SECURITY DRILL이며, 지정된 9가지 상황에 따라 매월 한가지 이상의 보안 훈련을 진행하도록 하고 있다.
보안장비(SECURITY DEVICE)
SECURITY DEVICE는 금속탐지기(METAL DETECTOR)와 싸스(SSAS) 그리고 탐조등(SEARCH LIGHT) 등이 있다.
14. 선박의 투묘(ANCHORING) 관련 용어
선박은 운항 스케줄에 여유가 있거나, 부두가 혼잡하여 대기를 하거나, 태풍을 피해 SHELTERING을 위해 투묘(앵카링)를 하게 된다. 그래서 투묘의 절차와 투묘 관련 용어에는 어떤 것들이 있는지 살펴 보자.
앵카(ANCHOR)
ANCHOR, 닻은 해저에 선박을 고정하거나, 해저에 끌리도록 하여 선박의 속력을 줄이는데 쓰이는 장비이다. 앵카의 종류는 스톡앵카와 스톡리스앵카가 있는데, 화물선에서는 스톡이 없어 격납에 용이한 스톡리스앵카를 주로 사용한다.
앵카체인(ANCHOR CHAIN)
ANCHOR CHAIN은 몇 톤 이상 중량의 앵카를 본선에 올리고 내릴 수 있도록 연결한 체인을 통칭한다. 그리고 국제규격으로 앵카체인 1샤클은 27.5미터이며, 각 샤클마다 SHOT MARK로 페인팅이나 로프가 연결되어 앵카체인이 빠르게 신출될 때, 몇 샤클이 나갔는지 쉽게 알 수 있도록 해준다.
켄터샤클(KENTER SHACKLE)
KENTER SHACKLE은 국제규격인 앵카체인 1샤클과 다른 1샤클을 연결해주는 샤클이다. 만약 10개의 샤클이 통으로 연결되어 있다면, 중간에 코몬링크나 스터드 링크가 손상을 입었을 경우 통째로 갈아야 하며 비용이 상당하기 때문에 1 샤클마다 켄터샤클로 연결해 준다. 선박의 보순창고나 선수 창고에는 통상 스페어로 켄터샤클이 2개정도 비치되어 있다.
코몬링크(COMMON LINK)
COMMON LINK, 코몬링크, STUD LINE라고도 하며 앵카체인을 구성하는 최소의 단위이며, COMMON LINK가 약 백여개 연결되어 1샤클을 이룬다. 상하로 강한 힘을 받으면 가운데 부분이 끊어지거나 압착될 수도 있다. 그것을 방지하기 위해 가운데 부분에 STUD를 설치하여 LINK가 손상되지 않고 강한 힘을 유지하도록 해준다.
스터드(STUD)
STUD는 코몬링크 사이를 받쳐주는 지지대 역할을 하며, STUD가 탈락되는 경우가 종종 발생하므로, 1항사는 수시로 점검하여 탈락된 부분을 용접해 주어야 한다. 마약 STUD가 없는 상태에서 장시간 앵카를 놓았을때, 심한 장력으로 링크가 끊어져 대형 사고로 이어질 수도 있기 때문이다.
스위벨(SWIVEL)
SWIVEL은 앵카체인이 360도로 회전 할 수 있도록 해주는 역할을 한다. 만약 앵카체인이 회전하지 못하고 고정되어 있다면, 엄청난 무게의 선박이 조류나 바람의 영향으로 회전할때 그 힘을 견디지 못하고 파손 되어 심각한 피해를 초래 할 수 있다. 그래서 주기적으로 스위벨의 상태를 확인하고 상태가 나쁠시 드라이도크에 가서 신환될 수 있도록 준비하여야 한다.
코크빌(COCK BILL)
COCK BILL은 앵카를 수면까지 내린 상태를 말한다. 선장이 폭슬의 1항사에게 앵카 투묘 준비를 지시하며, 코크빌 되면 보고하라고 말한다.
워크백(WALK BACK)
WALK BACK은 앵카체인을 윈드라스(양묘기)에 기어를 넣고 내리는 것을 말한다.
렛고앵카(LET GO ANCHOR)
LET GO ANCHOR는 윈드라스(양묘기)에서 기어를 빼고, 브레이크를 풀어서 순수 앵카와 앵카체인 무게로 중력을 이용해서 앵카를 내리라는 명령어이다.
홀딩체인(HOLDING CHAIN)
HOLDING CHAIN, CHAIN HOLD는 렛고 앵카로 중력으로 나가고 있는 앵카를 잡으라는 말로, 윈드라스의 브레이크 핸들을 끝까지 잠그라는 명령어이다.
해저로 나가던 앵카체인이 멈춰지면, 일항사는 앵카샤클의 SHOR MARK를 확인하여 예를 들면 5샤클 온덱 썰, 5샤클 인워터 썰 등으로 현재 몇 샤클까지 나갔는지의 상태를 선장에게 보고한다.
브로트업앵카(B/UP)
BROUGHT UP ANCHOR는 앵카가 해저에 완전히 박혔다는 것을 의미하며, 일항사가 선장에게 브로트업앵카썰 이라고 보고한다. 앵카가 브로트업 된 것을 확인하는 방법은 앵카체인의 장력이 매우 강하게 걸린 후 선박이 조류나 풍향에 따라 방위가 변하면서 장력이 서서히 약해지고, 주변에 정박한 선박과 비슷한 방위로 자리를 잡는지 관찰한다.
힙업앵카(H/UP)
HEAVE UP ANCHOR는 윈드라스를 이용하여 앵카를 감으라는 명령어이다. 선장이 폭슬의 일항사에게 힙업앵카를 명령한다.
앵카체인 장력 보고
일항사는 폭슬에서 앵카체인의 상태를 선장에게 보고한다. 앵카체인의 시계방향의 방위와 체인의 장력을 각도나 퍼센트로 보고한다. 앵카체인의 장력은 통상적으로 선장이 일항사에게 5단계(아주강함, 강함, 보통, 약함, 없음)로 보고할 것을 지시한다.
예를 들면 포트앵카 3샤클 온덱, 체인방향 11시, 장력 강함썰! 이런 식이며, 일부 선장은 앵카체인의 장력을 각도로 표현해 주기를 바란다. 예를 들면 스타보드 앵카 5샤클 온덱, 체인상태 2시, 장력 45도 썰! 이런 식이다.
선장과 일항사의 의사소통만 잘 된다면 뭐라고 보고하든 상관없다. 그리고 그 체인 상태에 따라서 선장이 브릿지에서 전진 엔진을 사용한다던가, 바우쓰러스터를 사용해서 앵카를 더욱 쉽게 감아 올리도록 선박을 이동시켜 준다.
업앤다운앵카(UP & DOWN)
UP AND DOWN ANCHOR는 앵카를 감아들이는 중 앵카체인의 상태가 수직이 된 상태를 말하고, 통상 앵카가 해저에서 떨어지기 일보 직전의 상황이 되었음을 의미한다.
앵카어웨이(ANCHOR AWEIGH)
ANCHOR AWEIGH는 앵카가 해저에서 떨어진 상태를 말하며, 앵카링의 종료 시점을 의미한다.
클리어앵카(CLEAR ANCHOR)
CLEAR ANCHOR, 앵카가 꼬이지 않고 정상적으로 올라온 상태를 말한다.
포울앵카(FOUL ANCHOR)
FOUL ANCHOR, 앵카가 꼬여서 올라온 상태를 말한다. 포울앵카인 경우 1샤클 정도 다시 렛고한 후 감거나, 소형선의 경우 앵카에 로프를 연결하여 고정 또는 윈치로 감는 등, 추가적인 작업이 필요하다.
앵카꼬인상태
CROSS-반바퀴꼬임, ELBOW-한바퀴꼬임, ROUND TURN-한바퀴반꼬임, ROUND TURN AND ELBOW-두바퀴 꼬임을 뜻하는데 실무에서는 거의 사용하지 않는다.
그리고 양현 앵카를 놓아 서로 꼬인 경우 바우 쓰러스터와 엔진, 타를 사용하여 선박을 회두시켜 꼬인 것을 푼다. 그러나 여의치 않을 때는 항만 터그보트의 도움으로 꼬인 앵카체인을 풀어야 한다.
앵카시큐어(ANCHOR SECURE)
ANCHOR SECURE는 앵카를 완전히 감아 들이고 원위치에 격납된 상태를 말한다.
드래깅(DRAGGING)
DRAGGING, 정박하기 위해 투묘한 앵카가 제대로 박히지 않아 끌리는 것을 말한다. 주묘라고도 하며, 의도하지 않은 앵카의 끌림을 말한다.
드레징(DREDGING)
DREDGING, 앵카를 1샤클 또는 2샤클 정도 내려서 앵카를 인위적으로 끌리도록 하는 것을 의미한다. 인묘라고도 하며, 선수 터그보트가 없이 접안을 하는 경우, 또는 선박의 스피드를 줄이기 위해서, 앵카를 1~2샤클 정도 내려서 끌리도록 하면서 엔진을 사용해 선박의 선수 방위를 잡고, 스피드를 감속하는 용도로 주로 사용한다.
슬리핑앵카(SLIPPING ANCHOR)
SLIPPING ANCHOR, 사묘라고 하며, 앵카를 감을 수 없는 특수한 상황(초대형선이 끌리면서 본선과 충돌이 임박하여 앵카를 감을 수 없는 경우)에서 앵카 체인을 끊어내는 것을 말한다. 앵카 체인을 끊기 위해서는 윈드라스 드럼의 브레이크를 끝까지 잡고 켄터샤클을 분리해야 한다.
사이팅앵카(SIGHTING ANCHOR)
SIGHTING ANCHOR, 검묘라고 하며, 강 하류에서 장기 묘박할 경우, 앵카가 꼬이거나 뻘에 깊게 묻힐 수 있어 기상이 양호한 날에 일주일 간격으로 앵카를 감고 다시 놓는 것을 말한다.
앵카라싱와이어(ANCHOR LASHING WIRE)
ANCHOR LASHING WIRE는 앵카가 기상악화로 풀려서 떨어지지 않도록 추가적으로 고정하는 와이어를 말한다.
앵카체인스토퍼(ANCHOR CHAIN STOPPER)
ANCHOR CHAIN STOPPER는 앵카가 정상적으로 선박에 격납되어 앵카체인이 흘러내리는 것을 막아주는 역할을 하는 장비이다. 항해중 앵카가 유실되면 심각한 문제가 발생 될 수 있으므로, 1차적으로 윈드라스 브레이크로 잡고, 2차로 앵카체인스토퍼로 잡고, 3차로 앵카라싱와이어로 잡아준다.
윈드라스(WINDLASS)
WINDLASS, 양묘기는 중량의 무게의 앵카와 앵카체인을 끌어올리고 천천히 내어줄 때 사용하는 기기이다. 만약 윈드라스가 고장이 난다면 앵카를 감을 수 없어 운항스케줄에 큰 지장이 생겨 심각한 운항 손실을 야기할 수 있으므로 주기적으로 관리하고, 긴급 상황시 신속히 수리되어야 한다.
15. 선박의 단위(UNIT) 관련 용어
선박에서는 영어에서 유래된 어휘들을 줄여서 말하는 경우가 많으며, 선박에서 자주 사용하는 단위 관련된 용어에는 어떤 것들이 있는지 살펴 보자. 선박 경험이 없는 해양 계열의 학생이나 실습생은 승선 전에 미리 알아두면 좋겠다.
엘오에이(LOA)
LENGTH Over ALL, 전장이라 하며, 선박의 선수 끝에서 선미 끝단 까지의 총 길이를 말한다. 자동차로 치면 앞쪽 범퍼 제일 끝에서 뒷쪽 범퍼 제일 끝까지의 길이와 같다.
엘비피(LBP)
LENGTH BETWEEN PERPENDICULAR, 수선간장이라 하며, FP와 AP 사이의 거리를 말하고, 톤세(Tonnage) 등의 세금의 기준이 되는 길이를 말한다. 자동차로 치면 앞뒤 범퍼를 제외한 차체의 길이라고 할 수 있겠다.
에프피(FP)
FORE PERPENDICULAR는 선수 수선이며, 선박이 디자인워터라인(DESIGN WATERLINE)까지 수면에 잠겼을 때 선체와 만나는 선수부의 위치를 말한다.
에이피(AP)
AFTER PERPENDICULAR는 선미 수선이며, 선박이 디자인워터라인(DESIGN WATERLINE)까지 수면에 잠겼을 때, 수면과 선미에 있는 러더(RUDDER)의 중심축이 만나는 위치를 말한다.
디자인워터라인(DESIGN WATERLINE)
DESIGN WATERLINE은 선박 설계시 선박이 가라앉지 않을 만큼의 화물을 싣고도 선수와 선미의 깊이가 EVEN(똑같게)이 되도록 계산된 LOAD LINE을 말한다. 통상적으로 지나가는 화물선을 보면 디자인워터라인 아래 위가 서로 다른 색으로 페인팅 되어있음을 볼 수 있다.
브레쓰(BREADTH)
BREADTH, 폭, 선박의 왼쪽 끝에서 오른쪽 끝까지의 길이를 말한다. 예전 파나마운하 확장 공사 전 통과 가능폭이 최대 32미터 였기때문에, 파나막스(PANAMAX) 선박의 폭은 32미터로 동일하게 건조되었다. 그러나 현재 파나마 운하가 확장되어 폭이 최대 49미터까지 통항 가능하다.
드라프트(DRAFT)
DRAFT, 흘수는 선박이 물에 잠기는 깊이를 말한다. 선박의 흘수는 선수 드라프트, 민 드라프트, 쿼터민 드라프트, 선미 드라프트로 표현하며, 입출항시 파일럿 카드 작성과 대리점에 입출항 정보를 보낼 때 필히 기입하여야 한다. 왜냐하면 선박의 드라프트(흘수)에 따라서 항만의 저수심 구역을 통과 가능한지 여부를 결정해야 하기 때문이다.
썸머드라프트(SUMMER DRAFT)
SUMMER DRAFT, 썸머드라프트는 만재흘수선의 국제협약(ILL)에 따라 발행된 증서 상 하기(썸머, SUMMER)로 지정된 구역을 항해할 때 기준이 되는 최대만재흘수이다.
선박이 입항하는 국가의 지리적인 위치에 따라 열대(TROPICAL), 하기(SUMMER), 동기(WINTER), 동기북대서양(WINTER NORTH ATLANTIC) 최대만재흘수선이 다르게 설정되어있고, 선박의 정중앙 왼쪽과 오른쪽에 양각으로 마킹되어 있다.
예를 들어 하기최대만재흘수선이 12.5미터라 가정하면, 열대지역(TROPICAL)의 국가로 입항시에는 12.8미터 까지 선적 가능하고, 반대로 동기북대서양으로 지정된 국가로 입항시에는 12.3미터 까지 선적이 가능하여, 로드라인 규정에 따라 화물의 양이나 평형수(발라스트)의 양을 조절해야 한다.
디자인드라프트(DESIGN DRAFT)
DESIGN DRAFT는 로드라인 규정과 선박이 최대의 화물을 싣고도 선수미 드라프트가 동일한 상태에서 떠있을 수 있는 상태의 드라프트를 말하며, 통상 썸머드라프트(하기만재흘수)라고 표현하며, 통상 화물선의 외부를 색칠(도장)할때 디자인드라프트 선에 맞게 색을 구분하고 있다.
스캔틀링드라프트(SCANTLING DRAFT)
SCANTLING DRAFT, 스캔틀링드라프트는 구조흘수라고 하며, 디자인 드라프트보다 최악의 조건을 설정하여 계산된 흘수이며, 통상 썸머드라프트보다 약 10% 이상 깊다.
뎁쓰(DEPTH)
DEPTH, 수심은 바다의 깊이를 말한다.
에어드라프트(AIR DRAFT)
AIR DRAFT는 선박이 물에 떠 있을 때, 공기 중에 노출된 총 높이를 말한다. 예를 들어 선박의 총 높이가 바닥부터 안테나 끝 단까지 50미터인데, 드라프트가 10미터 만큼 물속에 잠겼다면, 에어드라프트는 40미터가 된다.
이 에어드라프트는 항만에 입/출항 시 다리 아래를 지날 때 통과할 수 있는지 여부를 결정하는데 매우 중요하다. 부산 북항의 경우 북항대교 설계를 잘못하여, 초대형 크루즈선의 에어드라프트가 높아 다리를 통과하지 못하여 멋지게 만든 국제여객터미널에 접안하지 못하고 있는 실정이라 한다.
데크라인(DECK LINE)
DECK LINE은 상갑판(UPPER DECK)임을 표시해둔 선이며, 양각으로 튀어나오고 밝은 계열의 페인팅이 되어있어 눈으로도 쉽게 확인 가능하다.
프리보드(FREEBOARD)
FREEBOARD, 건현이라하며, 선박이 물에 떠있을때, 데크라인에서 수면까지의 높이를 말한다. 예를 들어 바닥에서 데크라인까지 높이가 16미터이고, 선박의 드라프트가 10미터라면, 건현인 프리보드는 6미터가 된다.
그리고 건현(프리보드)는 주로 파일럿라다 설치 규정을 위해 주로 사용되는데, 건현이 9미터 이상일 경우 콤비네이션라다를 설치하도록 강제하고 있기 때문이다. 예를 들어 선박의 데크라인 까지 높이가 16미터인데, 화물을 적게 실어서 드라프트가 6미터가 되었다면, 건현이 9미터를 초과하여 파일럿라다를 컴비네이션으로 설치해야 한다.
마일(MILE)
MILE, SEA MILE, NAUTICAL MILE, 해리 라고 하며, 바다에서 길이의 단위이다. 1마일은 1852미터를 의미한다.
케이블(CABLE)
1 CABLE은 0.1마일, 185미터를 의미한다. 1마일 이내의 선박이나 부두의 거리를 보고할 때 주로 사용한다.
노트(KNOT)
KNOTS, KN, KTS라고 표기하며, 선박에서 사용하는 속도의 단위이다. 1노트는 1시간에 1마일을 가는 속도이다. 20노트는 1시간에 20마일(약 37KM)를 가는 속도를 말한다. 선박, 바람, 조류의 속도를 표기한다.
에이비(A/B)
ABOVE BASELINE, 선박의 바닥면 위의 높이를 의미하며, 예를 들어 1300AB는 바닥에서 1300mm위에 있는 곳을 의미한다.
씨엘(CL)
CENTER LINE, 선박의 중심선을 말하며, 예를 들어 2000CL(P)는 선박의 중심축에서 왼쪽으로 2000mm의 위치를 의미한다.
프레임(FR)
FRAME, 프레임은 선박을 횡으로 잘랐을때, 그 기준이 되는 점을 말한다. 예를 들어 FR20은 도면상 20번째 프레임이 있는 위치를 의미한다.
엘비디(LBD)
LENGTH X BREADTH X DEPTH의 약자이며, 손상부의 손상 범위를 표현하는데 주로 사용된다. 예를 들어 2000L X 100B X 50D 라고 하면 길이방향 2000mm, 폭방향 100mm, 깊이 50mm의 손상부를 의미한다.
어드번스(ADVANCE)
ADVANCE, 시간 전진을 의미하며, 출항했던 나라의 시간과 입항하려는 나라의 시간이 다를 때, 시간을 강제적으로 변경하게 된다. 입항하는 국가의 시간과 선박의 시간이 다르면 입/출항 시간부터 엄청난 애로사항이 예상된다.
예를 들면 한국과 중국은 1시간의 시차가 있으므로, 중국에서 한국으로 향하는 동안 도착지인 한국의 시간과 선박의 시간을 일치시켜야 하는데, 보통 저녁8시를 저녁9시로 1시간 전진을 시켜서 일치 시킨다. 시간 전진을 한 만큼 선박의 시간이 사라지는 것과 같다.
리타드(RETARD)
RETARD, 시간 후진을 의미하며, 어드번스와 반대의 개념이다. 한국에서 중국으로 항해를 하면, 중국의 시간이 한국보다 1시간 늦기 때문에, 저녁 9시를 저녁8시로 후진한다. 그렇게 되면 저녁 8시에서 9시가 되었지만, 9시를 다시 8시로 바꾸니 선박에서는 1시간이 공짜로 생긴 셈이다. 반대로 그 시간에 근무를 하는 삼항사는 1시간을 추가적으로 근무해야 한다.
총톤수(GT)
GROSS TONNAGE는 톤수증서에 따라 계산된 선박 내 막혀있는 모든 공간의 용적을 톤수로 나타낸 것이다.

순톤수(NT)
NET TONNAGE는 톤수증서에 따라 계산된 선박 내 화물이나 여객(선원제외)을 실을 수 있는 순수 용적을 톤수로 나타낸 것이다.
라이트쉽(LIGHT SHIP)
LIGHT SHIP, LIGHT WEIGHT TONNAGE, 경하중량톤수라고 하며, 조선소에서 만든 순수 철판과 선박을 운항할 수 있도록 탑재된 설비의 총중량을 의미하며, 연료유나 식수 등은 포함되지 않는다. 자동차로 치면 사람이나 짐이 실리지 않은 차체의 무게라고 할 수 있겠다.
배수량(DISPLACEMENT)
DISPLACEMENT TONNAGE, 배수톤수는 선박을 욕조에 풍덩 빠뜨렸을때, 넘치는 물의 양을 무게로 표현한 것이다.
스탠다드배수량
STANDARD DISPLACEMENT TONNAGE, 표준배수톤수는 기존의 배수량에서 선박의 연료와 청수(식수)의 무게를 뺀 것을 말한다.
데드웨이트(DEADWEIGHT TONNAGE)
DEADWEIGHT TONNAGE, 재화중량톤수, 적화중량톤수라고 하며, 선박이 하기만재흘수선(로드라인 협약에 따른 계산된 드라프트)까지 가라앉았을 때의 배수량에서 라이트쉽 상태의 배수량을 뺀 순수 화물을 선적할 수 있는 중량톤수를 말한다.
선주나 용선주는 배수량에서 공선(LIGHTSHIP)의 무게를 뺀 나머지를 얼마나 실을 수 있는지가 주요 관심사이다. 자동차로 치면, 5톤 트럭의 적재중량과도 같다.
DISPLACEMENT TONNAGE 계산식
DISPLACEMENT TONNAGE = LIGHTSHIP TONNAGE + DEADWEIGHT TONNAGE
GROSS TONNAGE - NET TONNAGE = 화물선적, 여객탑승 이외의 공간들의 용적 TONNAGE.
디그리(DEGREE)
디그리는 기온의 단위도 되지만, 선박에서는 주로 항해시의 각도를 의미한다. 000도 부터 359도 까지 선박에서 방위를 표현한다. 예를 들면 현재 코스(또는 헤딩)이 무엇인가? 라는 질문에 080(공팔십도, 제로에잇제로) 입니다. 라고 답한다.
프로펠러이머전(PROPELLER IMMERSION)
PROPELLER IMMERSION은 통상적으로 프로펠러가 물에 잠긴 높이를 말하고, 프로펠러 직경이 물에 잠긴 비율로서 표현되기도 한다. 예를 들어 프로펠러 날개 하나가 4미터로 프로펠러의 직경이 8미터라고 가정해보자.
이때 선박의 프로펠러가 물에 잠긴 깊이가 8미터라면 PROPELLER IMMERSION은 100%가 되고, 물에 잠긴 깊이가 4미터라면, 4/8로 50%가 된다. 보통 화물선은 엔진 효율을 높이기 위해서 가능한 프로펠러가 100% 수면 아래에 잠기도록 발라스트를 주입하여 운항한다.
추가적으로 궁금한 용어는 댓글 달아주시면 업데이트 하도록 하겠습니다.
16. 선박의 운동(MOVEMENT) 관련 용어
선박은 물(유체)위에 떠있기 때문에 육상과 다르게 아래의 그림처럼 앞뒤, 상하, 좌우로 움직이게 되는데, 그런 운동(MOVEMENT) 관련 용어들에는 어떤 것들이 있는지 살펴 보자. 선박에 승선을 원하는 사람들은 이런 기본적인 용어들을 숙지하면 좋겠다.
힐링(HEELING)
HEELING, HEEL, 횡경사라고도 하며 선박이 좌우로 움직이는 운동을 말한다. 선박이 똑바로 서있지 않고 한쪽으로 계속 기울어진 상태를 유지하는 것은 좋지 않다. 왜냐하면 기울어진 상태에서 항해를 하다가 심한 파고(WAVE)나 스웰(SWELL)로 인해 전복될 수 있기 때문이다.
그리고 기울어진 상태로 하역작업을 하다가 크레인이 선체와 부딪힐 수도 있고, 연료유나 청수를 수급 받는 중 기울어진 값을 계산하지 못해 해상으로 넘쳐흐를 수도 있기 때문이다. 그래서 대형 선박이나 대형 컨테이너선에는 힐링을 자동으로 잡아주는 AUTO HEELING SYSTEM이 탑재되어 있다.
롤링(ROLLING)
ROLLING은 선박이 좌우로 기울어 오뚝이처럼 움직이는 운동을 말한다. 선박의 GM에 따라 한쪽으로 기울었다가 다시 돌아오는 시간과 속도가 달라지므로 과도한 GM은 안전성은 높지만, 화물이나 선원에게는 좋지 않다.
이븐(EVEN)
EVEN, 이븐킬, EVEN KEEL은 선수 드라프트와 선미 드라프트가 동일한 상태를 말한다. 대형선이 저수심 구역을 항해할 때는 가능한 최저 드라프트와 이븐킬(EVEN KEEL) 상태를 유지하는 것이 안전하다.
트림(TRIM)
TRIM은 선수 드라프트와 선미 드라프트의 차이를 말한다. TRIM BY THE STERN, 트림바이더스턴은 선미가 더 깊게 잠겨있는 상태를 말하며, TRIM BY THE HEAD는 선수가 선미 보다 더 깊게 물에 잠겨있는 상태를 말한다.
통상적으로 선수와 선미의 드라프트가 동일한 상태(EVEN)가 최적이지만, 컨테이너선이나 일반 화물선의 경우 일부러 TRIM BY THE STERN을 만든다. 왜냐하면 화물창의 빌지웰이 제일 뒤쪽에 위치하므로, 선수 트림인 경우 빌지웰에 빌지가 가득차서 빌지알람이 발생되어도, 화물창의 앞쪽 바닥은 이미 젖어있기 때문에 침수로 인한 화물 손상이 발생할 수 있기 때문이다.
피칭(PITCHING)
PITCHING은 선박의 중앙을 기준으로 선수와 선미가 시소처럼 움직이는 운동을 말한다. 바다의 기상이 나쁠 때나 앞에서 파도(WAVE)나 스웰(SWELL)을 받고 항해를 할 때 주로 피칭을 경험할 수 있는데, 선원들에게 심한 두통을 야기하는 나쁜 움직임이다.
슬래밍(SLAMMING)
SLAMMING은 농구만화 슬램덩크를 떠올리면 이해가 쉬울 것이다. 벌처럼 날아서 골대로 내려 꽂듯이 선박의 선수가 파도를 타고 높이 떠올랐다가 바다로 사정 없이 떨어지는 것을 말한다. 저기압이나 태풍의 영향이 있는 해역을 항해할 때 주로 발생되며, 선체나 화물에 심각한 손상을 일으키므로 가능한 선속을 줄여서 슬래밍을 피해야 한다.
프로펠러레이싱(PROPELLER RACING)
PROPELLER RACING은 심한 피칭 또는 심한 슬래밍으로 수면 아래에서 고속으로 회전하던 프로펠러가 갑자기 공기중으로 노출되고 수면과 마찰을 하여 심한 소음과 진동이 발생하는 것을 말한다. 프로펠러가 공기중으로 떠올라 회전하므로 당연히 추진 효율이 떨어져 순간적으로 선속이 감소할 수 있다.
요잉(YAWING)
YAWING은 선박의 선수가 외력에 의해 좌우로 움직이는 운동을 말한다.
서지(SURGE)
SURGE는 선박이 선수미 방향으로 움직이는 운동을 말한다. 앞에서 오는 큰 스웰(SWELL)이나 파도(WAVE)와 부딛혔을 때 반동과 계속 나아가려는 힘으로 인해 선박이 앞뒤로 흔들리게 된다.
스웨이(SWAY)
SWAY는 선박이 선수미선를 중심으로 좌우로 횡이동하며 움직이는 운동을 말한다.
히브(HEAVE)
HEAVE는 선박이 아래위로 수직 이동하는 운동을 말한다.
선박의 운동(MOVEMENT)
추진력이 있는 선박이 황천을 만나게 되면 3차원(X,Y,Z)으로 움직이게 된다. 롤링과 피칭을 하다가, 큰 스웰에 부딛혀 슬래밍을 하고 프로펠러 레이싱과 서지현상이 발생된다. 그리고 원하는 코스로 조타를 하더라도 외력에 의해 선수가 돌아가는 요잉현상을 겪고, 뒤에서 오는 스웰에 의해 선박이 수직이동하는 히브와 스웨이 현상도 발생된다.
파도(WAVE)
WAVE, 바람에 의해 발생되는 짧은 파장의 수면 상부 바다의 출렁임이다.
스웰(SWELL)
SWELL, 너울은 바람 없이 멀리서 전해오는 긴 파장의 커다란 유체 덩어리의 출렁임이다. 항해시 단순한 높은 파도는 이겨낼 수도 있지만, 앞에서 오는 높은 스웰은 극복하기 어려우므로 피하거나 속도를 줄여서 피해를 최소화 하여야 한다.
복원성(STABILITY)
STABILITY는 선박이 기울어졌다가 본래의 위치로 돌아가려는 성질이며, 부력과 무게중심과 중량의 값에 의해 결정된다. 선장은 화물과 선박의 평형수를 적절히 조절하여 안전 운항을 위한 복원성을 확보해야 한다.
17. 선박의 정비(MAINTENANCE) 관련 용어
선박, 특히 화물선의 목표는 화물을 최대한 많이 실어서 안전하게 운항하여 정해진 날짜에 도착하는 것이다. 그런데 선박은 철판과 많은 기계장치로 이루어져 있기 때문에 부식으로 금이 가거나, 기계가 고장 나는 일이 다반사이다. 그래서 선박 정비 관련된 용어는 어떤 것들이 있는지 살펴 보자.
깡깡이(CHIPPING)
치핑, CHIPPING은 망치로 철판을 두들겨서 녹을 벗겨내는 작업이며, 갑판부 선박 정비의 가장 기본이 되는 작업이다. 해군처럼 인력이 넘치는 함정이나 40명씩 승선했던 과거의 선박에서는 열심히 망치질을 해댔고, 그때 망치와 철이 부딛히며 깡깡~ 소리를 내게되어 깡깡이라고 지금까지도 불리고 있다. 그런데 현재 상선에서는 기술의 발달과 인력의 저하로 에어나 전기 기기를 이용하여 깡깡이를 하고 있다.
그라인딩(GRINDING)
GRINDING은 치핑으로 녹이 거칠게 벗겨진 철판을 매끄럽게 갈아내어 페인트가 잘 도포되도록 하는 도장 전처리 작업이며, 전기 또는 에어 그라인더를 통해 작업을 한다.
와싱(WASHING)
WASHING은 철판에 붙은 염분기를 제거하기 위한 세척 작업을 말한다. 페인트를 칠하기 전 파도로 인해 갑작스런 해수의 유입시, 청수(FRESH WATER)를 연결하여 씻어주고 건조가 된 후에 도장 작업을 해야 한다.
에어블로잉(AIR BLOWING)
AIR BLOWING, AIR WASHING, BLOWING은 그라인딩 작업을 마치고 철판에 미세하게 펼쳐진 녹, 쇳가루, 페인트 가루 등을 고압의 에어로 불어내거나, 페인트를 칠하기 전 갑작스런 빗물 유입시 철판을 건조시키기 위해 에어로 수분을 불어내는 작업을 말한다.
왜냐하면 완벽히 건조되지 않은 상태에서 페인트를 칠하거나, 철판에 이물질이 가득한 상태에서 페인트를 칠한다면 페인트가 철판에 제대로 접착되지 않아, 건조 후 쉽게 벗겨지거나 도장의 내구성이 짧아지게 된다.
뺑끼칠(PAINTING)
PAINTING, 도장, 도색이라고 하며, 치핑, 그라인딩, 에어블로잉 작업을 마친 후 페인트를 칠하는 작업을 말한다. 페인트에도 종류가 있어서 보통 프라이머라는 1차 도료를 건조 후 2~3회 바르고, 마지막으로 파이널 페인트를 발라준다.
프라이머(PRIMER)
PRIMER, PRIMER PAINT는 1차 도료를 말하며, 방청(녹방지)의 역할을 하는 것을 말한다. 철판에 녹이 발생하지 않도록 공기와 수분을 차단시켜 주는 기능의 페인트이며, 색상은 보통 회색 또는 브라운 계열을 사용한다.
1차로 회색, 2차로 브라운을 발라 여러명이서 넓은 면적에 페인트를 칠할때, 어디까지가 1차인지, 2차인지를 쉽게 알 수 있도록 해준다. 그리고 승선중 빨갛고 노란 프라이머를 보지는 못하였다.
파이널페인트(FINAL PAINT)
FINAL PAINT, FINISH PAINT는 프라이머를 2회 이상 발라준 후 마지막에 바르는 페인트이며, 색깔과 광택의 기능이 있는 페인트이다. 파이널 페인트를 발라서 기존의 색상과 일치시켜, 녹슬었던 부분의 정비가 끝났음을 대변한다고 할 수 있겠다.
마킹(MARKING)
MARKING, SIGNAL PAINT는 돌출된 부분의 위험을 알리거나, 위급시에도 쉽게 식별가능한 손잡이 등에 바르는 페인트 작업을 말한다. 보통 핸드레일 손잡이 부분과, 페쎄지의 돌출된 부분이 보행시 위험한 경우, 크레인 오퍼레이터가 30미터 이상 위에서 아래를 보면서 작업시 화물창의 경계와 선적할 위치가 잘 보이도록 빨갛고, 노랗고, 타이거마크의 쉽게 눈에 띄는 색으로 마킹을 해준다.
그리고 또 다른 의미로는 선박 외부의 각종 스토어나 출입구의 문에 이곳이 어디이며, 관계자외 출입금지, 오픈/클로즈 방향 등의 글귀를 스텐실을 이용하여 찍는 작업을 말한다.
핸드툴(HAND TOOL)
HAND TOOL은 동력원 없이 사람의 힘으로만 작동되는 단순 장비를 말한다. 예를 들면 치핑해머, 드라이버, 정, 스크래퍼 등이다.
전기툴(ELECTRIC TOOL)
ELECTRIC TOOL은 전기를 이용하여 작동되는 장비를 말한다. 예를 들면 전기 그라인더, 전기 톱, 전기 용접기 등이다. 핸드툴 보다 효율이 뛰어나다.
에어툴(AIR TOOL)
AIR TOOL은 에어를 이용하여 작동되는 장비를 말한다. 예를 들면 에어 치핑해머, 에어 치질, 에어 그라인더 등이다. 핸드툴 보다 효율이 뛰어나다.
메인테넌스(MAINTENANCE)
MAINTENANCE, 보수, 정비는 설치된 기기가 정상 작동되고 선체가 안전하게 유지되도록 하는 작업을 총칭한다.
웰딩(WELDING)
WELDING, 용접, 전기작업, ELECTRIC WORK은 고압의 전기를 이용하여 철로 이루어진 부분의 구멍을 메우거나, 절단되어 철과 철을 새롭게 붙이는 작업을 말하며, 보통 선박의 조기장의 주요 업무이며 조기장의 능력(대부분 외국선원)에 따라 작업시간과 효율이 천차 만별이다.
보통 기관실에서 길게 용접선을 끌고와서 용접봉을 녹이면서 작업하며, 경우에 따라서는 포터블(휴대식) 용접기를 들고 다니며 용접을 하기도 한다. 용접 작업 전에는 전기가 제대로 흐를 수 있도록 주변의 페인트를 벗겨내는 작업이 필요하며, 용접 작업 후에는 부식을 막기 위해 전처리와 도장작업이 필수이다. 위험작업이므로 선임사관의 감독이 필요하며, 화재에 대비한 소화기의 비치 또한 필수이다.
파이어웍(FIRE WORK)
FIRE WORK, 화기작업, HOT WORK, 불작업은 산소&아세틸렌을 이용하여 손으로 자르기 어려운 두꺼운 철판이나 쇠 구조물을 잘라내는 작업을 말한다. 이 또한 조기장의 주요 업무이며, 위험작업이므로 선임사관의 감독이 필요하고, 화재에 대비한 소화기의 비치가 필수이다.
오바홀(OVERHAUL)
OVERHAUL은 기기를 분해, 점검, 소제, 수리 후 재결합하는 작업을 말한다. 오바홀은 기관부 정비 작업의 기본이며 큰 비중을 차지한다.
샌드블라스팅(SAND BLASTING)
SAND BLASTING은 모래 알갱이 또는 작은 철가루를 고압의 에어로 분사하여 선박의 녹슨 부분의 녹과 페인트를 벗겨내는 작업을 말하며, 보통 드라이도크(DRY DOCK, FLOATING DOCK)에서 선체의 외판 또는 화물창의 녹과 해양생물(따개비 등)을 제거하는데 사용되는 작업이다.
그리고 샌드블라스팅은 샌드를 다시 회수하여 재사용 해야 하므로 드라이도크에서만 볼 수 있는 작업이다. 샌드블라스팅 작업시 살짝만 스쳐도 심각한 피해를 입을 수 있으므로 외부로 이동시 안전장비(고글, 마스크, 외투, 헬멧)는 기본이며, 선박의 각종 전등이나 유리창이 깨질 우려도 있으므로 커버를 씌워 두어야 한다.
하이드로블라스팅(HYDRO BLASTING)
HYDRO BLASTING, HYDRO WATER BLASTING은 물(청수, FRESH WATER)을 고압으로 분사하여 샌드블라스팅처럼 녹을 제거하는 작업을 말한다. 하이드로블라스팅은 물을 사용하기에 샌드블라스팅보다 파워도 약하고, 작업 후에 젖은 선체를 건조 시켜야 하기 때문에 효과적이지 않다.
그러나 샌드를 사용하지 못하는 환경에서는 핸드툴이나 전기/에어툴을 사용 하는 것 보다는 효율이 높다. 최근 선박에는 HYDRO WATER JET(고압세척기)이라는 장비로 선체 정비와 갑판 물청소를 효과적으로 하고 있다.
리뉴(RENEW)
RENEW, RENEWAL, REPLACEMENT, 신환은 기존의 것을 새것으로 바꾸는 작업을 말한다. 고장이 나거나, 파손이 되거나, 잦은 오작동을 일으키거나, 유효기간이 만료 되었을 때 새것으로 바꿔주는 작업을 통칭한다.
피엠에스(PMS)
PMS, PLANNED MAINTENANCE SYSTEM, 계획정비시스템, 계획정비는 기기, 장비, 작업내용 별로 점검 또는 정비 기간을 설정하여 관리 소홀로 인한 누락이 없도록 만들어진 시스템이다.
예를 들면 PMS에 와이어의 교체주기를 4년으로 설정해 두었다면, 4년째 유효일자가 도래하기 몇 개월 전에 경보(ALERT)를 발생시켜 잊지 않고 스페어를 청구하여 신환할 수 있도록 해주는 개념이다.
그리고 지정된 날짜에 점검 기록을 입력하지 않으면, 붉은색으로 경고의 메세지를 표시해 주어 선박의 정비를 안정적으로 유지해 주는 고마운 시스템이다. PMS가 있기 전엔 선원들 간의 주먹구구식의 인수인계로 과거 데이터가 없어서 제때 정비 시기를 놓쳐서 결국 사고로 이어지는 경우도 많았다고 한다.
그런데 PMS도 마찬가지로 앞 사람이 허위로 작업기록을 작성한 경우, 정비 시기를 한 차례 건너뛰어 사고로 이어질 수 있으므로, 선박정비책임자인 기관장은 PMS 결재시 제대로 확인 작업을 하여야 하겠다.
에어치즐(AIR CHISEL)
AIR CHISEL, AIR ZET CHISEL, 에어치즐은 에어를 이용하여 선박의 녹슨 부위의 페인트와 녹을 제거하는데 사용하는 에어툴 중 하나이며, 끝이 조각칼처럼 날카로운 특징이 있다.
에어해머(AIR HAMMER)
AIR HAMMER, 에어해머는 에어를 이용하여 선박의 녹슨 부위의 페인트와 녹을 제거하는데 사용하는 에어툴 중 하나이며, 에어치즐은 작고 좁은 틈도 긴 치즐로 작업이 가능한 반면 에어해머는 상대적으로 사이즈가 크고 힘이 좋아서 넓은 면적을 치핑하는데 효과적이다.
브러쉬(BRUSH)
BRUSH, 붓은 페인트 칠할 때 사용하며, 비좁은 틈이나 미세한 줄을 긋거나 할 때 주로 사용한다.
롤러(ROLLER)
ROLLER는 넓은 면적을 빠르게 페인트 칠할 때 사용한다.
페인트스프레이(PAINT SPRAY)
PAINT SPRAY는 에어를 이용하여 페인트를 미세하게 분사하는 장비이며, 넓은 면적을 고르게 도장하는데 효과적이고 속도면에서 효율적이다. 그런데 상대적으로 비산되는 양과 페인트가 스프레이노즐에서 막히지 않도록 묽게 만드는 신나(THINNER)의 사용량이 많아 경제적이지는 않다.
신나(THINNER)
THINNER는 페인트의 특성은 유지해 주면서, 점도만 묽게 해주는 투명색의 인화성 화학제품이다. 가끔 선박에서 신나를 PET병이나 음료통에 넣어 다니면서 도장이나 마킹작업중 실수한 부분을 지우는데 사용하거나 손이나 옷에 뭍은 페인트를 지우기 위해 사용하기도 하는데, 물통에 마시면 안된다고 표기를 하지 않아서 선원이 모르고 신나를 마셔서 큰 사고로 이어지는 경우도 종종 발생된다.
고착
움직여야 하는 장비나 기기가 장기간 미사용하여 부식 또는 고장 등으로 움직이지 않게 된 상태를 말한다.
프리업(FREE-UP)
FREE-UP은 고착된 장비를 정상적으로 회전할 수 있도록 그리스를 주입하여 돌려주는 작업을 말한다.
그리싱(GREASING)
GREASING은 움직여야 하는 기기나 장비가 매끄럽게 잘 움직이도록 윤활제를 발라주는 작업을 말한다.
갑판 작업은 녹슨 부위의 청락작업, 도장작업, 신환작업, 유지보수 작업으로 구분된다.
18. 컨테이너선박의 화물고박장치(CARGO GEAR) 관련 용어
다양한 선박이 있지만, 그중에서 선박의 화물창과 갑판 상부(ON DECK)에 개별로 포장된 작은 박스들을 테트리스 하듯이 쌓아서 운항하는 컨테이너 선박은 화물을 고정(고박)하는 장비가 매우 다양하고 많다. 그래서 컨테이너 선박의 화물 고박 장치에 관련된 용어들에 대해서 살펴 보자.
고박(LASHING)
선박에서 움직일 수 있는 사물을 움직이지 못하도록 고정하는 것을 고박이라 말한다. 일본식 한자에서 전해진 용어로 고정이라고 말할 수도 있지만, 거의 100여년간 써온 용어라 쉽게 바뀌지 않는다. 그리고 비슷하게 고박 한다는 의미로 쇼링(SHORING), 라싱(LASHING), 쵸킹(CHOCKING), 시큐어링(SECURING)등의 용어가 있다.
쇼링(SHORING)
SHORING은 컨테이너 내품의 화물이 움직이지 못하도록 고정하는 작업을 말한다.
라싱(LASHING)
LASHING은 컨테이너 박스를 고정하거나, 벨트를 이용하여 컨테이너 내품을 고정하는 것을 말한다.
쵸킹(CHOCKING)
CHOCKING은 컨테이너 박스 안에 화물을 가득 채우지 못하였을 때, 화물이 쏠려서 앞뒤로 움직이지 못하도록 고정하는 것을 말한다.
카고라싱기어(CARGO LASHING GEAR)
CARGO LASHING GEAR는 화물을 고박(고정)하기 위한 장비를 통칭 한다. 특히 컨테이너 선박에서는 픽스드 기어(FIXED GEAR)와 루즈기어(LOOSE GEAR)로 구분할 수 있다.
픽스드기어(FIXED GEAR)
FIXED GEAR, 고정식 화물고박장치를 말한다. 픽스드기어에는 트위스트락 파운데이션(TWIST LOCK FOUNDATION)과 라싱아이(LASHING EYE) 정도가 있겠다.
루즈기어(LOOSE GEAR)
LOOSE GEAR는 고정되지 않고, 이동이 가능한 화물고박장치를 말한다. 루즈기어에는 트위스트락(TWIST LOCK), 턴버클(TURNBUCKLE), 라싱바(LASHING BAR) 정도가 있겠다.
파운데이션(FOUNDATION)
FOUNDATION, 소켓, SOCKET, T/LOCK FOUNDATION이라 하며, 컨테이너 박스는 위아래 4개의 모퉁이에 트위스트락(TWIST LOCK)이라는 화물고박장치가 들어갈 수 있는 홈이 파져 있고, 선박에도 해치커버(HATCH COVER)나 페데스탈(PEDESTAL) 상부에 트위스트락이 들어가서 고정시킬 수 있는 구조인 픽스드기어가 설치되어 있는데, 이것을 파운데이션이라고 한다.
파운데이션이 불량할 경우, 화물을 선적하지 못하여 DEAD SPACE가 생겨 큰 운항 손실을 초래 할 수 있으므로, 선박에서는 주기적으로 관리해야 하며, 필요시 드라이도크에서 새것으로 교체하고 LOAD TEST까지 마쳐야 한다.
트위스트락(TWIST LOCK)
TWIST LOCK, T/LOCK, 콘(CONE)이라고도 하며, 마름모 또는 원뿔 형태로 제작되어 상부와 하부를 열고 닫을 수 있는 구조로 설계되었다. 컨테이너 선박의 특성상 상하로 여러 단을 쌓을 수 밖에 없는데, 외부의 충격으로 위치를 이탈하여 쓰러지지 않도록 아래쪽의 컨테이너박스나 파운데이션과 고정을 시키고, 상부의 컨테이너박스와 고정을 시킬 수 있는 화물고박장치를 말한다.
트위스트락의 종류
MANUAL TWISTLOCK(수동), AUTO TWISTLOCK(자동), SEMI-AUTO TWIST LOCK(반자동), BASE LOCK(바닥콘), HOLD STACKER(홀드스태커), STACKING CONE(스태킹콘), MID TWISTLOCK(중앙)이 있으며, 그 종류에 따라 역할이 다르므로 필요한 위치에 따라 다른 트위스트락을 사용한다.
예를 들어 20피트 컨테이너 2개를 앞뒤로 싣고, 그 위에 40피트 컨테이너를 실을 경우, 20피트 컨테이너 안쪽의 트위스트락 4군데는 사람의 손이 닿지 않아 CLOSE가 되지 않는 형태의 MID TWISTLOCK을 사용할 수 밖에 없다.
그리고 현재의 기술로는 부두에 입항하여 화물을 내릴 때, 라싱작업자에 의해 수동으로 트위스트락의 잠금상태를 하나 하나 해제하여야 한다. 간혹 라싱맨의 부주의로 트위스트락을 해제하지 않은 상태에서 갠트리 크레인으로 잡아 올려서 와이어가 끊어지거나, 컨테이너가 손상을 입는 경우가 발생한다.
기어박스(GEAR BOX)
GEAR BOX는 트위스트락을 담은 캔(STORAGE BIN)을 여러 개 수납할 수 있는 20피트 또는 40피트의 FLAT RACK 컨테이너이며, 컨테이너선에서 화물작업개시전 그리고 화물작업종료후에 이동을 하는 컨테이너를 말한다. 통상 대리점에 입항 보고시, 기어박스가 실린 위치를 따로 통보해주고, 출항시 기어박스 선적을 원하는 위치를 터미널측에 알려준다.
스토리지빈(STORAGE BIN)
STORAGE BIN은 기어박스에 트위스트락을 담는 규격화된 바구니를 의미한다. 스토리지빈은 중량의 트위스트락이 던져지고, 육상의 지게차에 의한 많은 접촉으로 손상을 입기 쉽다. 그래서 기어박스 이동중 스토리지빈의 구멍이 발생되어 트위스트락이 추락/유실 되지 않도록 주기적으로 점검해야 한다.
턴버클(TURNBUCKLE)
TURNBUCKLE은 돌려서 길이를 늘리거나 줄일 수 있는 고박장치를 말한다. 통상 컨테이너에 연결된 라싱바와 선박의 라싱아이(LASHING EYE)에 연결한 턴버클을 결합하여 선체의 움직임에도 컨테이너박스가 고정되도록 하는데 사용한다.
라싱바(LASHING BAR)
LASHING BAR, 라싱로드, LASHING ROD는 컨테이너 박스 상하단부 모서리 틈에 갈고리처럼 걸 수 있게 만들어진 쇠막대기이다. 길이에 따라 숏바(SHORT BAR)와 롱바(LONG BAR)로 나뉜다.
턴버클로 라싱아이를 연결시켜 컨테이너박스를 고정한다. 라싱바(특히 롱바)는 무게가 상당하여 스티비도어(작업자, STEVEDORE)가 작업하기에 매우 위험하여 라싱을 해제하다가 중심을 잃고 선외로 추락하거나, 라싱바를 바다로 유실하는 경우도 종종 발생한다.
라싱아이(LASHING EYE)
LASHING EYE, EYE PAD는 라싱을 위한 턴버클이나 와이어 등을 걸 수 있도록 해치커버나 페데스탈 바닥에 용접 되어진 눈 모양의 고리이다. 고리가 1개이면 싱글라싱아이, 고리가 2개이면 더블라싱아이라고 한다.
셀가이드(CELL GUIDE)
CELL GUIDE는 컨테이너박스가 흔들림 없이 일정하게 오르내릴 수 있는 레일이라고 보면 되겠다. 그리고 강도가 매우 세므로 컨테이너 화물이 롤링으로 좌우로 이동하는 것을 막아주는 역할도 한다.
최근 대형선의 경우 더 높이 컨테이너 박스를 쌓아 올리기 위해 갑판상에 라싱브릿지를 높게 설치하여 선박의 고박을 보강해 주는 추세로 가고 있다. 우리나라의 모 중공업에서는 해치커버 없이 선박의 바닥부터 제일 상단까지 셀가이드를 설치하려는 시도도 있다고 한다.
그런데 크레인 작업자의 실수나, 화물 작업중 선박의 심한 움직임으로 셀가이드가 손상을 입을 수 있는데, 그럴 경우 심하면 컨테이너박스가 셀가이드 사이에 끼이는 경우도 발생할 수 있고, 그것을 빼낼 때 까지 화물작업이 중단되는 일도 종종 발생한다.
셀가이드브라켓(CELL GUIDE BRACKET)
CELL GUIDE BRACKET은 상하방향으로 길게 배치된 셀가이드를 화물창 및 라싱브릿지와 단단히 고정시켜 주는 철판이다. 일항사 및 당직항해사는 수시로 셀가이드 브라켓의 상태를 확인하고 필요시 수리하여야 한다.
라싱브릿지(LASHING BRIDGE)
LASHING BRIDGE, 라싱 브릿지는 컨테이너를 보다 높이 선적하기 위해 고정 작업을 해야하는데, 대형 컨테이너 선박에서 10미터 높이의 컨테이너 박스를 작업자가 안전하게 라싱을 할 수 있도록 만들어진 구조물이다.
통상 화물창과 화물창 사이의 크로스데크(CROSS DECK)에 2층 또는 3층 이상의 페세지(PASSAGE, 이동통로)가 만들어져 있고, 화물창이 없는 선미의 경우에는 셀가이드가 함께 설치되어 있는 경우도 있다.
해치커버스토퍼(HATCH COVER STOPPER)
HATCH COVER STOPPER, HATCH COVER GUIDE POST, 해치커버 가이드포스트는 해치커버를 닫을 때, 크레인 오퍼레이터가 주변의 컨테이너나 선체에 손상을 주지 않고, 더 이상 넘어가지 않도록 하라고 선수방향 얖뒤로 만들어둔 지지대이다.
간혹 크레인 오퍼레이터의 실수로 해치커버 스토퍼에 심하게 접촉하여 휘거나 파손되는 경우도 종종 발생하며, 스티비도어 데미지 레포트(STEVEDORE DAMAGE REPORT, SDR)를 작성하여 터미널로에 수리나 보상을 청구한다.
19. 터그보트 (TUG BOAT) 운용 관련 용어
터그보트(TUG BOAT)는 화물선의 경우 도선사가 승선하여 직접 지시를 하기 때문에, 항해사나 선장이라 하더라도 어떤 식으로 명령을 하는지 잘 모르는 경우가 많다. 그래서 자력 도선 선박에서 직접 터그 보트에 지시했던 경험을 바탕으로 관련 용어에 대해서 공유 하고자 한다.
터그보트(TUG BOAT)
TUG, TUG BOAT, 예인선이라 하며, 부두에서 선박의 입출항을 지원하는 항만 터그와 부선(BARGE)을 끌고 운송하는 예부선으로 나뉜다. 그리고 선박의 화재시 소화 목적의 소방선과 오염 사고시 방제 작업을 위한 방제선과 먼바다에서 조종 성능을 잃고 표류하는 선박을 끌고 오는 구조 목적의 오션 터그도 있다. 일반적으로 터그보트(예인선)이라 하면 항만에서 선박의 입출항을 지원하는 항만터그를 말한다.
터그보트의 운용
도선사는 선박의 크기, 흘수, 수심, 풍향 풍속, 부두의 조석간만에 따라서 터그 보트를 1척에서 많게는 6척 이상(초대형선)까지 사용하기도 한다. 이때 터그보트의 이름을 각각 부르게 되면 많은 혼란이 있을 수 있어서 선수, 센터, 선미라고 약속을 하고 항만터그에 지시를 하게 된다.
테이크터그라인(TAKE TUG LINE)
TAKE TUG LINE, MADE FAST TUG LINE, TOOK TUG는 선박에서 터그보트로 히빙라인과 메신저 로프를 던져주고, 터그보트 측에서 굵은 터그라인(통상 직경 100~150미리 이상) 을 연결시켜 주고, 선박에서는 인력, 윈치, 캡스턴을 활용하여 끌어올려 선박의 비트에 터그라인의 아이 부분을 거는 작업을 말한다. 두껍고 무거운 터그라인을 끌어 올리다가 메신저 로프가 끊어져 선원의 상병사고로 이어지는 경우가 잦으니 항상 주의하여야 한다.
렛고터그라인(LET GO TUG LINE)
LET GO TUG LINE, 선박에 연결된 터그라인을 벗겨내서 연결을 끊으라는 의미이며, 통상 터그보트의 지원이 필요 없는 시점(접안 후 또는 이안 후)에서 발생되는 명령어 이다. 선장의 명령에 따라 선수의 일항사나 선미의 이항사가 터그라인을 벗겨낸다.
터그보트에 당기라는 명령어
통상적으로 선박의 선수미선을 12시라고 가정하고, 시계방향의 방향으로 밀거나 당기라고 명령한다. 예를 들어 "선미터그, 9시 방향으로 약하게 당겨!" 라는 명령어는 선미에 있는 터그보트에게 본선의 좌현 직각(9시 방향)으로 약하게 어스턴 엔진을 사용하여 당기라는 말이다. 영어로는 POOP TUG, NINE O'CLOCK SLOW ASTERN! 이런 식이다.
터그보트에 밀라는 명령어
마찬가지로 선박의 선수미선을 12시 방향이라 가정하고, 시계방향으로 지시를 한다. 예를 들어 "선수터그, 3시 방향으로 약하게 밀어!" 라는 명령어는 선수에 있는 터그보트에게 본선의 우현 직각(3시방향)으로 약하게 어헤드 엔진을 사용하여 밀라는 말이다.
영어로는 "F'CLE TUG, 3 O'CLOCK SLOW AHEAD!" 이런 식이다. 엔진 텔레그라프의 사용처럼 당기거나 미는 강도는 데드슬로우, 슬로우, 하프, 풀 4 단계로 지시한다.
머리대고
간혹 소형선박의 경우, 터그보트의 힘이 너무 과대하여 살짝만 힘을 주어도 선박이 심하게 움직일 수 있다. 이때 아주 최소한의 힘으로 선박에 붙어만 있으라는 명령을 사용한다.
예를 들어 "선수, 머리대고" 라는 명령어는 선수 터그보트에게 선박에 직각으로 붙어서 밀 준비를 하라는 의미이며, 터그보트의 선수만 선박에 붙이고 있어도 선박은 조금씩 방향이 변하게 된다.
라인텐션
LINE TENSION은 선박이 부두측으로 빠르게 밀리거나, 선수나 선미가 빠르게 회두할 경우, 그 속도를 조금 늦추기 위한 브레이크 역할을 하는 명령어이다.
예를 들어 선수가 우회두 중일때 "선수 라인 텐션" 이라는 명령을 주면, 선수의 터그보트가 선박을 직각으로 밀고 있다가 후진하여 선박에서 조금 떨어져서 라인을 팽팽하게 장력을 주어 오른쪽으로 돌아가고 있는 선박의 속도를 늦추게 된다.
그 속도가 너무 빠를 때는 "선수 직각 풀로당겨!" 라는 명령으로 선수 터그보트에게 직각으로 풀어스턴을 사용하여 당겨서 회두를 멈추도록 한다.
터그어웨이(TUG AWAY)
TUG AWAY, 터그보트가 선박에서 완전히 떨어졌음을 의미하며, 입항시 부두방향으로 선박을 밀어주던 터그보트가 완전히 떨어져서 더이상 외력을 받고 있지 않은 상태를 말한다. 출항시에는 선박의 출항 작업을 도와주던 터그보트의 라인을 렛고해주고 터그보트와의 연결이 끊긴 것을 말한다.
선원법은 개악법! 불평등한 유급휴가 일수!
선원법은 선원의 직무, 복무, 근로조건의 기준, 직업안정, 복지 및 교육훈련에 관한 사항 등을 정함으로써 선내 질서를 유지하고, 선원의 기본적 생활을 보장ㆍ향상하며 선원의 자질 향상을 도
seamstr.tistory.com
선원법은 개악법이다. 부당한 유급휴가 사용일수 계산법!
선원법은 개악법이다. 부당한 유급휴가 사용일수 계산법!
알다시피 선원법은 선원을 위한 법이 아니라, 선주의 이익을 위한 법이다. 선원법상 8개월을 쉬지않고 일해야만 4개월 안에 유급휴가를 부여해준다고 한다. 이처럼 어떻게 해서든 최저의 비용으
seamstr.tistory.com
항해사, 기관사 연봉 & 월급 공유합니다!!!
선원, 해기사를 꿈꾸는 분들 그리고 그 가족들은 항해사나 기관사의 월급여가 얼마나 되는지 참으로 궁금하실 겁니다. 회사마다 급여나 연봉을 표기하는 방법이 다양하고, 계약직과 정규직에
seamstr.tistory.com
댓글